Działka na sprzedaż
120 000 zł
4 184 m2











1 / 11
Szczegóły ogłoszenia
- Symbol oferty STR-GS-3038
- Typ oferty działka na sprzedaż
- Cena 120 000 zł
- Charakterystyka mieszkania 4184 m2
- Bezpieczeństwo ogrodzenie działki: brak
- Dojazd GRUNTOWA
- Działka płaska, prostokąt
- Otoczenie rzeka
Lokalizacja
- Adres małopolskie, Gdów, Gdów
Opis nieruchomości
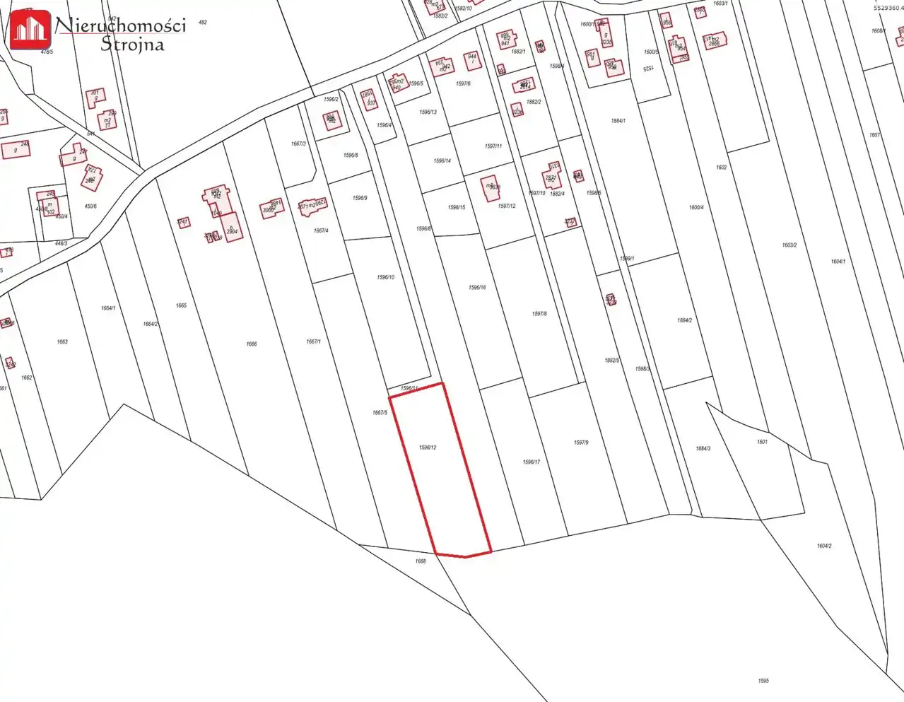
W ofercie sprzedaży działka rolna o powierzchni 41,84 a położona w miejscowości Gdów, gminie Gdów ok. 1,5km od Rynku z dostępem do Rzeki Raba.
Teren płaski w kształcie zbliżonym do prostokąta o wymiarach ok. 37 x 120m.
Dojazd z drogi asfaltowej drogą nieutwardzoną ok. 200m - udział w drodze.
Media: Woda, Gaz, Prąd, Kanalizacja w odległości ok. 200m.
W Planie Miejscowym Zagospodarowania Przestrzennego oznaczona jako:
RZ- tereny rolne i użytków zielonych.
W sąsiedztwie domy jednorodzinne, wolnostojące, tereny niezabudowane oraz Rzeka Raba.
Cicha, malownicza okolica. Idealne miejsce na odpoczynek.
Możliwość zakupu działki sąsiedniej o powierzchni 31a.
POLECAM i zapraszam na prezentację w terenie.
KONTAKT W SPRAWIE OFERTY:
Małgorzata Łanoszka 509-355-636
Teren płaski w kształcie zbliżonym do prostokąta o wymiarach ok. 37 x 120m.
Dojazd z drogi asfaltowej drogą nieutwardzoną ok. 200m - udział w drodze.
Media: Woda, Gaz, Prąd, Kanalizacja w odległości ok. 200m.
W Planie Miejscowym Zagospodarowania Przestrzennego oznaczona jako:
RZ- tereny rolne i użytków zielonych.
W sąsiedztwie domy jednorodzinne, wolnostojące, tereny niezabudowane oraz Rzeka Raba.
Cicha, malownicza okolica. Idealne miejsce na odpoczynek.
Możliwość zakupu działki sąsiedniej o powierzchni 31a.
POLECAM i zapraszam na prezentację w terenie.
KONTAKT W SPRAWIE OFERTY:
Małgorzata Łanoszka 509-355-636
Nota prawna
Opis oferty zawarty na stronie internetowej sporządzany jest na podstawie oględzin nieruchomości oraz informacji uzyskanych od właściciela, może podlegać aktualizacji i nie stanowi oferty określonej w art. 66 i następnych K.C.
Kalkulator kredytowy
Formularz kontaktowy