Działka na sprzedaż
148 000 zł
1 232 m2



1 / 3
Szczegóły ogłoszenia
- Symbol oferty JKN-GS-1197
- Typ oferty działka na sprzedaż
- Cena 148 000 zł
- Charakterystyka mieszkania 1232 m2
- Bezpieczeństwo ogrodzenie działki: brak
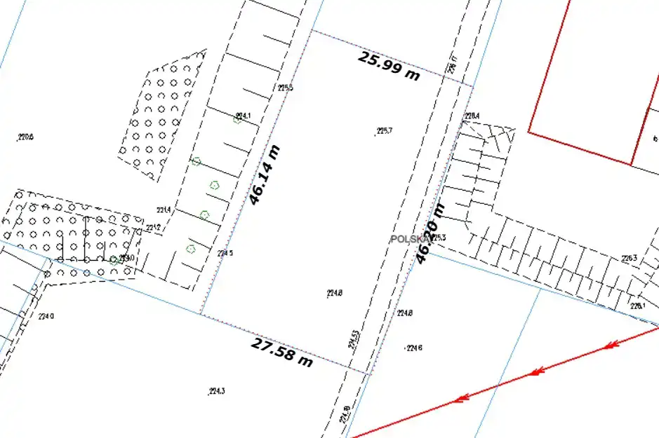
- Działka Niezagospodarowana, lekko nachylona, prostokąt
- Otoczenie tereny rekreacyjne
Lokalizacja
- Adres podkarpackie, Rzeszów, Zwięczyca
Opis nieruchomości
Oferujemy do sprzedaży działkę o powierzchni 0,1232( ha) tj. 12,32 ara w Rzeszowie obręb Zwięczyca. Świetna lokalizacja, tylko 500 m od ul. Podkarpackiej.
Idealne miejsce dla ceniących ciszę, spokój i otoczenie zieleni.
W pobliżu działki zabudowane oraz niezabudowane.
Działka rolna, rekreacyjna idealna jako lokata kapitału. To idealne miejsce do wypoczynku blisko natury ale jednocześnie blisko miasta.
Opis działki:
- dokładna powierzchnia działki to 11.32 ara
- klasa gruntu Ps II
- ukształtowanie: w kształcie prostokąta, lekko pochyła, wymiary ok. 26 m (szeroka) x 46 m (długa)
- prąd i gaz, woda, kanalizacja w najbliższej okolicy zabudowań
Cena działki: 148000zł (ok. 12000zł za ar).
Cena podlega negocjacji.
Działka w granicach Rzeszowa. Kierunek Rzeszów-Boguchwała.
Zapraszamy do kontaktu z naszym biurem i obejrzenia nieruchomości.
Idealne miejsce dla ceniących ciszę, spokój i otoczenie zieleni.
W pobliżu działki zabudowane oraz niezabudowane.
Działka rolna, rekreacyjna idealna jako lokata kapitału. To idealne miejsce do wypoczynku blisko natury ale jednocześnie blisko miasta.
Opis działki:
- dokładna powierzchnia działki to 11.32 ara
- klasa gruntu Ps II
- ukształtowanie: w kształcie prostokąta, lekko pochyła, wymiary ok. 26 m (szeroka) x 46 m (długa)
- prąd i gaz, woda, kanalizacja w najbliższej okolicy zabudowań
Cena działki: 148000zł (ok. 12000zł za ar).
Cena podlega negocjacji.
Działka w granicach Rzeszowa. Kierunek Rzeszów-Boguchwała.
Zapraszamy do kontaktu z naszym biurem i obejrzenia nieruchomości.
Nota prawna
Opis oferty zawarty na stronie internetowej sporządzany jest na podstawie oględzin nieruchomości oraz informacji uzyskanych od właściciela, może podlegać aktualizacji i nie stanowi oferty określonej w art. 66 i następnych K.C.
Kalkulator kredytowy
Formularz kontaktowy