Działka na sprzedaż




Szczegóły ogłoszenia
- Symbol oferty INTR-GS-264
- Typ oferty działka na sprzedaż
- Cena 400 000 zł
- Charakterystyka mieszkania 14273 m2
- Media Woda: brak; Kanalizacja: brak; Prąd: brak; Gaz: brak
- Bezpieczeństwo ogrodzenie działki: brak
- Dojazd UTWARDZONA
- Działka Niezagospodarowana, płaska, prostokąt
- Otoczenie działki niezabudowane
Lokalizacja
- Adres podlaskie, suwalski, Bakałarzewo
Opis nieruchomości
Przedmiotem sprzedaży jest wierzytelność zabezpieczona hipoteką na prezentowanym kompleksie. Cena dotyczy nabycia wierzytelności na podstawie Umowy Sprzedaży. Nabycie wierzytelności nie jest tożsame z uzyskaniem tytułu własności nieruchomości.
Zabezpieczeniem wierzytelności są grunty użytkowane rolniczo o łącznej pow. 14,2737 ha położone w miejscowości Suchorzec, gminie Bakałarzewo.
Opis:
Działka nr 50 o pow. 1,2905 ha
- przeznaczona na cele rolnicze,
- posiada kształt prostokąta,
- użytki gruntowe: grunty orne RV, pastwiska trwałe PsV, nieużytki N,
- współczynnik bonitacji gruntów wynosi 0,18.
Suma oszacowania wynosi 46 200,00 zł, cena wywołania jest równa 3/4 sumy oszacowania i wynosi 34 650,00 zł. Przystępujący do licytacji zobowiązany jest złożyć rękojmię w wysokości 10% ceny oszacowania nieruchomości tj. kwotę 4 620,00 zł.
Działka nr 68 o pow. 1,8242 ha:
- przeznaczona na cele rolnicze,
- posiada kształt prostokąta,
- 20% terenu użytkowana jest rolniczo, natomiast pozostała część użytków rolnych, w wyniku wieloletniego nieużytkowania, została porośnięta samosiewami drzew i krzewów, część działki stanowi również nieużytek (teren podmokły) oraz w małej części las,
- użytki gruntowe: grunty orne RVRVI; pastwiska trwałe PsV; lasy LslV o pow. 0,0364ha; grunty pod rowami W; nieużytki N.
- współczynnik bonitacji gruntów wynosi 0,11.
Suma oszacowania wynosi 54 800,00zł, cena wywołania jest równa 3/4 sumy oszacowania i wynosi 41 100,00zł. Przystępujący do licytacji zobowiązany jest złożyć rękojmię w wysokości 10% ceny oszacowania nieruchomości tj. kwotę 5 480,00 zł.
Działka nr 171 o pow. 9,1313 ha:
- na działce znajdują się pozostałości po istniejącej w przeszłości zabudowie zagrodowej (kamienie po fundamentach, piwnica ziemna- w złym stanie technicznym),
- działka w kształcie prostokąta,
- częściowo zadrzewiona- stanowi nieużytki (teren podmokły),
- użytki gruntowe: grunty orne RIVb, RV, grunty rolne zabudowane Br, łąki trwałe ŁV, grunty pod rowami W, nieużytki N,
- współczynnik bonitacji gruntów wynosi 0,29.
Suma oszacowania wynosi 341 900,00 zł, cena wywołania jest równa 3/4 sumy oszacowania i wynosi 256 425,00 zł. Przystępujący do licytacji zobowiązany jest złożyć rękojmię w wysokości 10% ceny oszacowania nieruchomości tj. kwotę 34 190,00 zł.
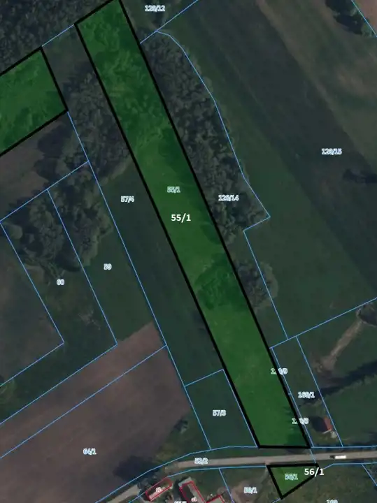
Kompleks gruntów składający się z działek o nr ew. 55/1 i 56/1 o łącznej pow. 2,0277ha
Działka nr 55/1
- pow.1,9480 ha,
- przeznaczona na cele rolnicze (1,6680ha) oraz częściowo pod projektowane tereny zabudowy wielofunkcyjnej (ok 0,28ha),
- kształt prostokąta,
- teren o konfiguracji korzystnej,
- użytkowany rolniczo, częściowo porośnięta- nieużytki,
- teren podmokły,
- użytki gruntowe: grunty orne RIVa, RIVb,RV, pastwiska trwałe PsVI, lasy LsVI, nieużytki N. W skład działki wchodzą lasy o pow. 0,2481 ha. ( skład drzewostanu: brzoza w wieku 60 lat, 58%; zadrzewienie bez drzewostanu - 42%.
- współczynnik bonitacji gruntów wynosi 0,29;
działka nr 56/1
- pow. 0,0797ha,
- przeznaczona pod projektowane tereny zabudowy wielofunkcyjnej,
- kształt zbliżony do trójkąta,
- współczynnik bonitacji gruntów wynosi 0,80.
Suma oszacowania wynosi 104 800,00 zł, cena wywołania jest równa 3/4 sumy oszacowania i wynosi 78 600,00 zł. Przystępujący do licytacji zobowiązany jest złożyć rękojmię w wysokości 10% ceny oszacowania nieruchomości tj. kwotę 10 480,00 zł.
Wszystkie ww grunty użytkowane rolniczo bez doprowadzonych mediów- dostęp w drodze.
Przez działki 55/1 i 56/1 oraz 71 przebiega nadziemna linia elektroenergetyczna, która nie wpływa niekorzystnie na agrotechnikę, jednak ogranicza możliwość zabudowy działek zgodnie z ich przeznaczeniem.
Działki posiadają dostęp do drogi publicznej powiatowej o nawierzchni asfaltowej/żwirowej.
Najbliższe sąsiedztwo to luźna zabudowa zagrodowa zlokalizowana wzdłuż drogi oraz grunty niezabudowane, użytkowane rolniczo. W bezpośrednim sąsiedztwie znajduje się również nieruchomość zabudowana budynkiem jednorodzinnym.
Warunki sprzedaży
Przedmiotem sprzedaży jest wierzytelność zabezpieczona hipoteką na prezentowanym kompleksie. Cena dotyczy nabycia wierzytelności na podstawie Umowy Sprzedaży. Nabycie wierzytelności nie jest tożsame z uzyskaniem tytułu własności nieruchomości.
Nieruchomości zostały wycenione przez rzeczoznawcę na kwotę 547 700,00 zł
Cena za wierzytelnośc to 400 000,00 zł. i jest to cena do negocjacji.
Dodatkowe informacje dostępne są u opiekuna ogłoszenia: Kamil Dąbrowski
ID 702160000168
Zastrzeżenia:
- Powyższa oferta ma charakter informacyjny i nie stanowi oferty handlowej w rozumieniu art. 66 §1 Kodeksu Cywilnego.
- Żadna ze Spółek Grupy Intrum nie jest właścicielem prezentowanej nieruchomości.
- Intrum nie działa jako pośrednik w obrocie nieruchomościami,
w szczególności nie dokonuje odpłatnych czynności zmierzających do zawarcia przez osoby trzecie umów: nabycia, zbycia prawa do nieruchomości lub jej części.