Działka na sprzedaż
199 000 zł
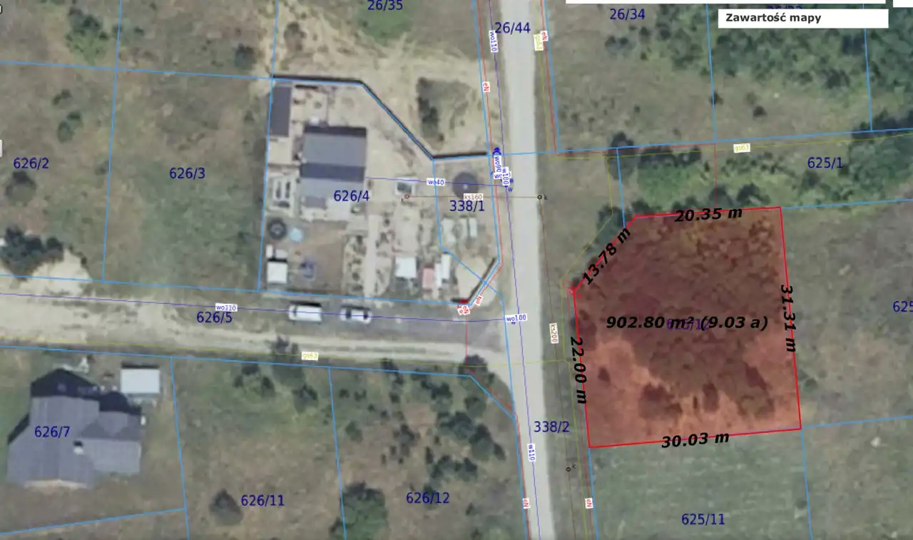
897 m2



1 / 3
Szczegóły ogłoszenia
- Symbol oferty LUX-GS-2164
- Typ oferty działka na sprzedaż
- Cena 199 000 zł
- Charakterystyka mieszkania 897 m2
- Bezpieczeństwo ogrodzenie działki: brak
- Działka Niezagospodarowana, płaska, nieregularny
Lokalizacja
- Adres wielkopolskie, leszczyński, Lipno
Opis nieruchomości
Biuro nieruchomości "Luxus Home" Leszno, oferuje do sprzedaży działkę budowlaną zlokalizowaną w Gronówku, gmina Lipno na Osiedlu Gronowym.
Powierzchnia działki: 897 m2.
Media: prąd, woda, gaz, kanalizacja.
Kształt: nieregularny.
Szerokość frontu: 36 m.
Dojazd: droga utwardzona.
Przeznaczenie: zabudowa mieszkaniowa jednorodzinna wolnostojąca.
Lokalizacja: spokojna okolica, w sąsiedztwie lasu oraz zabudowań mieszkaniowych jednorodzinnych.
Powierzchnia działki: 897 m2.
Media: prąd, woda, gaz, kanalizacja.
Kształt: nieregularny.
Szerokość frontu: 36 m.
Dojazd: droga utwardzona.
Przeznaczenie: zabudowa mieszkaniowa jednorodzinna wolnostojąca.
Lokalizacja: spokojna okolica, w sąsiedztwie lasu oraz zabudowań mieszkaniowych jednorodzinnych.
Nota prawna
Opis oferty zawarty na stronie internetowej sporządzany jest na podstawie oględzin nieruchomości oraz informacji uzyskanych od właściciela, może podlegać aktualizacji i nie stanowi oferty określonej w art. 66 i następnych K.C.
Kalkulator kredytowy
Formularz kontaktowy