Działka na sprzedaż
310 000 zł
1 084 m2




1 / 4
Szczegóły ogłoszenia
- Symbol oferty JNG-GS-1132
- Typ oferty działka na sprzedaż
- Cena 310 000 zł
- Charakterystyka mieszkania 1084 m2
- Media Woda: w ulicy; Prąd: w ulicy
- Bezpieczeństwo ogrodzenie działki: brak
- Dojazd asfalt
- Działka Niezagospodarowana, płaska
- Otoczenie jezioro
Lokalizacja
- Adres wielkopolskie, Kórnik
Opis nieruchomości
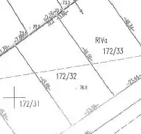
Sprzedaż działki budowlanej w miejscowości Skrzynki gmina Kórnik położonej w okolicy ulicy Figowej, miejscowość Skrzynki bezpośrednio graniczy z miastem Kórnik. Powierzchnia gruntu 1084m2, front ok 23m, kształt zbliżony do prostokąta, teren płaski nie zadrzewiony. Uzbrojenie: prąd, woda, gaz, w zasięgu nieruchomości. Droga dojazdowa asfaltowa, droga wewnętrzna zapewniająca dostęp do drogi publicznej gruntowa. Aktualny plan zagospodarowania przestrzennego: Uchwała nr IV/24/2018 Rady Miasta i Gminy Kórnik z dnia 28.12.2018r.
Lokalizacja zapewnia łatwy i szybki dojazd do Poznania (ok. 15km). W odległości ok.1 km w znajduje się zjazd na drogę ekspresową S11 w kierunku Katowic. Ponadto w bliskim otoczeniu markety spożywcze, jezioro Skrzynki Duże, tereny rekreacyjne, natomiast szkoła, przedszkole, basen, punkty usługowe w mieście Kórnik, które graniczy po sąsiedzku.
Cena sprzedaży: 310 000 zł
Kontakt: Joanna Nitka-Grzegorczyk tel.: 608 828 169
Bezpłatnie pomagamy uzyskać najkorzystniejszy kredyt na rynku.
Pośrednik odpowiedzialny zawodowo: Joanna Nitka-Grzegorczyk licencja nr: 9523.
Przedstawione dane mają charakter informacyjny i nie stanowią oferty w rozumieniu przepisów K.C.
Lokalizacja zapewnia łatwy i szybki dojazd do Poznania (ok. 15km). W odległości ok.1 km w znajduje się zjazd na drogę ekspresową S11 w kierunku Katowic. Ponadto w bliskim otoczeniu markety spożywcze, jezioro Skrzynki Duże, tereny rekreacyjne, natomiast szkoła, przedszkole, basen, punkty usługowe w mieście Kórnik, które graniczy po sąsiedzku.
Cena sprzedaży: 310 000 zł
Kontakt: Joanna Nitka-Grzegorczyk tel.: 608 828 169
Bezpłatnie pomagamy uzyskać najkorzystniejszy kredyt na rynku.
Pośrednik odpowiedzialny zawodowo: Joanna Nitka-Grzegorczyk licencja nr: 9523.
Przedstawione dane mają charakter informacyjny i nie stanowią oferty w rozumieniu przepisów K.C.
Nota prawna
Opis oferty zawarty na stronie internetowej sporządzany jest na podstawie oględzin nieruchomości oraz informacji uzyskanych od właściciela, może podlegać aktualizacji i nie stanowi oferty określonej w art. 66 i następnych K.C.
Kalkulator kredytowy
Formularz kontaktowy