Działka na sprzedaż



Szczegóły ogłoszenia
- Symbol oferty 4KAT-GS-22692
- Typ oferty działka na sprzedaż
- Cena 299 000 zł
- Charakterystyka mieszkania 879 m2
- Media Woda: w ulicy; Kanalizacja: w ulicy; Prąd: w ulicy; Gaz: w ulicy
- Bezpieczeństwo ogrodzenie działki: brak
- Dojazd asfalt
- Działka płaska, kwadrat
- Otoczenie zabudowa mieszana
Lokalizacja
- Adres zachodniopomorskie, Dobra (Szczecińska), Dołuje
Opis nieruchomości
OFERTA SPRZEDAŻY DZIAŁEK
Dołuje, ul. Jesienny Sad – Gmina Dobra
Lokalizacja
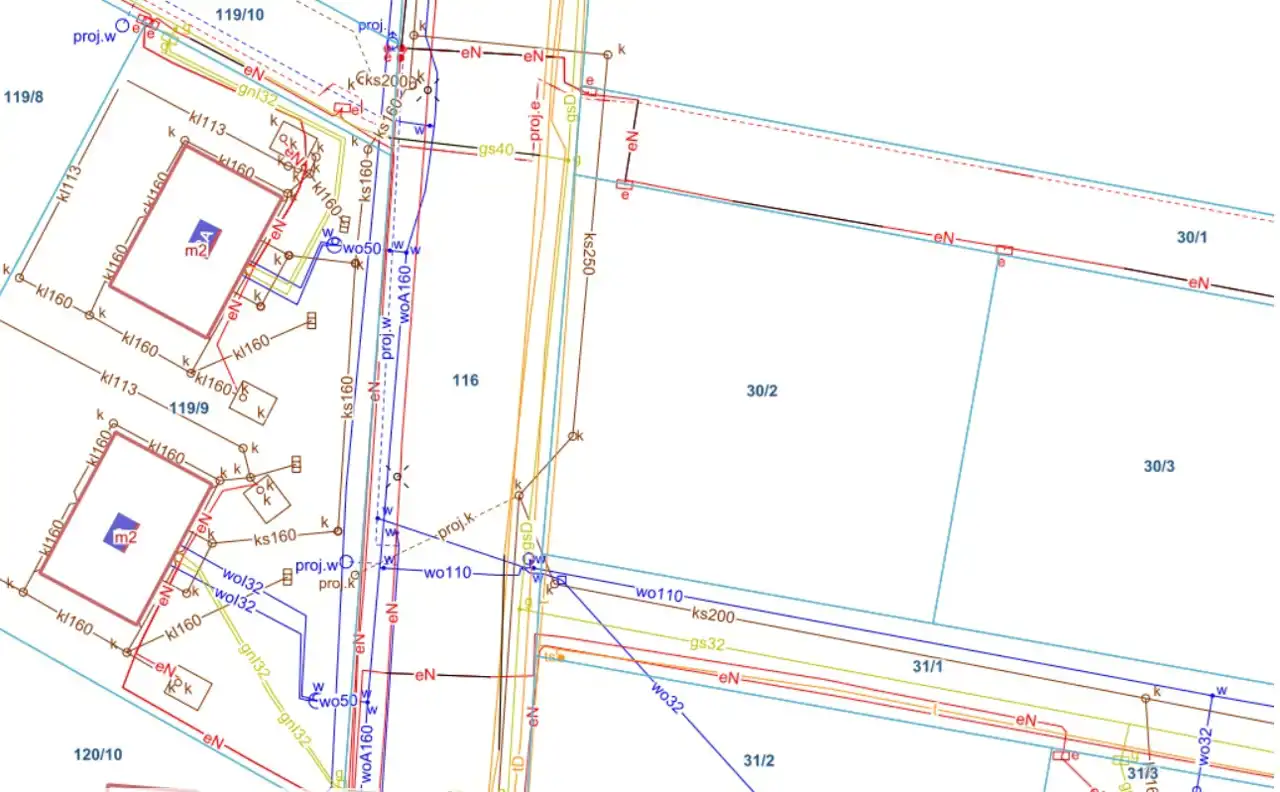
Na sprzedaż oferujemy 7 atrakcyjnych działek budowlanych położonych w miejscowości Dołuje, przy ulicy Jesienny Sad, w gminie Dobra (powiat policki).
Teren znajduje się w spokojnej, zielonej okolicy, z szybkim dojazdem do Szczecina (ok. 15 min) oraz w pobliżu granicy polsko-niemieckiej.
W sąsiedztwie znajduje się nowoczesna zabudowa jednorodzinna, las oraz tereny rekreacyjne.
Dostępne działki
| Nr działki | Powierzchnia (ha) | Powierzchnia (m²) | Cena za m² | Cena całkowita |
|---|---|---|---|---|
| 30/2 | 0.0971 | 971 | 350 zł | 339 850 zł |
| 30/3 | 0.0913 | 913 | 350 zł | 319 550 zł |
| 30/4 | 0.0905 | 905 | 350 zł | 316 750 zł |
| 30/5 | 0.0896 | 896 | 350 zł | 313 600 zł |
| 30/6 | 0.0888 | 888 | 350 zł | 310 800 zł |
| 30/7 | 0.0879 | 879 | 350 zł | 307 650 zł |
| 30/8 | 0.1229 | 1229 | 350 zł | 430 150 zł |
💰 Cena: 350 zł/m²
Ceny poszczególnych działek podane powyżej. Możliwość negocjacji przy zakupie więcej niż jednej działki.
Warunki zabudowy
Działki objęte są decyzją o warunkach zabudowy umożliwiającą realizację inwestycji polegającej na budowie wolnostojących budynków mieszkalnych jednorodzinnych wraz z niezbędną infrastrukturą techniczną.
Parametry zabudowy:
-
maksymalna wysokość budynku: do 9 m,
-
dach dwuspadowy lub wielospadowy o nachyleniu 35–50°,
-
powierzchnia zabudowy do 30% powierzchni działki,
-
minimalna powierzchnia biologicznie czynna: 50%,
-
dopuszczalne garaże w bryle budynku.
Media i infrastruktura
Bezpośrednio przy działkach:
-
woda – sieć wodociągowa,
-
kanalizacja sanitarna,
-
energia elektryczna,
-
gaz,
-
droga dojazdowa – działka nr 116 (droga powiatowa),
-
światłowód w okolicy.
Teren płaski, uzbrojony, gotowy do rozpoczęcia budowy.
Stan prawny
-
pełna własność,
-
brak obciążeń hipotecznych,
-
działki z wydanymi warunkami zabudowy,
-
dostęp do drogi publicznej.
Atuty lokalizacji
✅ Cicha, spokojna okolica – idealna dla rodzin,
✅ Bliskość Szczecina i granicy z Niemcami,
✅ Dostęp do mediów,
✅ Gotowe warunki zabudowy,
✅ Wysoki potencjał inwestycyjny.
Cena do negocjacji
Biuro Nieruchomości pobiera wynagrodzenie