Działka na sprzedaż








Szczegóły ogłoszenia
- Symbol oferty PRP-GS-73167
- Typ oferty działka na sprzedaż
- Cena 150 000 zł
- Charakterystyka mieszkania 16600 m2
- Media Woda: tak - miejska; Kanalizacja: brak; Prąd: w ulicy; Gaz: brak
- Bezpieczeństwo ogrodzenie działki: brak
- Dojazd asfalt
- Działka Niezagospodarowana, lekko nachylona, prostokąt
Lokalizacja
- Adres świętokrzyskie, Raków, Nowa Huta
Opis nieruchomości
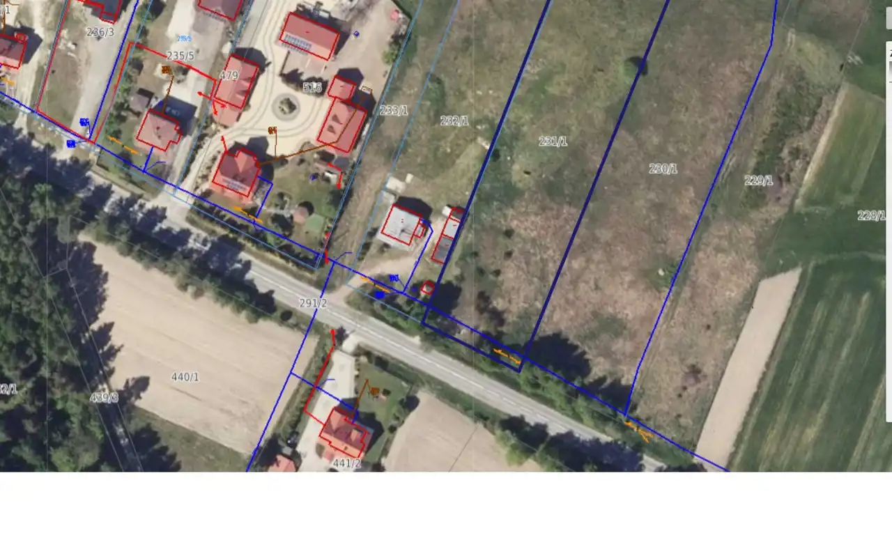
Nieruchomość niezabudowana, położona w pierwszej linii w stosunku do drogi wojewódzkiej nr 764, z bezpośrednim dostępem do niej (należy wystąpić o zgodę na zjazd).
Do drugiej działki dojazd możliwy z drugiej strony drogą polną - gminną, nieurządzoną.
Nieruchomość położona na terenie objętym Miejscowym Planem Zagospodarowania Przestrzennego. We frontowej części na głębokości ok. 90 m - oznaczona symbolem MN (teren przeznaczony pod zabudowę mieszkaniową jednorodzinną) w dalszej części - R (tereny rolnicze z możliwością zalesienia). Pas działki przy drodze jest przeznaczony na poszerzenie drogi wojewódzkiej.
W sąsiedztwie działki niezabudowane oraz zabudowa mieszkaniowa jednorodzinna.
Działka lekko nachylona, w kształcie prostokąta, niezagospodarowana, nieogrodzona. Dojazd drogą asfaltową.
Wymiary: 34 x 485 [m].
Media:
prąd - w ulicy
woda - na działce
kanalizacja, gaz - brak
Dane kontaktowe do agenta: Dorota Pękalska - Perz Tel: 608-827-080 E-mail: dorota.pekalska-perz@properco.pl
For service in English call Magdalena Prokopoudi at +48 888-889-594
------
For sale: Unbuilt land property with an area of 16,600 sqm (1.66ha), located in Nowa Huta, Raków municipality, kielecki county. The property is situated in the first line in relation to provincial road No. 764, with direct access to it (need to request permission for access). Access is also possible from the other side via an unpaved municipal road.
The property is located within the Local Spatial Development Plan. In the frontal part, at a depth of approx. 90 m, it is marked with the symbol MN (area designated for single-family residential development), while in the further part, it is marked with R (agricultural land with the possibility of afforestation). The strip of land adjacent to the road is designated for the widening of the provincial road.
In the vicinity, there are undeveloped plots and single-family residential buildings.
The plot is slightly sloping, rectangular in shape, undeveloped, and unfenced. Access is via an asphalt road.
Dimensions: 34 x 485 [m].
Utilities: electricity - available on the street water - on the plot sewerage, gas - unavailable
For service in English, call Magdalena Prokopoudi at +48 888-889-594