Działka na sprzedaż









Szczegóły ogłoszenia
- Symbol oferty KOS-GS-4752
- Typ oferty działka na sprzedaż
- Cena 88 000 zł
- Charakterystyka mieszkania 4608 m2
- Media Woda: w drodze; Prąd: w ulicy
- Bezpieczeństwo ogrodzenie działki: brak
- Dojazd droga utwardzona
- Działka Niezagospodarowana, płaska, prostokąt
Lokalizacja
- Adres opolskie, namysłowski, Namysłów
Opis nieruchomości
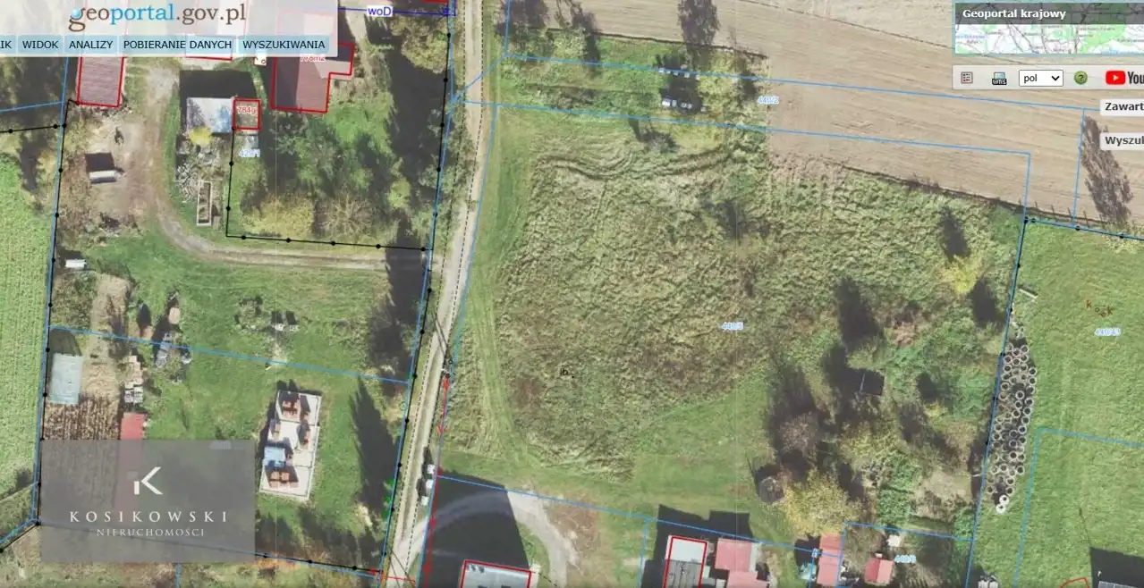
Na sprzedaż atrakcyjna działka o powierzchni ok. 46 arów, położona w urokliwej, spokojnej okolicy wiejskiej – Głuszyna. Nieruchomość znajduje się w sąsiedztwie jednorodzinnej zabudowy otoczona jest rozległymi polami uprawnymi – idealne miejsce dla osób ceniących ciszę, przestrzeń i kontakt z naturą.
Opis działki:
- Powierzchnia: 4608 m²
- Kształt i ukształtowanie: działka płaska z lekkim nachyleniem, niezagospodarowana, przypominająca naturalną łąkę
- Media: prąd i woda w drodze
- Dojazd: droga publiczna utwardzona
- Otoczenie: niska zabudowa, pola, spokój, brak uciążliwego sąsiedztwa.
Atuty działki:
- Cicha, zielona lokalizacja z dala od miejskiego zgiełku
- Duża powierzchnia – możliwość budowy przestronnego domu z ogrodem, sadem, szklarnią lub małym gospodarstwem
- Teren – łatwy do zagospodarowania, z naturalnym charakterem
- Brak gęstej zabudowy – pełna prywatność
- W sąsiedztwie tylko niska zabudowa i pola – idealne dla rodzin, seniorów, osób ceniących spokój.
