Działka na sprzedaż
260 000 zł
1 600 m2








1 / 8
Szczegóły ogłoszenia
- Symbol oferty TKL-GS-7466
- Typ oferty działka na sprzedaż
- Cena 260 000 zł
- Charakterystyka mieszkania 1600 m2
- Media Woda: na działce; Kanalizacja: brak; Prąd: w ulicy; Gaz: w ulicy
- Bezpieczeństwo ogrodzenie działki: brak
- Dojazd asfalt
- Działka Niezagospodarowana, płaska, kwadrat
- Otoczenie zabudowa jednorodzinna
Lokalizacja
- Adres lubelskie, Niemce, Nasutów
Opis nieruchomości
!!! UWAGA!!! NIŻSZA CENA, DO DALSZEJ NEGOCJACJI DLA ZDECYDOWANYCH KLIENTÓW!
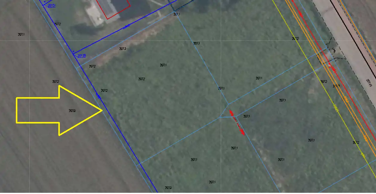
Na sprzedaż działka o powierzchni 1600 m2 położona w Nasutowie gm. Niemce, niecałe 10 km od granic Lublina (IKEA/Skende).
Działka płaska, w kształcie kwadratu, w II linii zabudowy.
Wymiary: ok. 40 m x 40 m.
Uzbrojenie: woda na działce; prąd, gaz, światłowód w działce w I linii.
Działki posiada księgę wieczystą oraz objęta jest miejscowym planem zagospodarowania przestrzennego, wg którego znajduja się w terenie zabudowy zagrodowej MR z dopuszczeniem m.in. zabudowy mieszkaniowej niskiej MN , obiektów usług komercyjnych U, zabudowy letniskowej ML.
Dojazd: asfaltowa droga gminna, a następnie droga prywatna (udział w drodze w cenie działki).
Polecamy!
Otwieramy przed Tobą całe miasto!
Sprzedajemy i wynajmujemy mieszkania, domy, lokale i działki. Działamy zarówno na rynku pierwotnym, jak i wtórnym. Zapewniamy kompleksową obsługę: doradztwo kredytowe i prawne, ubezpieczenia majątkowe, komunikacyjne i na życie, pomoc geodety, notariusza, architekta oraz projektanta wnętrz.
W razie pytań, po prostu skontaktuj się z nami.
Więcej informacji pod nr tel.: 887 399 631 – Magdalena Wrzosek
Opis oferty sporządzony został na podstawie informacji pochodzących od właściciela oferującego nieruchomość, dokumentów opisujących jej stan prawny i przeprowadzonych oględzin. Opis ten może podlegać aktualizacji w miarę zmiany stanu fizycznego i prawnego nieruchomości oraz nie stanowi oferty handlowej określonej w art. 66 i następnych K.C.
Na prezentacji prosimy Państwa o podpisanie potwierdzenia przekazania adresu. Ze względów bezpieczeństwa właścicieli nieruchomości konieczne będzie podanie swoich danych. Imię i nazwisko, PESEL, nr telefonu, a także złożenie czytelnego podpisu na karcie odbioru adresu.
Prosimy pamiętać, że do ceny transakcyjnej należy doliczyć 2% podatku od czynności cywilnoprawnych, koszt taksy notarialnej oraz koszt obsługi transakcji przez biuro nieruchomości.
Na sprzedaż działka o powierzchni 1600 m2 położona w Nasutowie gm. Niemce, niecałe 10 km od granic Lublina (IKEA/Skende).
Działka płaska, w kształcie kwadratu, w II linii zabudowy.
Wymiary: ok. 40 m x 40 m.
Uzbrojenie: woda na działce; prąd, gaz, światłowód w działce w I linii.
Działki posiada księgę wieczystą oraz objęta jest miejscowym planem zagospodarowania przestrzennego, wg którego znajduja się w terenie zabudowy zagrodowej MR z dopuszczeniem m.in. zabudowy mieszkaniowej niskiej MN , obiektów usług komercyjnych U, zabudowy letniskowej ML.
Dojazd: asfaltowa droga gminna, a następnie droga prywatna (udział w drodze w cenie działki).
Polecamy!
Otwieramy przed Tobą całe miasto!
Sprzedajemy i wynajmujemy mieszkania, domy, lokale i działki. Działamy zarówno na rynku pierwotnym, jak i wtórnym. Zapewniamy kompleksową obsługę: doradztwo kredytowe i prawne, ubezpieczenia majątkowe, komunikacyjne i na życie, pomoc geodety, notariusza, architekta oraz projektanta wnętrz.
W razie pytań, po prostu skontaktuj się z nami.
Więcej informacji pod nr tel.: 887 399 631 – Magdalena Wrzosek
Opis oferty sporządzony został na podstawie informacji pochodzących od właściciela oferującego nieruchomość, dokumentów opisujących jej stan prawny i przeprowadzonych oględzin. Opis ten może podlegać aktualizacji w miarę zmiany stanu fizycznego i prawnego nieruchomości oraz nie stanowi oferty handlowej określonej w art. 66 i następnych K.C.
Na prezentacji prosimy Państwa o podpisanie potwierdzenia przekazania adresu. Ze względów bezpieczeństwa właścicieli nieruchomości konieczne będzie podanie swoich danych. Imię i nazwisko, PESEL, nr telefonu, a także złożenie czytelnego podpisu na karcie odbioru adresu.
Prosimy pamiętać, że do ceny transakcyjnej należy doliczyć 2% podatku od czynności cywilnoprawnych, koszt taksy notarialnej oraz koszt obsługi transakcji przez biuro nieruchomości.
Nota prawna
Opis oferty zawarty na stronie internetowej sporządzany jest na podstawie oględzin nieruchomości oraz informacji uzyskanych od właściciela, może podlegać aktualizacji i nie stanowi oferty określonej w art. 66 i następnych K.C.
Kalkulator kredytowy
Formularz kontaktowy