Działka na sprzedaż


Szczegóły ogłoszenia
- Symbol oferty MBN-GS-1624
- Typ oferty działka na sprzedaż
- Cena 150 000 zł
- Charakterystyka mieszkania 1200 m2
- Media Woda: w ulicy; Kanalizacja: w ulicy; Prąd: w ulicy; Gaz: w ulicy
- Bezpieczeństwo ogrodzenie działki: brak
- Dojazd ASFALTOWA
- Działka Niezagospodarowana, płaska, prostokąt
- Otoczenie działki niezabudowane
Lokalizacja
- Adres mazowieckie, Baboszewo, Brzeście
Opis nieruchomości
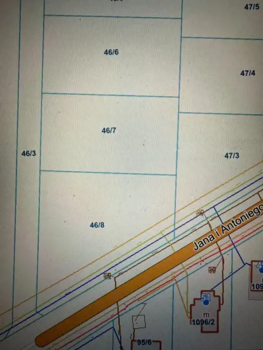
Na sprzedaż – 4 atrakcyjne działki budowlane w miejscowości Brzeście, gmina Baboszewo, powiat płoński
Szukasz spokojnego miejsca na budowę swojego wymarzonego domu z dala od miejskiego zgiełku, ale z szybkim dojazdem do miasta?
Mamy dla Ciebie idealną propozycję!
Lokalizacja
Brzeście, gmina Baboszewo, powiat płoński
-
centrum Baboszewa – 1 km (szkoła, sklepy, przychodnia, kościół)
-
Płońsk – 12 km
-
Nowy Dwór Mazowiecki – 40 min
-
Warszawa – ok. 1 godzina jazdy
Parametry działek
-
liczba działek: 4 (nr ewidencyjne: 46/4, 46/5, 46/6, 46/7)
-
powierzchnia każdej działki: 1200 m²
-
wymiary: ok. 27 m x 46 m
-
kształt: prostokątny
-
teren płaski, niezagospodarowany, bez ogrodzenia
-
cena: 150 000 zł za działkę
-
dojazd: bezpośredni dostęp do asfaltowej drogi gminnej, do każdej działki prowadzi droga prywatna nieutwardzona
Przeznaczenie i warunki zabudowy
Dla każdej z działek zostały wydane warunki zabudowy:
-
rodzaj zabudowy: mieszkaniowa jednorodzinna
-
funkcja zabudowy: budynek mieszkalny + garaż
Media
Media dostępne w drodze:
-
prąd
-
wodociąg
-
kanalizacja
-
gaz
Atuty oferty
-
cicha, spokojna okolica z luźną zabudową jednorodzinną
-
dogodny dojazd do Płońska i Warszawy
-
bliskość natury – idealne miejsce na rodzinny dom lub inwestycję
-
gotowe warunki zabudowy – możliwość szybkiego rozpoczęcia budowy
-
teren równy i łatwy do zagospodarowania
Cena
150 000 zł za działkę (1200 m², ok. 27 m x 46 m)
Istnieje możliwość zakupu jednej lub kilku działek.
KONTAKT W SPRAWIE OFERTY:
Łukasz Wychódzki tel: 884 889 301
e-mail: l.wychodzki@mb-nieruchomosci.pl