Działka na sprzedaż






Szczegóły ogłoszenia
- Symbol oferty FCZ-GS-195380
- Typ oferty działka na sprzedaż
- Cena 155 000 zł
- Charakterystyka mieszkania 3000 m2
Lokalizacja
- Adres wielkopolskie, Czarnków (gw), Radolinek
Opis nieruchomości
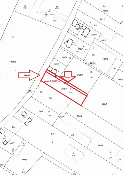
Niezabudowana działka gruntu
nr geodezyjny 263/3
położona w Radolinku
(10km do Czarnkowa, 11km do Trzcianki)
OFERTA BEZPOŚREDNIA
Sprzedający pokrywa wynagrodzenie biura w całości
Usytuowana w linii zabudowy budynków mieszkalnych
Przybliżone wymiary 25x134
Dojazd drogą asfaltową.
Działka posiada bezpośredni dostęp do drogi publicznej, ponadto możliwość zjazdu z drogi (szer. ok. 5m) wzdłuż działki na długości ok. 134m.
Działka nie jest objęta obowiązującym miejscowym planem zagospodarowania przestrzennego; nie jest położona na obszarze rewitalizacji, ani na obszarze Specjalnej Strefy Rewitalizacji. Nie jest objęta uproszczonym planem urządzenia lasu.
Radolinek to wieś o zabudowie ulicowej, położona u podnóża skarpy pradoliny Noteci, w północnej części gminy Czarnków. W całości posiada dawną zabudowę, zachowaną w prawie niezmienionym stanie: liczne domy z XIX w. oraz budynek byłej szkoły podstawowej
Uzbrojenie : wodociąg (bez przyłącza, w drodze) i energia elektryczna (brak skrzynki)
Sprzedajemy nieruchomości od 30 lat, zatem wiemy o nich całkiem sporo ;)
Decyzja o zakupie nieruchomości, a w szczególności domu lub mieszkania jest jedną z najważniejszych w naszym życiu. Bez znajomości rynku, wiedzy i wsparcia można wpaść w wiele pułapek, a wówczas realizacja marzeń może stać się niemożliwa.
Razem przejdziemy przez cały proces zakupu, zadbam o każdy szczegół, pomogę przy uzyskaniu kredytu.
Do zobaczenia na prezentacji ;)