Działka na sprzedaż
95 000 zł
5 916 m2







1 / 7
Szczegóły ogłoszenia
- Symbol oferty JSN-GS-2818
- Typ oferty działka na sprzedaż
- Cena 95 000 zł
- Charakterystyka mieszkania 5916 m2
- Media Woda: jest; Kanalizacja: tak; Prąd: jest; Gaz: na działce
- Działka płaska, trójkąt
Lokalizacja
- Adres małopolskie, dąbrowski, Dąbrowa Tarnowska (gw)
Opis nieruchomości
DUŻA DZIAŁKA BUDOWLANA Z WARUNKAMI ZABUDOWY GMINA DĄBROWA TARNOWSKA - ŻELAZÓWKA!!!
Zapraszamy na prezentację w terenie!!!
Dąbrowa Tarnowska ok.6km. Lisia Góra ok.9km. Tarnów ok.17km. Rzeszów ok.88km. Kraków ok. 89km.
Będziemy z Tobą od prezentacji do aktu notarialnego. Przygotujemy dla Ciebie dokumenty do zakupu.
BIURO POŚREDNICTWA W OBROCIE NIERUCHOMOŚCIAMI
JOLANTA SERWIN
UL.GRUNWALDZKA 27
33-200 DĄBROWA TARNOWSKA
TEL/FAX: 14 642 47 01,
MOBILE: 604 642 286, 695 444 447
jolanta@serwin.com.pl
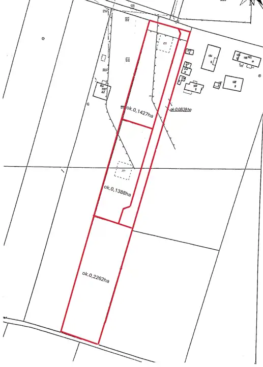
- Oferujemy do sprzedaży atrakcyjną działkę rolno budowlaną o powierzchni 0,5916ha, zlokalizowaną bezpośrednio przy drodze gminnej.
- Na działkę została wydana decyzja o warunkach zabudowy na budowę dwóch budynków mieszkalnych jednorodzinnych, prywatnej wewnętrznej drogi dojazdowej wraz z jej wydzieleniem oraz infrastrukturą techniczną.
- Przygotowany został wstępny projekt podziału na dwie działki budowlane- poglądowa mapka załączona do zdjęć oferty.
- Media:Gaz na działce, prąd oraz kanalizacja miejska w drodze, woda miejska w odległości ok.90m.
Zapraszamy na prezentację w terenie!!!
Dąbrowa Tarnowska ok.6km. Lisia Góra ok.9km. Tarnów ok.17km. Rzeszów ok.88km. Kraków ok. 89km.
Będziemy z Tobą od prezentacji do aktu notarialnego. Przygotujemy dla Ciebie dokumenty do zakupu.
BIURO POŚREDNICTWA W OBROCIE NIERUCHOMOŚCIAMI
JOLANTA SERWIN
UL.GRUNWALDZKA 27
33-200 DĄBROWA TARNOWSKA
TEL/FAX: 14 642 47 01,
MOBILE: 604 642 286, 695 444 447
jolanta@serwin.com.pl
Nota prawna
Opis oferty zawarty na stronie internetowej sporządzany jest na podstawie oględzin nieruchomości oraz informacji uzyskanych od właściciela, może podlegać aktualizacji i nie stanowi oferty określonej w art. 66 i następnych K.C.
Kalkulator kredytowy
Formularz kontaktowy