Działka na sprzedaż
306 000 zł
3 044 m2

















1 / 17
Szczegóły ogłoszenia
- Symbol oferty FRP-GS-197560
- Typ oferty działka na sprzedaż
- Cena 306 000 zł
- Charakterystyka mieszkania 3044 m2
- Dojazd ASFALTOWA
Lokalizacja
- Adres wielkopolskie, Kaczory, Morzewo
Opis nieruchomości
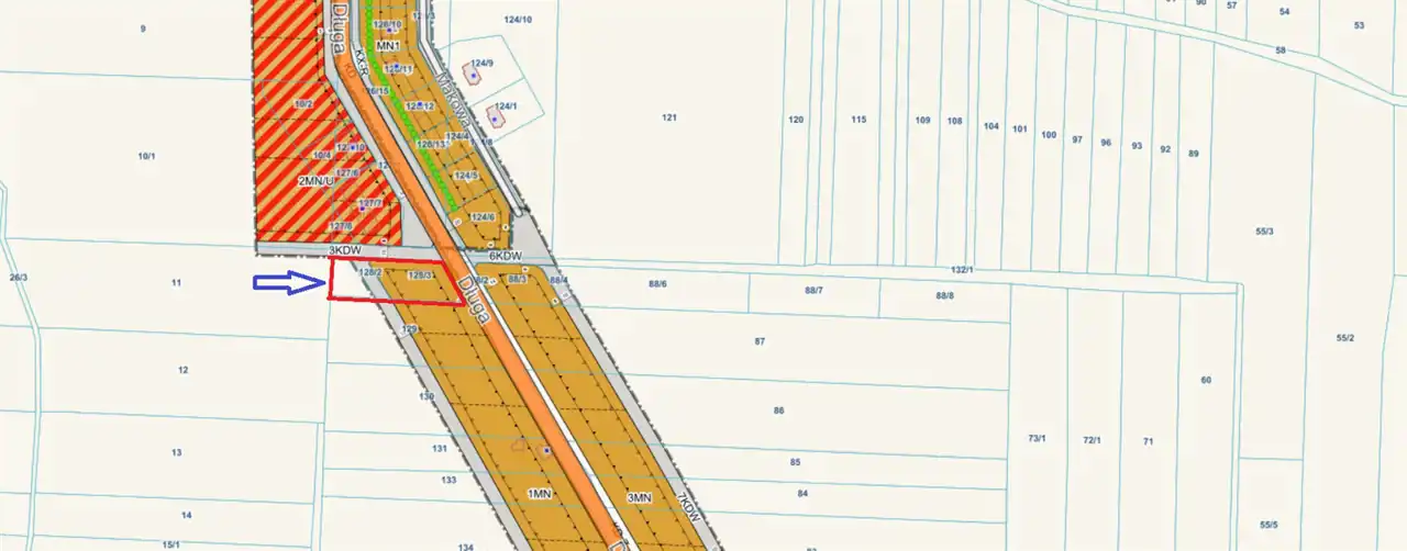
Morzewo gm. Kaczory ulica Długa, sprzedaż kompleksu działek o łącznej powierzchni 3044m2.
Przedmiotem sprzedaży jest kompleks czterech działek.
Na działce znajduje się woda.
Media: w pobliżu prąd, gaz, kanalizacja, światłowód.
Dojazd drogą asfaltową.
Działka przeznaczona wg Miejscowego Planu Zagospodarowania Przestrzennego pod zabudowę mieszkaniową jednorodzinną z dopuszczeniem jednego budynku garażowego lub gospodarczego.
Przedmiotem sprzedaży jest kompleks czterech działek.
Na działce znajduje się woda.
Media: w pobliżu prąd, gaz, kanalizacja, światłowód.
Dojazd drogą asfaltową.
Działka przeznaczona wg Miejscowego Planu Zagospodarowania Przestrzennego pod zabudowę mieszkaniową jednorodzinną z dopuszczeniem jednego budynku garażowego lub gospodarczego.
Nota prawna
Opis oferty zawarty na stronie internetowej sporządzany jest na podstawie oględzin nieruchomości oraz informacji uzyskanych od właściciela, może podlegać aktualizacji i nie stanowi oferty określonej w art. 66 i następnych K.C.
Kalkulator kredytowy
Formularz kontaktowy