Działka na sprzedaż
60 000 zł
1 001 m2









1 / 9
Szczegóły ogłoszenia
- Symbol oferty PTY-GS-790
- Typ oferty działka na sprzedaż
- Cena 60 000 zł
- Charakterystyka mieszkania 1001 m2
- Media Woda: w ulicy; Kanalizacja: brak; Prąd: w ulicy; Gaz: w ulicy
- Bezpieczeństwo ogrodzenie działki: brak
- Dojazd asfalt
- Działka Niezagospodarowana, lekko nachylona, wielokąt
- Otoczenie działki niezabudowane
Lokalizacja
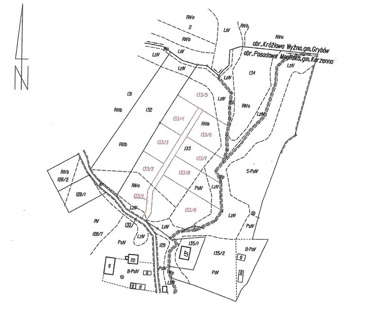
- Adres małopolskie, Korzenna, Posadowa Mogilska
Opis nieruchomości
OKAZJA CENOWA !
Ładna podmiejska działka
Działka budowlana obok miasta Nowego Sącza w Posadowej Mogilskiej
z dobrym dojazdem i uzbrojeniem w media.
Teren ekologiczny, poniżej potok, stok południowy, lekko nachylony.
Media: gaz obok działek, woda w pobliżu, elektryczność w pobliżu, brak kanalizacji; mapa zasadnicza terenu dostępna w biurze,
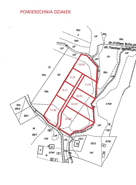
- Powierzchnia 1133 m2 plus udział w drodze
- Działka nr 133/6
Istnieje możliwość powiększenia terenu poprzez zakup sąsiednich działek:
133/7 - 1001 m2 - 60000 zł z udziałem w drodze wewnętrznej
133/8 - 1418 m2 - 80000 zł z udziałem w drodze wewnętrznej
133/9 - 2566 m2 - 130000 zł z udziałem w drodze wewnętrznej
W przypadku zakupu sąsiednich działek cena podlega negocjacjom
Identyfikator :121006_2.0012.133/6
Nota prawna
Opis oferty zawarty na stronie internetowej sporządzany jest na podstawie oględzin nieruchomości oraz informacji uzyskanych od właściciela, może podlegać aktualizacji i nie stanowi oferty określonej w art. 66 i następnych K.C.
Kalkulator kredytowy
Formularz kontaktowy