Działka na sprzedaż
135 000 zł
1 255 m2








1 / 8
Szczegóły ogłoszenia
- Symbol oferty KABE-GS-100
- Typ oferty działka na sprzedaż
- Cena 135 000 zł
- Charakterystyka mieszkania 1255 m2
- Bezpieczeństwo ogrodzenie działki: częściowo ogrodzona
- Dojazd droga utwardzona
- Działka Niezagospodarowana, płaska, kwadrat
- Otoczenie działki zabudowane
Lokalizacja
- Adres śląskie, Częstochowa m., Częstochowa
Opis nieruchomości
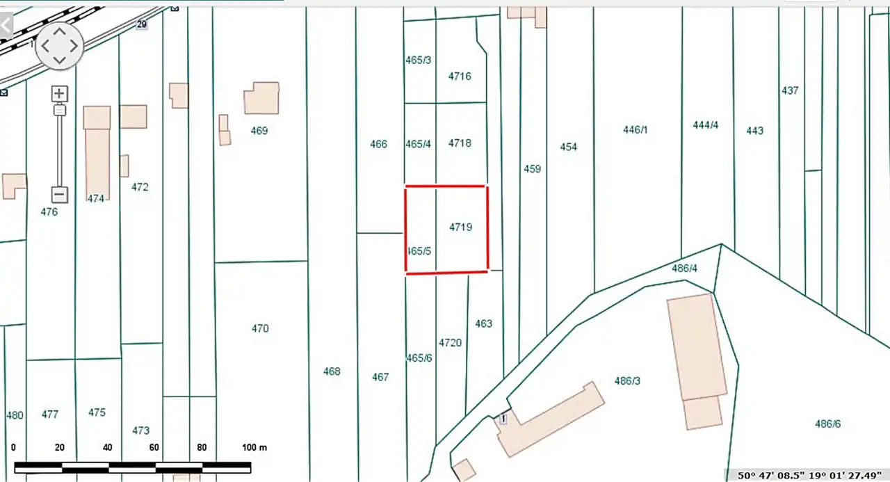
Oferuję na sprzedaż nowo wydzieloną działkę znajdującą się w Częstochowie - w Gnaszynie, pomiędzy ulicą Turkusową i Drucianą ( ul. Bohaterska ).
Doskonała okazja do zakupu działki (nr 3) o idealnych wymiarach: około 35 x 35 m !!!
Działka o powierzchni ok. 1.255 m2 jest jedną z kilku działek powstałych w wyniku nowego podziału.
Nieruchomość opisana jest w ewidencji gruntów dwoma numerami: 465/5 oraz 4719 - obręb 434.
Działki w cenie będą posiadać udziały w drodze wewnętrznej biegnącej wg oznaczenia na zdjęciu.
Obszar ten nie jest objęty planem zagospodarowania.
Studium teren ten opisuje jako PU ( usługi i produkcja ) oraz rolne - należy uzyskać warunki zabudowy dla planowanej inwestycji.
Bardzo dobra lokalizacja - szybki dojazd do węzła Blachownia Autostrady Bursztynowej.
W bliskiej okolicy:
Doskonała okazja do zakupu działki (nr 3) o idealnych wymiarach: około 35 x 35 m !!!
Działka o powierzchni ok. 1.255 m2 jest jedną z kilku działek powstałych w wyniku nowego podziału.
Nieruchomość opisana jest w ewidencji gruntów dwoma numerami: 465/5 oraz 4719 - obręb 434.
Działki w cenie będą posiadać udziały w drodze wewnętrznej biegnącej wg oznaczenia na zdjęciu.
Obszar ten nie jest objęty planem zagospodarowania.
Studium teren ten opisuje jako PU ( usługi i produkcja ) oraz rolne - należy uzyskać warunki zabudowy dla planowanej inwestycji.
Bardzo dobra lokalizacja - szybki dojazd do węzła Blachownia Autostrady Bursztynowej.
W bliskiej okolicy:
- szkoła podstawowa,
- 2 przedszkola,
- sklepy,
- oraz dwa kościoły - różnych wyznań,
- woda,
- prąd.
Nota prawna
Opis oferty zawarty na stronie internetowej sporządzany jest na podstawie oględzin nieruchomości oraz informacji uzyskanych od właściciela, może podlegać aktualizacji i nie stanowi oferty określonej w art. 66 i następnych K.C.
Kalkulator kredytowy
Formularz kontaktowy