Obiekt na sprzedaż
0 zł
89 m2




1 / 4
Szczegóły ogłoszenia
- Symbol oferty PKP-BS-28
- Typ oferty obiekt na sprzedaż
- Cena 0 zł
- Charakterystyka mieszkania 89 m2
- Media Prąd: jest
- Dojazd droga utwardzona
Lokalizacja
- Adres podkarpackie, sanocki, Komańcza
Opis nieruchomości
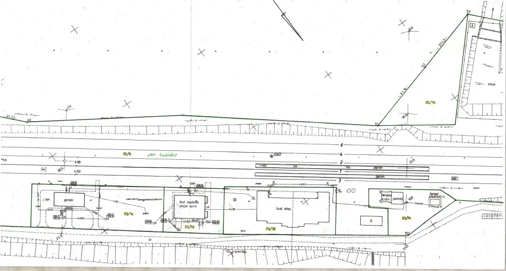
Działka nr 20/11 znajduje się w miejscowości Łupków. Nieruchomość zlokalizowana przy linii kolejowej nr 107 Nowy Łupków - Zagórz, w bezpośrednim sąsiedztwie budynku stacyjnego Łupków. Działka nr 20/11 posiada nieregularny kształt, który nie wpływa jednak negatywnie na możliwość racjonalnego jej zagospodarowania. Działka posiada bezpośredni dostęp do drogi publicznej.
Cena orientacyjna: 45 000,00 zł
Tryb sprzedaży: przetarg ustny nieograniczony
W otoczeniu nieruchomości przeważają tereny niezabudowane głównie rolnicze. Na działce znajduje się budynek kotłowni (o pow. użytkowej ok. 54 m2) oraz budynek schroniska rewidentów wagonów (o pow. użytkowej ok. 35 m2). Przy budynku kotłowni zlokalizowana jest studnia. Na działce znajduje się obiekt nietrwale związany z gruntem (wiata z agregatem prądotwórczym). Działka podłączona do kanalizacji deszczowej, sanitarnej oraz do kanalizacji przemysłowej. W budynku dostępna sieć komputerowa, antypożarowa oraz antywłamaniowa.
Cena orientacyjna: 45 000,00 zł
Tryb sprzedaży: przetarg ustny nieograniczony
W otoczeniu nieruchomości przeważają tereny niezabudowane głównie rolnicze. Na działce znajduje się budynek kotłowni (o pow. użytkowej ok. 54 m2) oraz budynek schroniska rewidentów wagonów (o pow. użytkowej ok. 35 m2). Przy budynku kotłowni zlokalizowana jest studnia. Na działce znajduje się obiekt nietrwale związany z gruntem (wiata z agregatem prądotwórczym). Działka podłączona do kanalizacji deszczowej, sanitarnej oraz do kanalizacji przemysłowej. W budynku dostępna sieć komputerowa, antypożarowa oraz antywłamaniowa.
Nota prawna
Opis oferty zawarty na stronie internetowej sporządzany jest na podstawie oględzin nieruchomości oraz informacji uzyskanych od właściciela, może podlegać aktualizacji i nie stanowi oferty określonej w art. 66 i następnych K.C.
Kalkulator kredytowy
Formularz kontaktowy