Działka na sprzedaż
1 350 000 zł
2 000 m2





1 / 5
Szczegóły ogłoszenia
- Symbol oferty EMP-GS-9935
- Typ oferty działka na sprzedaż
- Cena 1 350 000 zł
- Charakterystyka mieszkania 2000 m2
- Media Woda: w ulicy; Kanalizacja: w ulicy; Prąd: w ulicy; Gaz: w ulicy
- Bezpieczeństwo ogrodzenie działki: częściowo ogrodzona
- Dojazd asfalt
- Działka Niezagospodarowana, płaska, prostokąt
- Otoczenie zabudowa jednorodzinna
Lokalizacja
- Adres mazowieckie, wołomiński, Marki
Opis nieruchomości
Do działki dojedziesz wklejając w Google Maps 52.320387, 21.115758
https://maps.app.goo.gl/Nyy7ToxBpfLNR2aPA
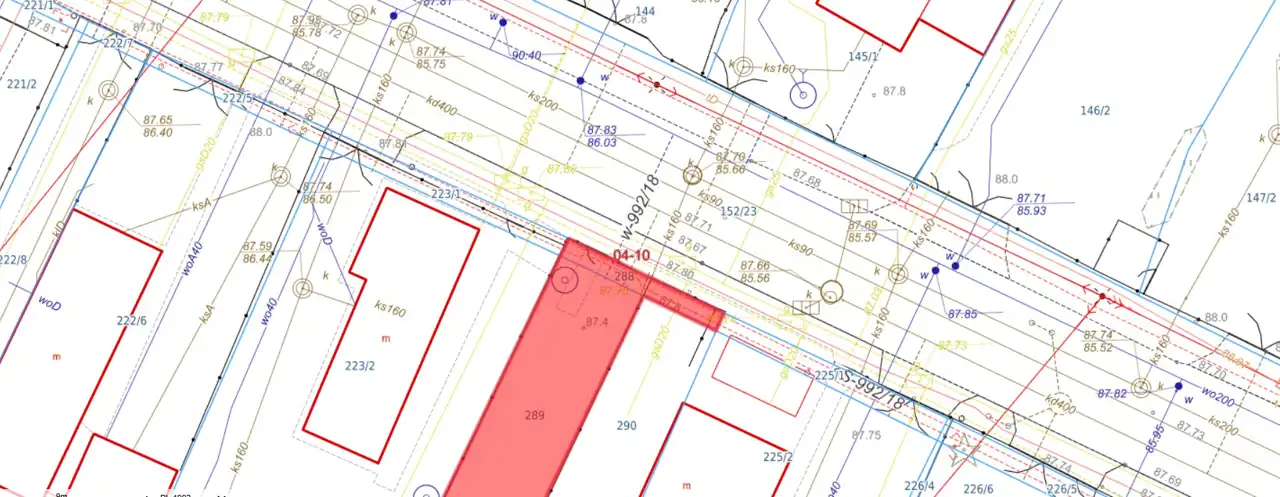
Marki, ul. Leopolda Lisa Kuli
numery ewidencyjne 288 + 289 + 256
obręb 4-10
Media
prąd, woda, gaz, kanalizacja - w ulicy
Wymiary
22m x 71m
Teren jest objęty miejscowym planem zagospodarowania przestrzennego pod zabudowę mieszkaniowo-usługową (symbol 145 MNU) oraz pod teren zieleni izolacyjnej (symbol 151 Zl, około 490m2).
Ustalenia planu (symbol 145 MNU):
1. Przeznaczenie podstawowe: Zabudowa mieszkaniowa jednorodzinna wolnostojąca i bliźniacza
2. Przeznaczenie uzupełniające: Drugorzędny układ drogowy ; Usługi gastronomii i handlu (do 1000 m² p.uż) oraz podstawowe usługi bytowe, przy czym strefa uciążliwości obiektów usługowych nie może wykraczać poza granice lokalizacji ;
3. Przeznaczenie dopuszczalne: Elementy podziemnej i naziemnej infrastruktury technicznej takie jak stacje transformatorowe, podziemne przepompownie ścieków i inne nieuciążliwe urządzenia kanalizacyjne;
4. Powierzchnia biologicznie czynna: Minimum 50% dla każdej działki inwestycyjnej ;
5. Wysokość zabudowy mieszkaniowej : do trzech kondygnacji naziemnych to jest parter, piętro i mieszkalne poddasze
6. Wysokość zabudowy usługowej : do dwóch kondygnacji naziemnych ;
7. Minimalna wielkość działki budowlanej: W zabudowie jednorodzinnej 600m² ;
8. Formy parkowania: Parkowanie pojazdów musi odbywać się na terenie własnej działki inwestora.
Zapraszam do kontaktu
Maciej Adamczyk
883 106 453
https://maps.app.goo.gl/Nyy7ToxBpfLNR2aPA
Marki, ul. Leopolda Lisa Kuli
numery ewidencyjne 288 + 289 + 256
obręb 4-10
Media
prąd, woda, gaz, kanalizacja - w ulicy
Wymiary
22m x 71m
Teren jest objęty miejscowym planem zagospodarowania przestrzennego pod zabudowę mieszkaniowo-usługową (symbol 145 MNU) oraz pod teren zieleni izolacyjnej (symbol 151 Zl, około 490m2).
Ustalenia planu (symbol 145 MNU):
1. Przeznaczenie podstawowe: Zabudowa mieszkaniowa jednorodzinna wolnostojąca i bliźniacza
2. Przeznaczenie uzupełniające: Drugorzędny układ drogowy ; Usługi gastronomii i handlu (do 1000 m² p.uż) oraz podstawowe usługi bytowe, przy czym strefa uciążliwości obiektów usługowych nie może wykraczać poza granice lokalizacji ;
3. Przeznaczenie dopuszczalne: Elementy podziemnej i naziemnej infrastruktury technicznej takie jak stacje transformatorowe, podziemne przepompownie ścieków i inne nieuciążliwe urządzenia kanalizacyjne;
4. Powierzchnia biologicznie czynna: Minimum 50% dla każdej działki inwestycyjnej ;
5. Wysokość zabudowy mieszkaniowej : do trzech kondygnacji naziemnych to jest parter, piętro i mieszkalne poddasze
6. Wysokość zabudowy usługowej : do dwóch kondygnacji naziemnych ;
7. Minimalna wielkość działki budowlanej: W zabudowie jednorodzinnej 600m² ;
8. Formy parkowania: Parkowanie pojazdów musi odbywać się na terenie własnej działki inwestora.
Zapraszam do kontaktu
Maciej Adamczyk
883 106 453
Nota prawna
Opis oferty zawarty na stronie internetowej sporządzany jest na podstawie oględzin nieruchomości oraz informacji uzyskanych od właściciela, może podlegać aktualizacji i nie stanowi oferty określonej w art. 66 i następnych K.C.
Kalkulator kredytowy
Formularz kontaktowy