Działka na sprzedaż


Szczegóły ogłoszenia
- Symbol oferty AZ1-GS-7515
- Typ oferty działka na sprzedaż
- Cena 139 000 zł
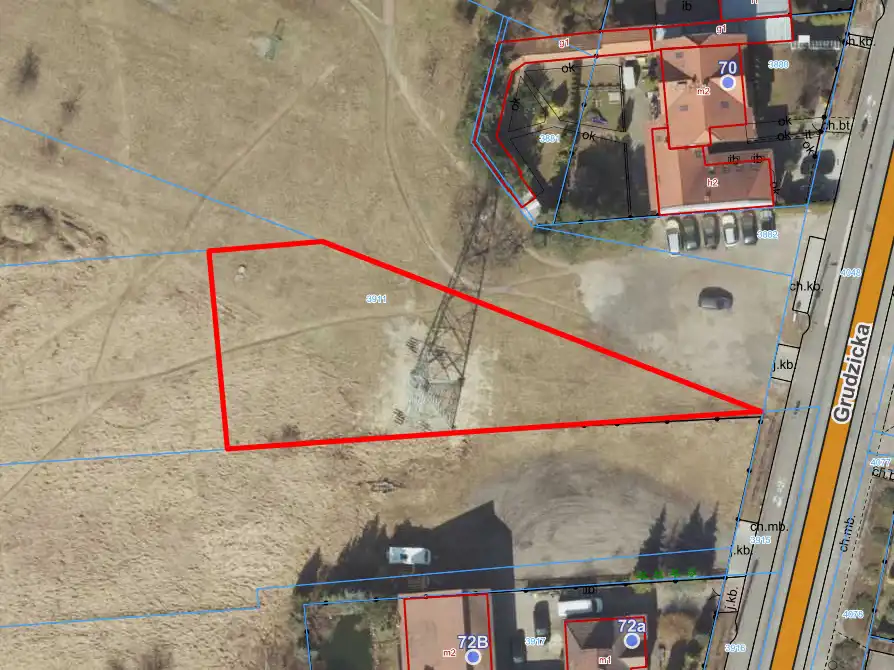
- Charakterystyka mieszkania 1120 m2
- Działka Niezagospodarowana, trapez
Lokalizacja
- Adres opolskie, Opole, Grudzice
Opis nieruchomości
Do sprzedania działka o powierzchni 11,20 ara, położona w Opolu, dzielnica Grudzice. Działka o kształcie trapezu, znajduje się na terenach mieszkaniowych, przy drodze asfaltowej. Zgodnie z aktualnym miejscowym planem zagospodarowania przestrzennego oznaczona jest symbolem TR (tereny rolnicze i tereny zieleni), 3WS (wody powierzchniowe i śródlądowe) oraz 3 KDW. Na działce znajduje się słup wysokiego napięcia. Działka znajduje się przy drodze o dużym natężeniu ruchu.
Media: prąd, woda, kanalizacja oraz gaz w drodze
ZAPRASZAMY
Dodatkowo pomagamy w uzyskaniu kredytu hipotecznego na zakup nieruchomości na korzystnych warunkach .
Szczegóły oferty:
AZ.GWARANCJA Nieruchomości Opole
ul. Szarych Szeregów 34D
Agent: Elżbieta Czuba, pod nadzorem licencji 3125
tel. 606 499 281
e.czuba@azg.pl