Działka na sprzedaż
756 000 zł
1 259 m2





1 / 5
Szczegóły ogłoszenia
- Symbol oferty EMP-GS-10327
- Typ oferty działka na sprzedaż
- Cena 756 000 zł
- Charakterystyka mieszkania 1259 m2
- Media Woda: w ulicy; Kanalizacja: w ulicy; Prąd: w ulicy; Gaz: w ulicy
- Bezpieczeństwo ogrodzenie działki: brak
- Dojazd droga gruntowa
- Działka Niezagospodarowana, płaska, nieregularny
- Otoczenie działki niezabudowane
Lokalizacja
- Adres mazowieckie, Raszyn, Łady
Opis nieruchomości
Do działki dojedziesz wklejając w Google Maps: 52.116778, 20.956778
https://maps.app.goo.gl/vf5Hcx85hYfUqNeG9
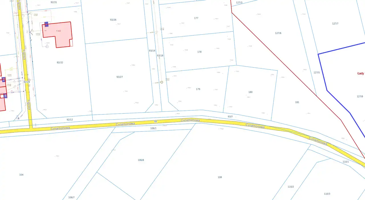
Łady, ul. Cynamonowa
Numer ewidencyjny 127/8
Media
Kanalizacja - w odległości około 143m
Prąd, woda i gaz - w odległości około 226m
Wymiary
10m x 7m x 14m x 18m x 17m x 20m x 26m x 78m
Działka jest objęta miejscowym planem zagospodarowania przestrzennego pod tereny zabudowy mieszkaniowej jednorodzinnej:
Ustalenia planu (symbol 1MN):
1. Przeznaczenie podstawowe: zabudowa mieszkaniowa jednorodzinna;
2. Przeznaczenie uzupełniające: urządzenia budowlane, garaże, budynki gospodarcze, zieleń urządzona, infrastruktura techniczna;
3. Przeznaczenie dopuszczalne: drogi wewnętrzne;
4. Zgodnie z przepisami odrębnymi dopuszczona jest lokalizacja funkcji usługowej w formie lokalu użytkowego o powierzchni całkowitej nie przekraczającej 30% powierzchni całkowitej budynku mieszkalnego;
5. Minimalny udział procentowy powierzchni biologicznie czynnej na 50%;
6. Maksymalny wskaźnik intensywności zabudowy w odniesieniu do działki budowlanej na 0,6;
7. Ustala się maksymalną wysokość zabudowy na 12 m, w tym:
- maksymalną wysokość budynków mieszkalnych na 12 m,
- maksymalną wysokość budynków gospodarczych i garaży na 8 m.
Zapraszam do kontaktu:
Maciej Adamczyk
883-106-453
https://maps.app.goo.gl/vf5Hcx85hYfUqNeG9
Łady, ul. Cynamonowa
Numer ewidencyjny 127/8
Media
Kanalizacja - w odległości około 143m
Prąd, woda i gaz - w odległości około 226m
Wymiary
10m x 7m x 14m x 18m x 17m x 20m x 26m x 78m
Działka jest objęta miejscowym planem zagospodarowania przestrzennego pod tereny zabudowy mieszkaniowej jednorodzinnej:
Ustalenia planu (symbol 1MN):
1. Przeznaczenie podstawowe: zabudowa mieszkaniowa jednorodzinna;
2. Przeznaczenie uzupełniające: urządzenia budowlane, garaże, budynki gospodarcze, zieleń urządzona, infrastruktura techniczna;
3. Przeznaczenie dopuszczalne: drogi wewnętrzne;
4. Zgodnie z przepisami odrębnymi dopuszczona jest lokalizacja funkcji usługowej w formie lokalu użytkowego o powierzchni całkowitej nie przekraczającej 30% powierzchni całkowitej budynku mieszkalnego;
5. Minimalny udział procentowy powierzchni biologicznie czynnej na 50%;
6. Maksymalny wskaźnik intensywności zabudowy w odniesieniu do działki budowlanej na 0,6;
7. Ustala się maksymalną wysokość zabudowy na 12 m, w tym:
- maksymalną wysokość budynków mieszkalnych na 12 m,
- maksymalną wysokość budynków gospodarczych i garaży na 8 m.
Zapraszam do kontaktu:
Maciej Adamczyk
883-106-453
Nota prawna
Opis oferty zawarty na stronie internetowej sporządzany jest na podstawie oględzin nieruchomości oraz informacji uzyskanych od właściciela, może podlegać aktualizacji i nie stanowi oferty określonej w art. 66 i następnych K.C.
Kalkulator kredytowy
Formularz kontaktowy