Zgodnie z MPZP:
ZABUDOWA MIESZKANIOWA JEDNORODZINNA
- Możliwość wykorzystania części działki pod działalność rolną lub rekreacyjną
- Przeznaczenie podstawowe: zabudowa mieszkaniowa jednorodzinna
- Dopuszcza się: remont, przebudowę, odbudowę budynków gospodarczych i inwentarskich dla potrzeb rolnych, hodowlanych i ogrodniczych
- Intensywność zabudowy: 0,01 – 0,6
- Maksymalna powierzchnia zabudowy: do 40% działki
- Min. powierzchnia biologicznie czynna: 50%
- Maksymalna wysokość zabudowy mieszkaniowej: 9 m
- Minimalna powierzchnia nowo wydzielonej działki budowlanej: 600 m²
- Minimalna szerokość frontu działki: 20 m
- Przeznaczenie podstawowe: teren rolniczy.
- Dopuszczalne: zabudowa związana z produkcją rolniczą (np. obory, szklarnie, magazyny), zgodnie z odrębnymi przepisami.
- Wstrefie ochrony sanitarnej cmentarza – obowiązują ograniczenia w zakresie lokalizacji zabudowy i ujęć wody (np. studni) według przepisów szczególnych.
ROLA
- Jeśli działka leży na terenie zabytku archeologicznego – konieczne jest przeprowadzenie badań archeologicznych przed rozpoczęciem prac budowlanych.
- Intensywność zabudowy: minimalna: 0,01; maksymalna: 0,3
- Minimalna powierzchnia biologicznie czynna: 80% działki (czyli maks. 20% może być utwardzone lub zabudowane).
- Maksymalna powierzchnia zabudowy: 10% działki.
- Maksymalna wysokość zabudowy: 10 metrów.
- Typ dachu: dowolny (brak ograniczeń co do kształtu).
- Dojazd: przez sieć dróg publicznych.
- Zaopatrzenie w wodę: z sieci wodociągowej lub z własnych ujęć (studnie), zgodnie z przepisami.
- Odprowadzanie ścieków: do kanalizacji sanitarnej (jeśli jest dostępna).
- Odprowadzanie wód opadowych: zgodnie z przepisami (np. do rowów, zbiorników retencyjnych).
- Elektryczność: z sieci lub z energii słonecznej.
- Ciepło: ze źródeł niskoemisyjnych lub bezemisyjnych (np. pompy ciepła, biomasa).
- Gaz: z sieci lub indywidualnie (np. butle, zbiorniki).
- Odpady: zgodnie z lokalnymi przepisami o gospodarce odpadami.
*Informacje mogą podlegać aktualizacji.
Kupujący u Nas otrzymują:
- kilkaset ofert w jednym miejscu,
- pomoc przy załatwieniu kredytu na zakup nieruchomości,
- rzetelną informacje o każdej ofercie,
- sprawdzony stan prawny nieruchomości,
- możliwość obejrzenia każdej oferty w uzgodnionym wspólnie terminie,
- uzgodnione warunki i dokumentację do zawarcia umowy przedwstępnej,
- pełną dokumentację i koordynację aktu notarialnego,
- protokoły przekazania nieruchomości i liczników,
- zryczałtowana opłata dla Kupujących to jedynie 1 500 zł netto (1 845 zł brutto).
Oferujemy skuteczną, nieodpłatną pomoc w uzyskaniu kredytu na zakup nieruchomości. Zapraszamy do naszego biura w celu omówienia szczegółów oferty oraz ustalenia dogodnego dla Państwa terminu prezentacji.
Nota prawna: Informacje dotyczące opisu nieruchomości podane są przez właściciela, mają charakter wyłącznie informacyjny i mogą podlegać aktualizacji. Oferta dotycząca nieruchomości stanowi zaproszenie do rokowań zgodnie z art. 71 Kodeksu Cywilnego i nie stanowi oferty określonej w art. 66 i następnych KC.
Odnośnik do oferty na stronie biura: https://www.kosikowski.com.pl/ad/4814
OSOBA PROWADZĄCA
Magdalena Wrzesińska
tel. (+48) 667 06 50 60
tel. (+48) 77 410 50 60
www.kosikowski.com.pl
m.wrzesinska@kosikowski.com.pl
Pod nadzorem pośrednika - licencja 11884