Działka na sprzedaż
99 000 zł
1 499 m2


















1 / 18
Szczegóły ogłoszenia
- Symbol oferty ALT-GS-1230
- Typ oferty działka na sprzedaż
- Cena 99 000 zł
- Charakterystyka mieszkania 1499 m2
- Media Woda: brak; Kanalizacja: brak; Prąd: jest; Gaz: brak
- Bezpieczeństwo ogrodzenie działki: brak
- Dojazd ASFALTOWA
- Działka Niezagospodarowana, płaska, prostokąt
Lokalizacja
- Adres podlaskie, białostocki, Gródek
Opis nieruchomości
Jeżeli szukasz miejsca do życia z dala od miasta to proponujemy Ci działkę położną w Borkach, Gmina Gródek!
Borki jest to malownicza wieś na Podlasiu otoczona Parkiem Krajobrazowym Puszczy Knyszyńskiej.
W najbliższym otoczeniu działki powstaje nowa zabudowa mieszkaniowa.
Znajdziesz tam również liczne zagrody agroturystyczne.
Wieś malowniczo położona w otoczeniu lasów i natury.
Przepływa tam również rzeka Supraśl.
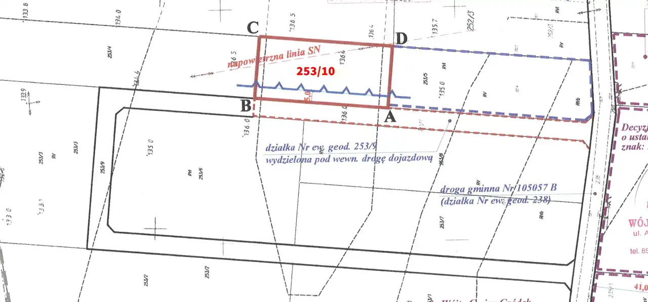
Działka oznaczona numerem geodezyjnym 253/10 o powierzchni 0,1499 ha położona jest w trzeciej linii zabudowy od drogi gminnej, na górce.
Dostęp do działki stanowi prywatna droga wewnętrzna o szerokości 10 m (przedmiotem umowy jest również udział w działce drogowej oznaczonej nr geodezyjnym 253/9)
Dla działki została wydana decyzja o warunkach zabudowy dla inwestycji dotyczącej budynku mieszkalnego jednorodzinnego wraz z infrastrukturą techniczną i zagospodarowaniem terenu.
Z wyżej wymienionej decyzji wynikają następujące warunki techniczne
- nieprzekraczalna linia zabudowy- 5 m od linii rozgraniczającej działki drogowej nr 253/9
- wskaźnik wielkości powierzchni nowej zabudowy w stosunku do powierzchni terenu inwestycji - 18%; udział powierzchni biologicznie czynnej - nie mniej niż 50% powierzchni terenu
- liczba kondygnacji - do 2 naziemnych (parter +poddasze użytkowe)
- szerokość elewacji frontowej - 15 m
- wysokość zabudowy - do 9 m
- dach dwuspadowy lub wielospadowy
Media: energia elektryczna
Zapraszam na prezentację !!!
Oferta tylko u nas !
Borki jest to malownicza wieś na Podlasiu otoczona Parkiem Krajobrazowym Puszczy Knyszyńskiej.
W najbliższym otoczeniu działki powstaje nowa zabudowa mieszkaniowa.
Znajdziesz tam również liczne zagrody agroturystyczne.
Wieś malowniczo położona w otoczeniu lasów i natury.
Przepływa tam również rzeka Supraśl.
Działka oznaczona numerem geodezyjnym 253/10 o powierzchni 0,1499 ha położona jest w trzeciej linii zabudowy od drogi gminnej, na górce.
Dostęp do działki stanowi prywatna droga wewnętrzna o szerokości 10 m (przedmiotem umowy jest również udział w działce drogowej oznaczonej nr geodezyjnym 253/9)
Dla działki została wydana decyzja o warunkach zabudowy dla inwestycji dotyczącej budynku mieszkalnego jednorodzinnego wraz z infrastrukturą techniczną i zagospodarowaniem terenu.
Z wyżej wymienionej decyzji wynikają następujące warunki techniczne
- nieprzekraczalna linia zabudowy- 5 m od linii rozgraniczającej działki drogowej nr 253/9
- wskaźnik wielkości powierzchni nowej zabudowy w stosunku do powierzchni terenu inwestycji - 18%; udział powierzchni biologicznie czynnej - nie mniej niż 50% powierzchni terenu
- liczba kondygnacji - do 2 naziemnych (parter +poddasze użytkowe)
- szerokość elewacji frontowej - 15 m
- wysokość zabudowy - do 9 m
- dach dwuspadowy lub wielospadowy
Media: energia elektryczna
Zapraszam na prezentację !!!
Oferta tylko u nas !
Nota prawna
Opis oferty zawarty na stronie internetowej sporządzany jest na podstawie oględzin nieruchomości oraz informacji uzyskanych od właściciela, może podlegać aktualizacji i nie stanowi oferty określonej w art. 66 i następnych K.C.
Kalkulator kredytowy
Formularz kontaktowy