Działka na sprzedaż
200 000 zł
2 400 m2





1 / 5
Szczegóły ogłoszenia
- Symbol oferty EMP-GS-10412
- Typ oferty działka na sprzedaż
- Cena 200 000 zł
- Charakterystyka mieszkania 2400 m2
- Media Woda: brak; Kanalizacja: brak; Prąd: w ulicy; Gaz: brak
- Bezpieczeństwo ogrodzenie działki: brak
- Dojazd droga utwardzona
- Działka Niezagospodarowana, płaska, prostokąt
- Otoczenie zabudowa mieszana
Lokalizacja
- Adres warmińsko-mazurskie, Kowale Oleckie
Opis nieruchomości
Do działki dojedziesz wklejając w Google Mapa 54.163433, 22.423021
https://maps.app.goo.gl/EYT89edVD2rAWoPF6
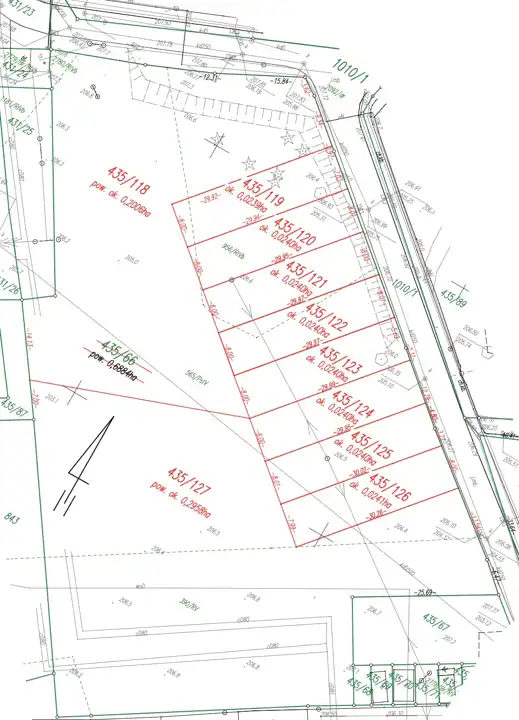
Na sprzedaż 10 działek pod zabudowę szeregową (numery ewidencyjne 435/19-435/126) o powierzchni ok. 240mkw każda.
Działki są w trakcie podziału z działki 435/66, na podstawie wydanych warunków zabudowy.
Decyzja przewiduje budowę 10 budynków jednorodzinnych w zabudowie szeregowej wraz z niezbędną infrastrukturą techniczną.
Możliwość zakupu działek 435/18 (2006mkw) oraz 435/127 (2958mkw).
Zapraszam do kontaktu
Maciej Adamczyk
883 106 453
https://maps.app.goo.gl/EYT89edVD2rAWoPF6
Na sprzedaż 10 działek pod zabudowę szeregową (numery ewidencyjne 435/19-435/126) o powierzchni ok. 240mkw każda.
Działki są w trakcie podziału z działki 435/66, na podstawie wydanych warunków zabudowy.
Decyzja przewiduje budowę 10 budynków jednorodzinnych w zabudowie szeregowej wraz z niezbędną infrastrukturą techniczną.
Możliwość zakupu działek 435/18 (2006mkw) oraz 435/127 (2958mkw).
Zapraszam do kontaktu
Maciej Adamczyk
883 106 453
Nota prawna
Opis oferty zawarty na stronie internetowej sporządzany jest na podstawie oględzin nieruchomości oraz informacji uzyskanych od właściciela, może podlegać aktualizacji i nie stanowi oferty określonej w art. 66 i następnych K.C.
Kalkulator kredytowy
Formularz kontaktowy