Działka na sprzedaż
5 999 000 zł
30 815 m2






1 / 6
Szczegóły ogłoszenia
- Symbol oferty NJB-GS-30899
- Typ oferty działka na sprzedaż
- Cena 5 999 000 zł
- Charakterystyka mieszkania 30815 m2
- Media Woda: jest; Prąd: jest; Gaz: jest
- Dojazd asfalt
Lokalizacja
- Adres dolnośląskie, średzki, Miękinia
Opis nieruchomości
Zachodnie okolice Wrocławia – grunt inwestycyjny
Polecam do sprzedaży grunt inwestycyjny - 10 działek z drogą wewnętrzną .
Działki o powierzchni około 3000m2 każda , dojazd oświetloną drogą asfaltową.
Dostępne media :prąd, woda , gaz.
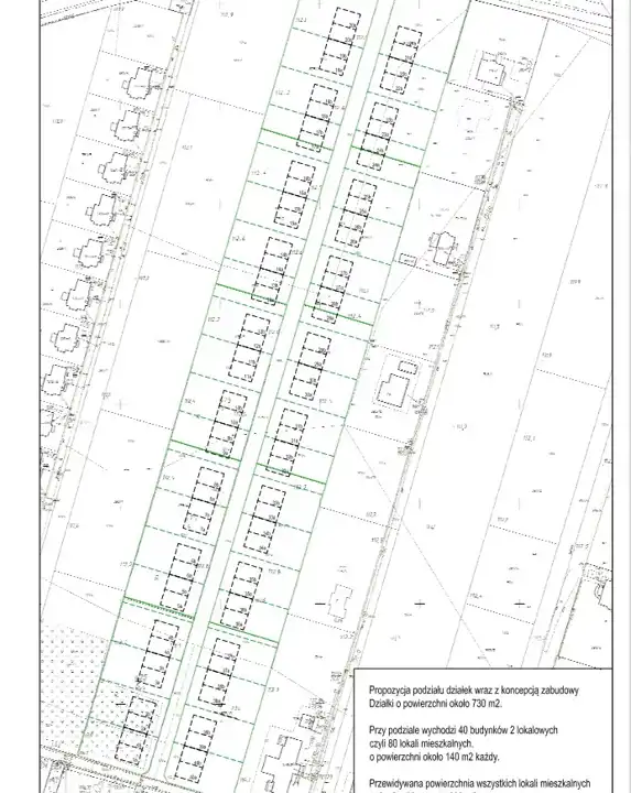
Możliwość wystąpienia o warunki zabudowy dla każdej z działki pod zabudowę bliźniaczą i wydzielenie w każdym budynku 2 lokali mieszkalnych.
W okolicy nowa zabudowa jednorodzinna wolnostojąca , bliźniacza i szeregowa.
W miejscowości wszystkie udogodnienia miejskie.
Opracowana koncepcja zabudowy przewiduje możliwość wybudowania bliźniaków dwulokalowych ( 80 lokali mieszkalnych ) i uzyskania 11 200 PUM.
Kanalizacja w odległości 500 m, Gmina Miękinia planuje rozbudowę kanalizacji w Wilkszynie w 2025 roku.
POLECAM!!! POŚREDNIK ODPOWIEDZIALNY ZA OFERTĘ L. 6285 JOANNA BRECHUN TEL. 668384207
Treść niniejszego ogłoszenia nie stanowi oferty handlowej w rozumieniu Kodeksu Cywilnego.
Polecam do sprzedaży grunt inwestycyjny - 10 działek z drogą wewnętrzną .
Działki o powierzchni około 3000m2 każda , dojazd oświetloną drogą asfaltową.
Dostępne media :prąd, woda , gaz.
Możliwość wystąpienia o warunki zabudowy dla każdej z działki pod zabudowę bliźniaczą i wydzielenie w każdym budynku 2 lokali mieszkalnych.
W okolicy nowa zabudowa jednorodzinna wolnostojąca , bliźniacza i szeregowa.
W miejscowości wszystkie udogodnienia miejskie.
Opracowana koncepcja zabudowy przewiduje możliwość wybudowania bliźniaków dwulokalowych ( 80 lokali mieszkalnych ) i uzyskania 11 200 PUM.
Kanalizacja w odległości 500 m, Gmina Miękinia planuje rozbudowę kanalizacji w Wilkszynie w 2025 roku.
POLECAM!!! POŚREDNIK ODPOWIEDZIALNY ZA OFERTĘ L. 6285 JOANNA BRECHUN TEL. 668384207
Treść niniejszego ogłoszenia nie stanowi oferty handlowej w rozumieniu Kodeksu Cywilnego.
Nota prawna
Opis oferty zawarty na stronie internetowej sporządzany jest na podstawie oględzin nieruchomości oraz informacji uzyskanych od właściciela, może podlegać aktualizacji i nie stanowi oferty określonej w art. 66 i następnych K.C.
Kalkulator kredytowy
Formularz kontaktowy