Działka na sprzedaż
295 000 zł
1 075 m2










1 / 10
Szczegóły ogłoszenia
- Symbol oferty MRK-GS-2117
- Typ oferty działka na sprzedaż
- Cena 295 000 zł
- Charakterystyka mieszkania 1075 m2
- Media Woda: w ulicy; Kanalizacja: w ulicy; Prąd: jest; Gaz: w ulicy
- Bezpieczeństwo ogrodzenie działki: mieszane
- Dojazd asfalt
- Działka Zagospodarowana, płaska, nieregularny
- Otoczenie działki zabudowane
Lokalizacja
- Adres świętokrzyskie, Ostrowiec Świętokrzyski
Opis nieruchomości
BEZ PROWIZJI DLA BIURA OD KUPUJĄCEGO.
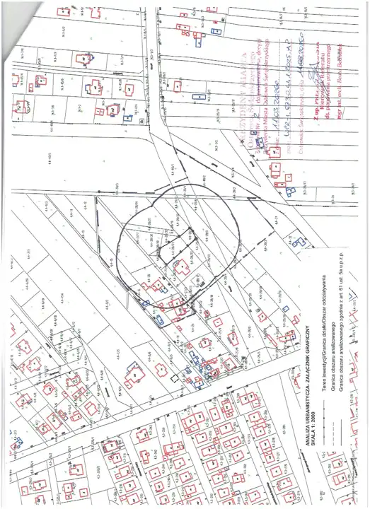
Oferujemy do sprzedaży działkę budowlano-rekreacyjną o powierzchni 1075 m2 w bardzo dobrej lokalizacji w Ostrowcu Św., przy ul. Rzeczki.
ZAPRASZAMY DO PREZENTACJI !
KUPUJĄCY NIE PONOSI OPŁAT DLA BIURA . POMAGAMY W UZYSKANIU KREDYTU.
Oferujemy do sprzedaży działkę budowlano-rekreacyjną o powierzchni 1075 m2 w bardzo dobrej lokalizacji w Ostrowcu Św., przy ul. Rzeczki.
- Na powierzchnię 1075m2 składają się cztery działki 28/31,29/31,28/29,28/26 obręb 4, arkusz 4. Działki mają kształt nieregularny, o wymiarach około 15 m x 58,5 m x 22 m x 55 m, z dostępem do drogi asfaltowej, ul. Rzeczki, około 15 m. Patrząc w głąb działki rozszerza się do 22m. Działki 28/31,29/31 mają wydaną aktualną DECYZJĘ O WARUNKACH ZABUDOWY dla inwestycji polegającej na budowie budynku mieszkalnego jednorodzinnego dnia 11.03.2026r.
ZAPRASZAMY DO PREZENTACJI !
KUPUJĄCY NIE PONOSI OPŁAT DLA BIURA . POMAGAMY W UZYSKANIU KREDYTU.
Nota prawna
Opis oferty zawarty na stronie internetowej sporządzany jest na podstawie oględzin nieruchomości oraz informacji uzyskanych od właściciela, może podlegać aktualizacji i nie stanowi oferty określonej w art. 66 i następnych K.C.
Kalkulator kredytowy
Formularz kontaktowy