Działka na sprzedaż
325 600 zł
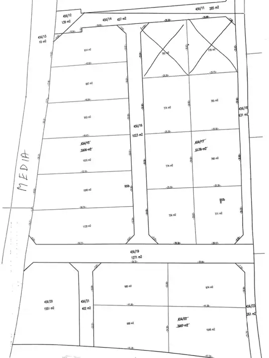
814 m2



1 / 3
Szczegóły ogłoszenia
- Symbol oferty LAV-GS-2786
- Typ oferty działka na sprzedaż
- Cena 325 600 zł
- Charakterystyka mieszkania 814 m2
- Media Woda: w drodze; Kanalizacja: w pobliżu; Prąd: w ulicy; Gaz: w drodze dojazdowej
- Bezpieczeństwo ogrodzenie działki: brak
- Działka Niezagospodarowana, płaska, prostokąt
Lokalizacja
- Adres wielkopolskie, Leszno, Gronowo
Opis nieruchomości
Działka budowlana położona w Lesznie, ul. Antonińska.
Działka o powierzchni 814 m2
Cena: 325 600 PLN
Teren płaski.
Media w drodze.
Jedyna taka oferta na rynku!
Dostępne są również działki o innych powierzchniach od 814 m2 - 1129 m2 łącznie aż 15 nieruchomości gruntowych.
Działki sprzedawane będą wraz ze służebnością lub z możliwością dojazdu poprzez działki należące do miasta Leszna.
Zgodnie z obowiązującym planem zagospodarowania przestrzennego, oznaczone symbolem 14MN, 15MN i 22MN - przeznaczone pod zabudowę mieszkaniową jednorodzinną.
Media: gaz i kanalizacja znajdują się w drodze – ul. Antonińska, przy sprzedawanych działkach, natomiast prąd i woda też w drodze przy ul. Antonińskiej na wysokości domu mieszkalnego.
Lokalizacja: Leszno, Gronowo
Działka o powierzchni 814 m2
Cena: 325 600 PLN
Teren płaski.
Media w drodze.
Jedyna taka oferta na rynku!
Dostępne są również działki o innych powierzchniach od 814 m2 - 1129 m2 łącznie aż 15 nieruchomości gruntowych.
Działki sprzedawane będą wraz ze służebnością lub z możliwością dojazdu poprzez działki należące do miasta Leszna.
Zgodnie z obowiązującym planem zagospodarowania przestrzennego, oznaczone symbolem 14MN, 15MN i 22MN - przeznaczone pod zabudowę mieszkaniową jednorodzinną.
Media: gaz i kanalizacja znajdują się w drodze – ul. Antonińska, przy sprzedawanych działkach, natomiast prąd i woda też w drodze przy ul. Antonińskiej na wysokości domu mieszkalnego.
Lokalizacja: Leszno, Gronowo
Nota prawna
Opis oferty zawarty na stronie internetowej sporządzany jest na podstawie oględzin nieruchomości oraz informacji uzyskanych od właściciela, może podlegać aktualizacji i nie stanowi oferty określonej w art. 66 i następnych K.C.
Kalkulator kredytowy
Formularz kontaktowy