Działka na sprzedaż


Szczegóły ogłoszenia
- Symbol oferty VES-GS-4551
- Typ oferty działka na sprzedaż
- Cena 2 150 000 zł
- Charakterystyka mieszkania 18812 m2
- Bezpieczeństwo ogrodzenie działki: brak
- Działka Niezagospodarowana, płaska, nieregularny
Lokalizacja
- Adres mazowieckie, miński, Dębe Wielkie
Opis nieruchomości
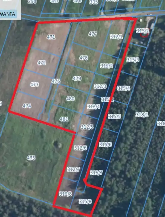
Na sprzedaż – Kompleks działek budowlanych w miejscowości Rysie (gm. Dębe Wielkie)
Do sprzedaży oferujemy atrakcyjny teren inwestycyjny o łącznej powierzchni 1,8812 ha, położony w miejscowości Rysie (gmina Dębe Wielkie), zaledwie kilkanaście minut drogi od Warszawy. Nieruchomość została podzielona na 20 działek, z czego:
-
18 działek przeznaczonych pod zabudowę jednorodzinną
-
2 działki przeznaczone pod drogi wewnętrzne
Struktura działek:
-
8 działek o powierzchni ok. 1000–1100 m²
-
8 działek o powierzchni ok. 550–800 m²
-
2 działki o powierzchni ok. 1300–1500 m²
Każda z działek posiada oddzielną księgę wieczystą, co umożliwia zakup zarówno pojedynczych parceli, jak i większych pakietów inwestycyjnych.
Stan prawny i planistyczny:
-
Brak miejscowego planu zagospodarowania przestrzennego (brak MPZP)
-
Dla poszczególnych działek zostały wydane warunki zabudowy (WZ)
-
Teren objęty analizą urbanistyczną przewidującą budowę osiedla 42 budynków w zabudowie bliźniaczej, dwukondygnacyjnych, o powierzchni użytkowej około 96 m² każdy
Media:
-
Wodociąg i energia elektryczna doprowadzone do terenu
Cena:
-
150 zł/m² – możliwość zakupu pojedynczych działek lub większych pakietów
Lokalizacja:
Miejscowość Rysie to cicha i zielona okolica w gminie Dębe Wielkie, z dogodnym dojazdem do Warszawy i Mińska Mazowieckiego. To idealna lokalizacja zarówno pod budowę domów jednorodzinnych, jak i małego, kameralnego osiedla.