Działka na sprzedaż









Szczegóły ogłoszenia
- Symbol oferty JSN-GS-3016
- Typ oferty działka na sprzedaż
- Cena 99 000 zł
- Charakterystyka mieszkania 814 m2
- Media Woda: tak - miejska; Kanalizacja: miejska; Prąd: na działce
- Bezpieczeństwo ogrodzenie działki: brak
- Dojazd asfalt
- Działka Niezagospodarowana, płaska, prostokąt
- Otoczenie działki niezabudowane
Lokalizacja
- Adres małopolskie, dąbrowski, Dąbrowa Tarnowska
Opis nieruchomości
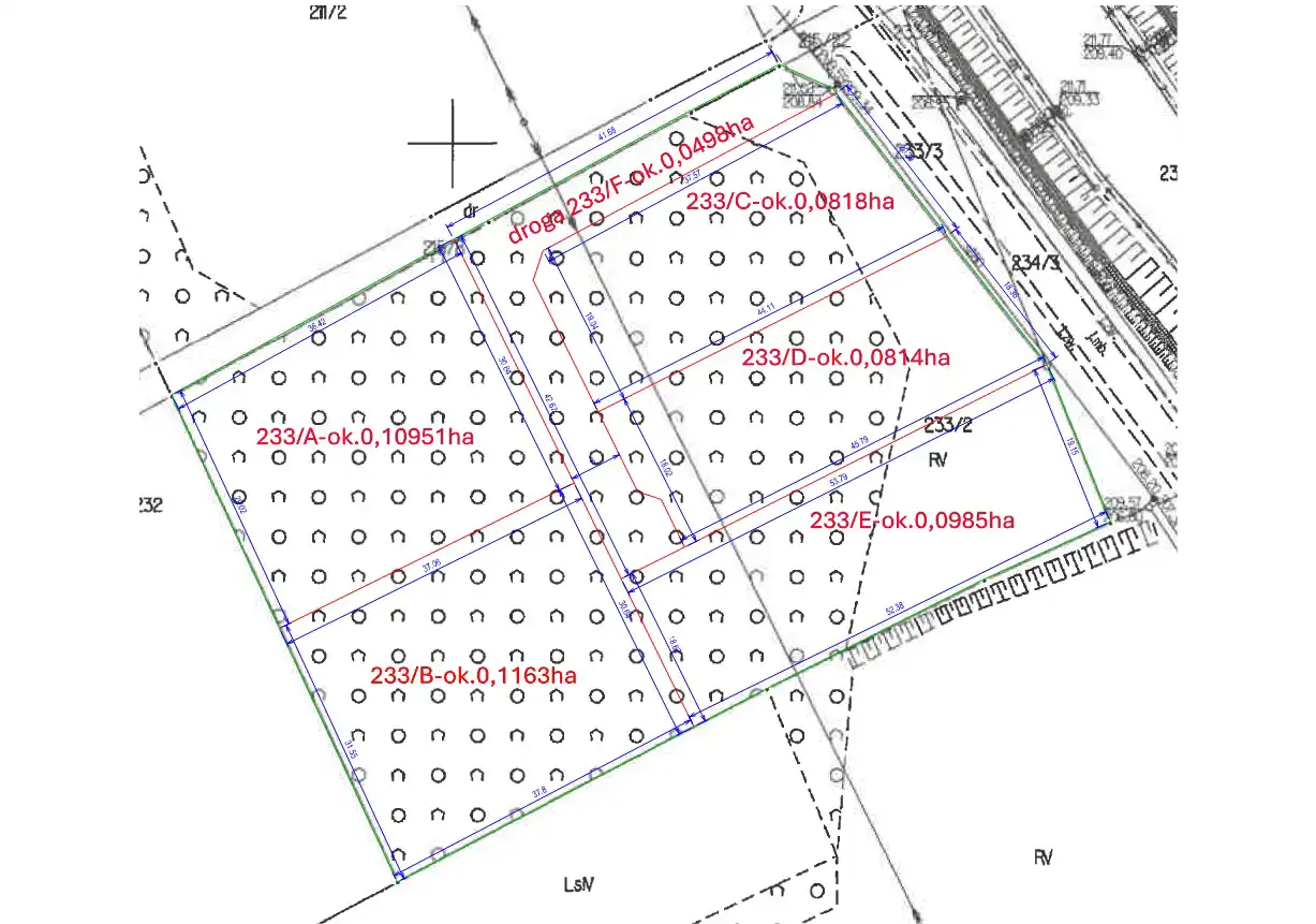
Na sprzedaż działki budowlane w bardzo dobrej lokalizacji – bezpośrednio przy drodze serwisowej (zjazd z drogi 975) wzdłuż obwodnicy (droga numer 73) w Dąbrowie Tarnowskiej. Teren ma powierzchnię 0,5373 ha i jest obecnie w trakcie podziału na 5 działek budowlanych oraz drogę wewnętrzną.
Warunki zabudowy:
Na każdej z działek można wybudować dom jednorodzinny wraz z infrastrukturą towarzyszącą.
Warunki zabudowy przewidują:
-
możliwość budowy 5 budynków mieszkalnych jednorodzinnych,
-
linia zabudowy: nieprzekraczalna 25 m od krawędzi drogi serwisowej DD11,
-
maksymalna intensywność zabudowy: do 50%,
-
udział powierzchni zabudowy: do 30%,
-
szerokość elewacji frontowej: do 15 m,
-
wysokość budynku: do 9,5 m (od poziomu terenu),
-
dach: dwuspadowy lub wielospadowy, kąt nachylenia 20°–45°.
Media: prąd na działce, kanalizacja, woda ( w zasięgu ).
Pełna dokumentacja dostępna jest w siedzibie biura.
Media: prąd na działce, kanalizacja, woda ( w zasięgu ).
Przykładowa działka – 233/D
-
powierzchnia: 0,0814 ha (814 m²)
-
cena: 99.000zł
To jedna z najtańszych działek w podziale – idealna pod budowę domu jednorodzinnego.
Pozostałe działki z podziału:
-
233/A – 0,1095 ha (1095 m²) – 134 685 zł
-
233/B – 0,1163 ha (1163 m²) – 143 049 zł
-
233/C – 0,0818 ha (818 m²) – 100 614 zł
-
233/D – 0,0814 ha (814 m²) – 99 000 zł
-
233/E – 0,0985 ha (985 m²) – 121 155 zł
-
Droga wewnętrzna – 0,0498 ha (498 m²) – wspólny udział
Cena: 12 300 zł / ar
Działki położone są dobrze skomunikowanej części Dąbrowy Tarnowskiej , z szybkim dojazdem do centrum i wyjazdem na obwodnicę.
Odległości:
- Dąbrowa Tarnowska Rynek ok.1,6km,
- Tarnów ok. 18km,
- Kraków ok.87km,
- Rzeszów ok.89km,
- Warszawa ok.270km.
Zadbamy o cały proces – od obejrzenia nieruchomości po podpisanie aktu notarialnego. W razie potrzeby, pomożemy również w uzyskaniu finansowania i przygotowaniu dokumentacji.
BIURO POŚREDNICTWA W OBROCIE NIERUCHOMOŚCIAMI
JOLANTA SERWIN
UL.GRUNWALDZKA 27
33-200 DĄBROWA TARNOWSKA
TEL/FAX: 14 642 47 01,
MOBILE: 604 642 286, 695 444 447
jolanta@serwin.com.pl