Działka na sprzedaż










Szczegóły ogłoszenia
- Symbol oferty ALT-GS-1186
- Typ oferty działka na sprzedaż
- Cena 390 000 zł
- Charakterystyka mieszkania 1500 m2
- Media Woda: jest; Prąd: jest; Gaz: jest
- Bezpieczeństwo ogrodzenie działki: brak
- Dojazd asfalt
- Działka Niezagospodarowana, płaska, kwadrat
- Otoczenie działki zabudowane
Lokalizacja
- Adres podlaskie, Juchnowiec Kościelny, Ignatki
Opis nieruchomości
Odkryj Idealne Działki w Ignatkach – Twoje Miejsce na Własny Dom!
Marzysz o własnym domu w spokojnej okolicy?
Mamy dla Ciebie doskonałą propozycję! Przedstawiamy wyjątkowe, kształtne i foremne działki w Ignatkach przy ul. Przemysłowej, gmina Juchnowiec Kościelny.
To niepowtarzalna okazja, która spełni Twoje marzenia o własnym domu!
Dlaczego warto wybrać nasze działki?
Plan Zagospodarowania Przestrzennego:
Teren jest objęty planem zagospodarowania przestrzennego, co gwarantuje Ci pewność inwestycji (1.1 U,MN na rysunku planu)
Zróżnicowane Działki Budowlane:
Działki zostały podzielone tak, abyś mógł wybrać idealną przestrzeń pod swój dom.
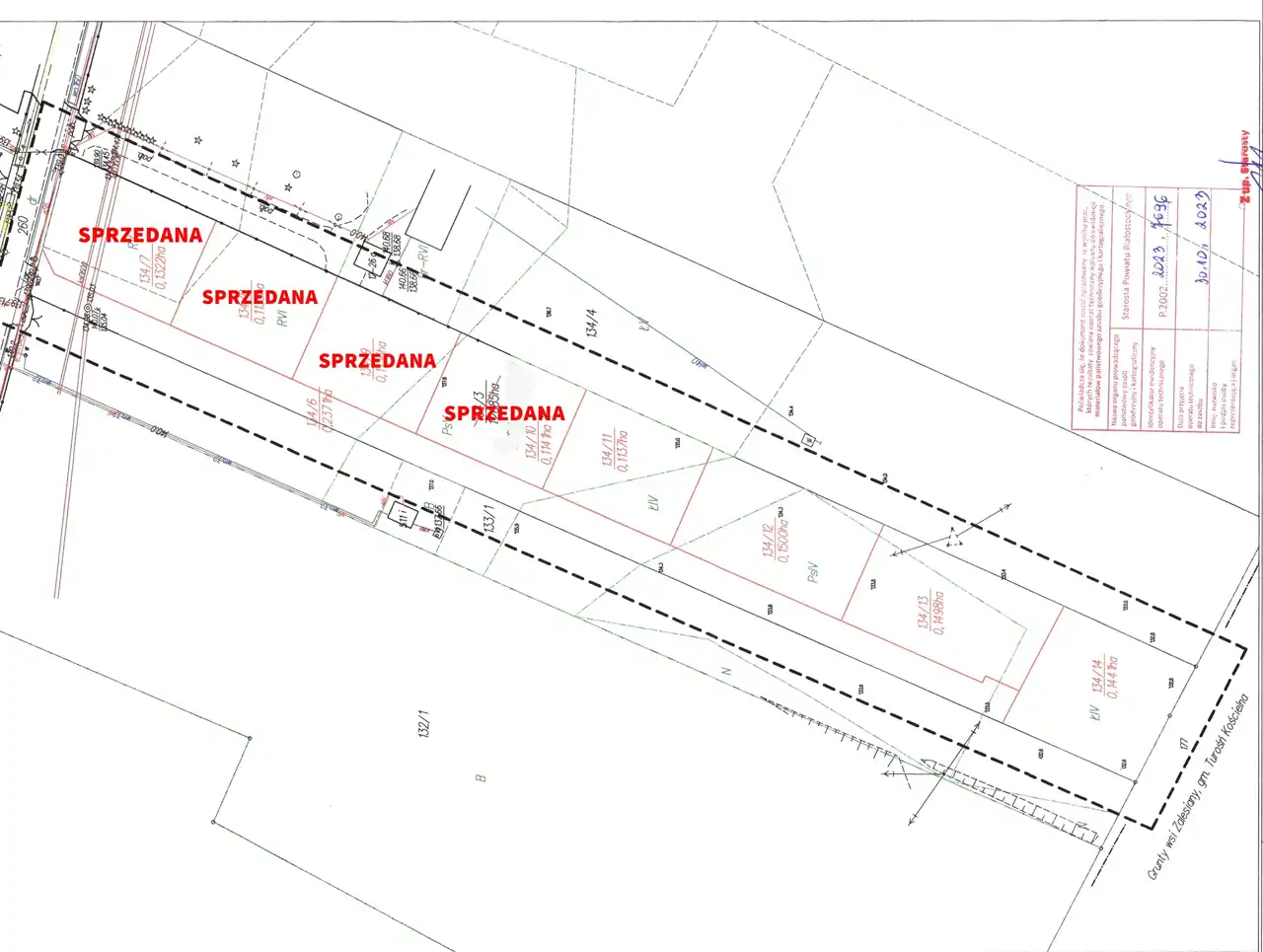
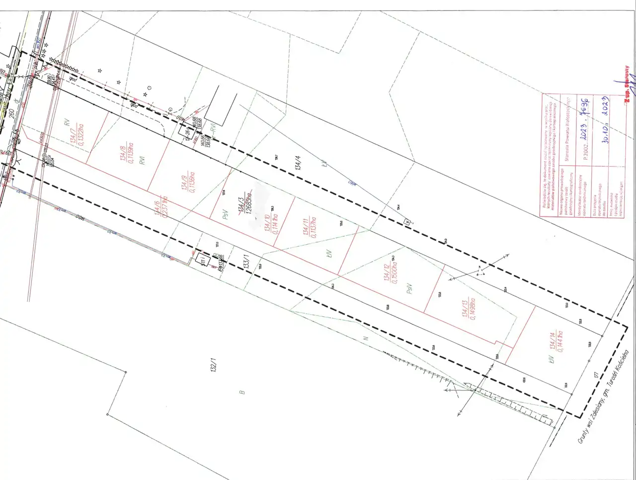
Mamy 8 działek budowlanych, w tym jedną, którą wyznacza droga wewnętrzna o szerokości 8 m.
Mamy dostępne działki:
NR 134/11 o pow. 1137 m2 w cenie - 350.000 zł
NR 134/12 o pow. 1500 m2 w cenie - 390.000 zł
NR 134/13 o pow. 1498 m2 w cenie - 390.000 zł
