Działka na sprzedaż
1 285 000 zł
3 834 m2




1 / 4
Szczegóły ogłoszenia
- Symbol oferty EMP-GS-10052
- Typ oferty działka na sprzedaż
- Cena 1 285 000 zł
- Charakterystyka mieszkania 3834 m2
- Media Woda: w ulicy; Kanalizacja: brak; Prąd: w ulicy; Gaz: w ulicy
- Bezpieczeństwo ogrodzenie działki: brak
- Dojazd asfalt
- Działka Niezagospodarowana, płaska, prostokąt
- Otoczenie działki zabudowane
Lokalizacja
- Adres mazowieckie, wołomiński, Marki
Opis nieruchomości
Do działki dojedziesz wklejając w Google Maps 52.334071, 21.089856
https://maps.app.goo.gl/MzptRsQCZGeWTnNP9
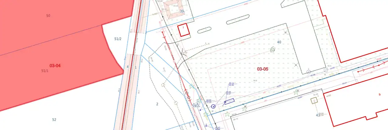
Marki, ulica Bandurskiego
numery ewidencyjne 50+51/1
obręb 3-04
Media:
prąd w ulicy przy działce
woda, gaz w odległości 40 metrów od działki
Wymiary
Działka jest miejscowym planem zagospodarowania przestrzennego pod zabudowę mieszkaniową (symbol 100Me).
Ustalenia planu:
- zabudowa mieszkaniowa jednorodzinna wolnostojąca, z wykluczeniem zabudowy szeregowej i bliźniaczej
- przeznaczenie dopuszczalne obiekty podstawowych usług handlu i usług bytowych o powierzchni użytkowej nie większej niż 200 m²
- powierzchnia nowo wydzielanych działek minimum 1200 m2
- w strefie 50 metrów od granic cmentarza ustala się zakaz zabudowy mieszkaniowej oraz obiektów stałego pobytu ludzi.
Zapraszam do kontaktu
Maciej Adamczyk
883-106-453
https://maps.app.goo.gl/MzptRsQCZGeWTnNP9
Marki, ulica Bandurskiego
numery ewidencyjne 50+51/1
obręb 3-04
Media:
prąd w ulicy przy działce
woda, gaz w odległości 40 metrów od działki
Wymiary
Działka jest miejscowym planem zagospodarowania przestrzennego pod zabudowę mieszkaniową (symbol 100Me).
Ustalenia planu:
- zabudowa mieszkaniowa jednorodzinna wolnostojąca, z wykluczeniem zabudowy szeregowej i bliźniaczej
- przeznaczenie dopuszczalne obiekty podstawowych usług handlu i usług bytowych o powierzchni użytkowej nie większej niż 200 m²
- powierzchnia nowo wydzielanych działek minimum 1200 m2
- w strefie 50 metrów od granic cmentarza ustala się zakaz zabudowy mieszkaniowej oraz obiektów stałego pobytu ludzi.
Zapraszam do kontaktu
Maciej Adamczyk
883-106-453
Nota prawna
Opis oferty zawarty na stronie internetowej sporządzany jest na podstawie oględzin nieruchomości oraz informacji uzyskanych od właściciela, może podlegać aktualizacji i nie stanowi oferty określonej w art. 66 i następnych K.C.
Kalkulator kredytowy
Formularz kontaktowy