Działka na sprzedaż























Szczegóły ogłoszenia
- Symbol oferty GUT-GS-38
- Typ oferty działka na sprzedaż
- Cena 237 805 zł
- Charakterystyka mieszkania 1195 m2
- Media Woda: w drodze; Kanalizacja: w ulicy; Prąd: jest; Gaz: brak
- Bezpieczeństwo ogrodzenie działki: brak
- Dojazd asfalt
- Działka Niezagospodarowana, lekko nachylona, trapez
- Otoczenie zabudowa jednorodzinna
Lokalizacja
- Adres warmińsko-mazurskie, Iława, Iława
Opis nieruchomości
Działka pod dom 1-rodz. / bliźniak - atrakcyjna lokalizacja na skraju Iławy.
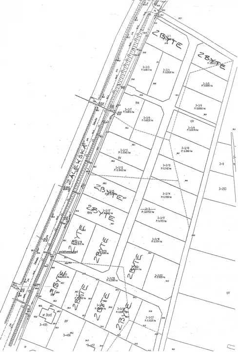
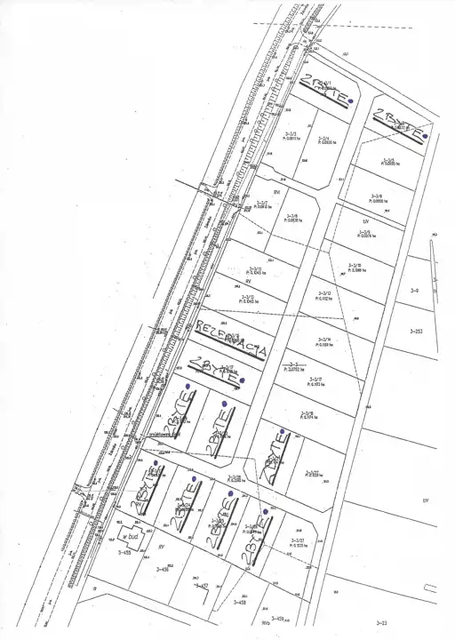
- Działka o nr ewid. 3/18 i pow. 1195m2. Pod zabudowę mieszkaniową 1 rodzinną. W kompleksie działek. W sąsiedztwie nowoczesnej zabudowy mieszkaniowej.
- Media: wodociąg, energia el., kanalizacja. W pobliżu: gaz i tel. Wymiary działki: ~54m x 22m.
- K./ drogi asfaltowej. Z nowym wjazdem z ulicy Zalewskiej.
- Bdb lokalizacja na zacisznym skraju miasta. Dla wygody okolicznych mieszkańców w pobliżu otwarto market "Biedronka".
- Na bogatym w jeziora i lasy Pojezierzu Iławskim. W Iławie i okolicy znajdują się liczne parki krajobrazowe oraz rezerwaty przyrody. Iława słynie z najdłuższego w kraju 27 km jeziora Jeziorak. Ten duży akwen ulubiony jest m.in. przez miłośników żeglarstwa. Czeka tu na Nich nowoczesny port jachtowy.
- W mieście i okolicy znajdują się nowoczesne trasy rowerowo - piesze oraz tereny rekreacji i wypoczynku na świeżym powietrzu. Iława określana jest perłą turystyczną wojew. warmińsko - mazurskiego i leży na terenie tzw. "Zielonych Płuc Polski".
- Swym Mieszkańcom oraz Gościom Iława oferuje bogatą infrastrukturę miejską.
- Iława jest ważnym węzłem PKP z wieloma połączeniami z największymi ośrodkami w kraju. Kursuje tu regularnie m.in. komfortowe "Pendolino". Dojazd: Warszawa ~2 godz. / Gdańsk ~1 godz. / Kraków ~4,5 godz.
- 2 min. autem do centrum miasta.
- Przez Iławę przebiega droga krajowa nr 16 w kierunku Olsztyna i Grudziądza. W gminie sąsiedniej biegnie droga ekspresowa S-7 w kierunku Gdańska, Warszawy oraz Krakowa.
Ident. działki: 280701_1.0003.3/18
Wynagrodzenie biura pokrywa Zbywca. Cena do negocjacji
Jesteśmy dla Państwa od ub. wieku - tysiące transakcji i 100% bezszkodowość.
Obsługujemy nieruch. w całym kraju - również kompleksowo z Pełnomocnictw. Powierniczo także nabywamy nieruch. dla Klientów.
Specjalizacja powiaty: iławski - nowomiejski - brodnicki - działdowski - ostródzki - grudziądzki - kwidzyński - sztumski oraz zarządzanie najmem.
Nasi Klienci pochodzą gł. z poleceń - poleć nas Znajomym. Odpowiedzialny zawodowo za realizację Umowy mgr Wojciech Gutkowski - Licencja PFRN Nr 1385. Przedmiotowa prezentacja oferty ma charakter poglądowy i nie stanowi oferty w rozumieniu Kodeksu Cywilnego.