Przestrzeń Biologicznie Czynna:
MPZP zakłada następujące warunki zabudowy:
1/ udział powierzchni terenu biologicznie czynnego w powierzchni działki budowlanej:
a) dla zabudowy mieszkaniowej jednorodzinnej – minimum 40%,
b) dla zabudowy mieszkaniowo-usługowej – minimum 35%,
c) dla zabudowy usługowej – minimum 30%
Warunki Zabudowy dostosowane do Twoich Planów:
MPZP zakłada maksymalną powierzchnię zabudowy:
a) w przypadku zabudowy mieszkaniowej – maksimum 35% powierzchni działki budowlanej,
b) w przypadku zabudowy mieszkaniowo-usługowej – maksimum 40% powierzchni działki budowlanej,
c) w przypadku zabudowy usługowej – maksimum 60% powierzchni działki budowlanej;
Estetyka i Kreatywność w Architekturze:
Domy mogą mieć do dwóch kondygnacji, a dachy dwuspadowe, wielospadowe lub płaskie, nadające charakter całej okolicy. Opcje kolorystyczne dachów (brązowy, grafitowy, zielony lub ciemne odcienie czerwieni) pozwolą Ci wyrazić swój unikalny styl.
Zabudowa Mieszkaniowa Jednorodzinna:
Teren ten jest idealnie przystosowany do budowy domów jednorodzinnych, zarówno wolnostojących jak i bliźniaczych.
Media dostępne na Twoim Wyciągnięciu Ręki:
Po uzgodnieniu z gestorami mediów możesz cieszyć się dostępem do wody, gazu i energii elektrycznej. Wygodne życie w zasięgu ręki!
Nie zwlekaj – teraz jest czas na spełnienie swoich marzeń o wymarzonym domu! Skontaktuj się z nami już teraz, aby dowiedzieć się więcej tej ofercie.