Działka na sprzedaż
120 000 zł
14 999 m2








1 / 8
Szczegóły ogłoszenia
- Symbol oferty VIL-GS-37590
- Typ oferty działka na sprzedaż
- Cena 120 000 zł
- Charakterystyka mieszkania 14999 m2
- Media Woda: brak; Kanalizacja: brak; Prąd: w ulicy; Gaz: brak
- Bezpieczeństwo ogrodzenie działki: brak
- Dojazd asfalt
- Działka Niezagospodarowana, płaska, prostokąt
- Otoczenie działki niezabudowane
Lokalizacja
- Adres łódzkie, Parzęczew
Opis nieruchomości
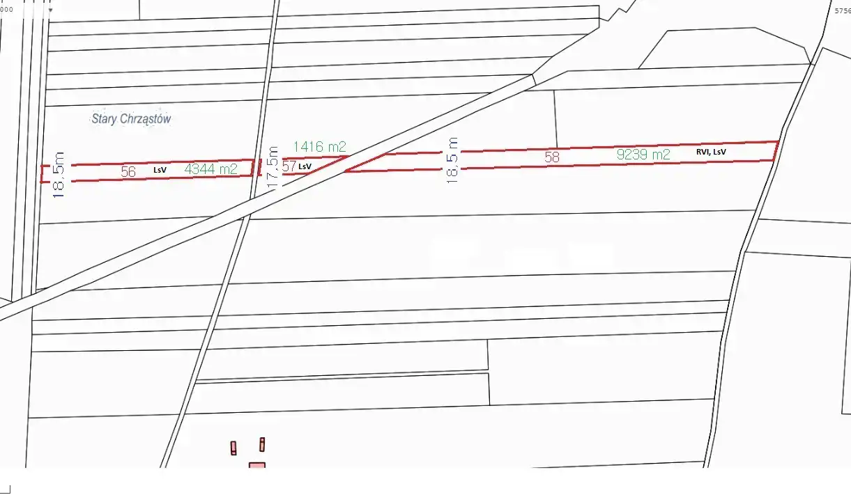
0% - bez prowizji od kupującego. Do sprzedania nieruchomość rolno-leśna składająca się z 3 działek geodezyjnych o łącznej powierzchni ok. 1,5 ha - Stary Chrząstów.
Sprzedaż 3 prostokątnych działek łącznie, każda o szerokości 18,5 m:
- działka o pow. 9 239 m2 - to działka rolno-leśna. Klasa gruntu RVI i LsV. Przeznaczenie w Miejscowym Planie Zagospodarowania Przestrzennego 11ZL (lasy)
- działka o pow. 1 416 m2 - to działka leśna. Klasa gruntu LsV. Przeznaczenie w Miejscowym Planie Zagospodarowania Przestrzennego 11RP (tereny rolne)
- działka o pow. 4 344 m2 - to działka leśna. Klasa gruntu LsV. Przeznaczenie w Miejscowym Planie Zagospodarowania Przestrzennego 11RP (tereny rolne)
Droga dojazdowa: każda z działek ma bezpośredni dostęp do dwóch dróg gminnych - asfaltowej i gruntowej.
Teren płaski, suchy, zadrzewiony.
Zapraszamy do oglądania.
Sprzedaż 3 prostokątnych działek łącznie, każda o szerokości 18,5 m:
- działka o pow. 9 239 m2 - to działka rolno-leśna. Klasa gruntu RVI i LsV. Przeznaczenie w Miejscowym Planie Zagospodarowania Przestrzennego 11ZL (lasy)
- działka o pow. 1 416 m2 - to działka leśna. Klasa gruntu LsV. Przeznaczenie w Miejscowym Planie Zagospodarowania Przestrzennego 11RP (tereny rolne)
- działka o pow. 4 344 m2 - to działka leśna. Klasa gruntu LsV. Przeznaczenie w Miejscowym Planie Zagospodarowania Przestrzennego 11RP (tereny rolne)
Droga dojazdowa: każda z działek ma bezpośredni dostęp do dwóch dróg gminnych - asfaltowej i gruntowej.
Teren płaski, suchy, zadrzewiony.
Zapraszamy do oglądania.
Nota prawna
Opis oferty zawarty na stronie internetowej sporządzany jest na podstawie oględzin nieruchomości oraz informacji uzyskanych od właściciela, może podlegać aktualizacji i nie stanowi oferty określonej w art. 66 i następnych K.C.
Kalkulator kredytowy
Formularz kontaktowy