Obiekt na sprzedaż
2 300 000 zł
2 664 m2
















1 / 16
Szczegóły ogłoszenia
- Symbol oferty ANM-BS-31004
- Typ oferty obiekt na sprzedaż
- Cena 2 300 000 zł
- Charakterystyka mieszkania 2664 m2
- Budynek rok budowy: 1982
- Media Ogrzewanie: gazowe; Woda: tak - miejska; Kanalizacja: miejska; Prąd: jest; Gaz: jest
- Dojazd asfalt
- Otoczenie działki zabudowane
Lokalizacja
- Adres lubelskie, Chełm, Śródmieście
Opis nieruchomości
OKAZJA CENOWA !!
Na sprzedaż obiekt komercyjny o łącznej powierzchni 2664 m3, wybudowany na działce o pow. 2563 m2.
Budynek posiada 3 kondygnacje o pow. około 888 m2 każda.
Rozkład pomieszczeń:
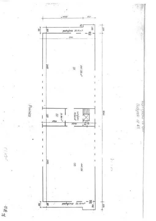
1. Piwnica: dwie duże sale o pow 441 m2 każda, wiatrołap o pow. 36 m2 oraz korytarz z klatką schodową o pow. 56 m3.
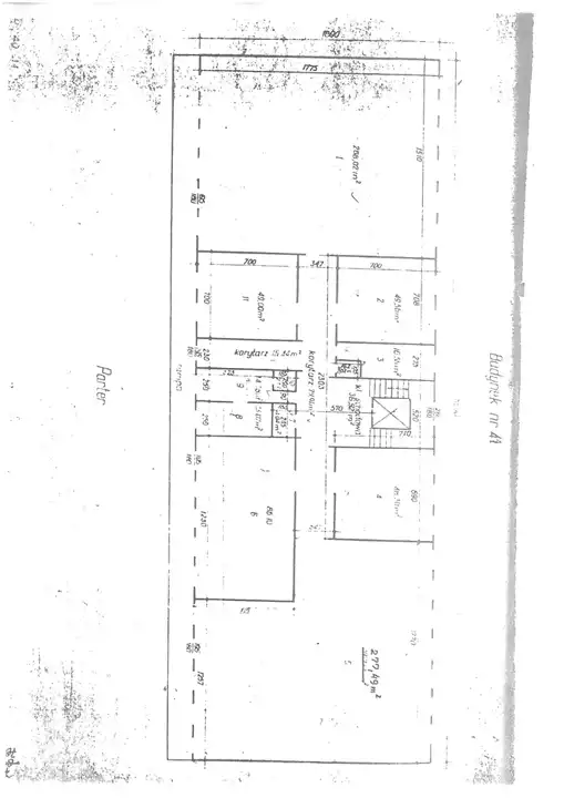
2. Parter: dwa pomieszczenia o pow. 270 m2 każde, 3 pomieszczenia o pow. 50 każde, pomieszczenie o pow. 85 m2, korytarz o pow. 79 m2 oraz klatka schodowa.
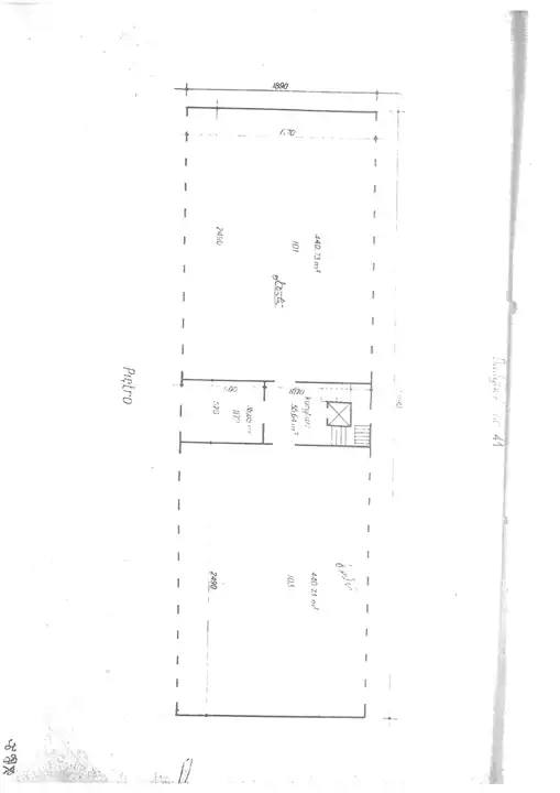
3. Piętro: dwa pomieszczenia o pow. 440 m2 każde, klatka schodowa z korytarzem oraz pomieszczenie o pow. 52m2.
Budynek idealnie nadaje się jako zakup inwestycyjny pod wynajem powierzchni biurowych, handlowych, magazynowych itp.
Termin wydania: do uzgodnienia
Na sprzedaż obiekt komercyjny o łącznej powierzchni 2664 m3, wybudowany na działce o pow. 2563 m2.
Budynek posiada 3 kondygnacje o pow. około 888 m2 każda.
Rozkład pomieszczeń:
1. Piwnica: dwie duże sale o pow 441 m2 każda, wiatrołap o pow. 36 m2 oraz korytarz z klatką schodową o pow. 56 m3.
2. Parter: dwa pomieszczenia o pow. 270 m2 każde, 3 pomieszczenia o pow. 50 każde, pomieszczenie o pow. 85 m2, korytarz o pow. 79 m2 oraz klatka schodowa.
3. Piętro: dwa pomieszczenia o pow. 440 m2 każde, klatka schodowa z korytarzem oraz pomieszczenie o pow. 52m2.
Budynek idealnie nadaje się jako zakup inwestycyjny pod wynajem powierzchni biurowych, handlowych, magazynowych itp.
Termin wydania: do uzgodnienia
Nota prawna
Opis oferty zawarty na stronie internetowej sporządzany jest na podstawie oględzin nieruchomości oraz informacji uzyskanych od właściciela, może podlegać aktualizacji i nie stanowi oferty określonej w art. 66 i następnych K.C.
Kalkulator kredytowy
Formularz kontaktowy