Działka na sprzedaż
126 100 zł
1 261 m2







1 / 7
Szczegóły ogłoszenia
- Symbol oferty CKT-GS-1887
- Typ oferty działka na sprzedaż
- Cena 126 100 zł
- Charakterystyka mieszkania 1261 m2
- Bezpieczeństwo ogrodzenie działki: brak
- Działka prostokąt
Lokalizacja
- Adres wielkopolskie, Odolanów (gw), Raczyce
Opis nieruchomości
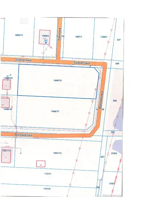
Na sprzedaż działka budowlana położona w miejscowości Raczyce przy ul. Spacerowej w gminie Odolanów.
Działka o pow. 1261 m2 w kształcie prostokąta, narożnikowa (ul. Spacerowa/Borowikowa) o szerokości około 23 m2.
W sąsiedztwie znajdują się nowe budynki jednorodzinne oraz bliska odległość terenów leśnych. Spokojna okolica z dogodnym dojazdem do Odolanowa.
Media: prąd, woda, gaz - w ulicy Spacerowej.
Nad skrajem działki przechodzi linia średniego napięcia, co nie wyklucza możliwości zabudowy - strefa ochronna wynosi ok. 15 m.
Zgodnie z Uchwałą Nr IV31/99 Rady Gminy i Miasta Odolanów z dn. 10.02.1999 r. działka nr 1446/15 ujęta jest w planie zagospodarowania przestrzennego Gminy i Miasta Odolanów pod tereny zabudowy mieszkaniowej jednorodzinnej (symbol 7.59MN/99).
Działka o pow. 1261 m2 w kształcie prostokąta, narożnikowa (ul. Spacerowa/Borowikowa) o szerokości około 23 m2.
W sąsiedztwie znajdują się nowe budynki jednorodzinne oraz bliska odległość terenów leśnych. Spokojna okolica z dogodnym dojazdem do Odolanowa.
Media: prąd, woda, gaz - w ulicy Spacerowej.
Nad skrajem działki przechodzi linia średniego napięcia, co nie wyklucza możliwości zabudowy - strefa ochronna wynosi ok. 15 m.
Zgodnie z Uchwałą Nr IV31/99 Rady Gminy i Miasta Odolanów z dn. 10.02.1999 r. działka nr 1446/15 ujęta jest w planie zagospodarowania przestrzennego Gminy i Miasta Odolanów pod tereny zabudowy mieszkaniowej jednorodzinnej (symbol 7.59MN/99).
Nota prawna
Opis oferty zawarty na stronie internetowej sporządzany jest na podstawie oględzin nieruchomości oraz informacji uzyskanych od właściciela, może podlegać aktualizacji i nie stanowi oferty określonej w art. 66 i następnych K.C.
Kalkulator kredytowy
Formularz kontaktowy