Mieszkanie na sprzedaż








Szczegóły ogłoszenia
- Symbol oferty SED-MS-1370
- Typ oferty mieszkanie na sprzedaż
- Cena 495 000 zł
- Charakterystyka mieszkania 34.2 m2, 2 pokoje
- Budynek blok; rok budowy: 2020
- Rozkład mieszkania 2p piętro
- Media Ogrzewanie: C.O. GAZOWE; Woda: ciepła - piecyk gazowy; Gaz: brak
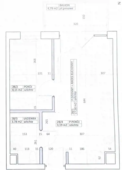
- Balkon jest
- Czynsz Czynsz letni: 410 zł
- Dojazd kostka brukowa
- Garaż możliwość kupna
- Ilość sypialni 1
- Instalacje ELEKTRYCZNA
- Okna PCV
- Otoczenie zabudowa mieszana
- Stan lokalu bardzo dobry
- Technologia budowlana beton, suporeks
- Umeblowanie pełne
Lokalizacja
- Adres kujawsko-pomorskie, Bydgoszcz, Szwederowo
Opis nieruchomości
Świetnie wyposażone M3 z balkonem na Szwederowie!
Mieszkanie ulokowane na II piętrze w bloku z 2022, położone w dogodnej lokalizacji.
Wnętrze to salon z aneksem kuchennym i wyjściem na pokaźny balkon, sypialnia, łazienka z WC, przedpokój. Gotowe do zamieszkania! Wyposażone w meble i niezbędne AGD, wszystko w wysokim standardzie. Zamontowana klimatyzacja.
Dodatkowo płatne miejsce w hali garażowej i komórka lokatorska - 60 000 zł.
Orientacyjny metraż pomieszczeń:
Salon z aneksem - ok. 17,5 m2,
Sypialnia - ok. 8 m2,
Przedpokój - ok. 3,5 m2,
Łazienka i WC - ok. 5 m2,
Czynsz - ok. 410zł Ogrzewanie i ciepła woda ze wspólnej kotłowni gazowej.
Dobra lokalizacja z której łatwo dojedziesz w każde miejsce Bydgoszczy. W okolicy market, paczkomaty, restauracje, liczne lokale usługowe, szkoła i przedszkola.
Doskonały dojazd do każdej części Bydgoszczy, w bliskiej odległości przystanki autobusowe na Brzozowej i Kujawskiej.
Serdecznie polecam, ta nieruchomość z pewnością ucieszy nowych domowników.
Zainteresowany? Przejdźmy do SEDNA!
Sedno Nieruchomości Sp. z o. o. pobiera wynagrodzenie w formie prowizji, które jest ustalone w momencie podpisania umowy pośrednictwa a egzekwowalne w chwili zawarcia transakcji.
W związku z licznymi sugestiami właścicieli nieruchomości prosimy o umawianie terminów prezentacji wyłącznie za naszym pośrednictwem i przy naszym udziale w terminie dogodnym dla obu stron.
Paweł Kempski
Doradca ds. Nieruchomości
tel: 789 564 905
mail: pawel.kempski@sednonieruchomosci.pl
www.sednonieruchomosci.pl
https://www.instagram.com/sednonieruchomosci/
https://www.tiktok.com/@sedno_nieruchomosci
https://www.facebook.com/profile.php?id=10008913796282
Sedno Nieruchomości współpracuje z najlepszymi firmami w zakresie usług finansowych, znajdując dla Państwa najlepsze indywidualne rozwiązania finansowania zakupu nieruchomości oraz zapewnia niezawodną, bezpośrednią i priorytetową obsługę Państwa w renomowanej kancelarii notarialnej oraz prawnej a także do Państwa usług są nasi specjaliści ds. podatkowych, geodezyjnych oraz budowlanych.
Dokładamy wszelkich starań aby informacje dotyczące nieruchomości były możliwie rzetelne, aktualne i kompletne natomiast w związku z tym że pochodzą one od osób trzecich firma Sedno Nieruchomości nie ponosi odpowiedzialności za ich dokładność.
Niniejsza informacja nie stanowi oferty w rozumieniu Kodeksu Cywilnego.