Działka na sprzedaż
125 720 zł
3 143 m2








1 / 8
Szczegóły ogłoszenia
- Symbol oferty MAG-GS-20355
- Typ oferty działka na sprzedaż
- Cena 125 720 zł
- Charakterystyka mieszkania 3143 m2
- Media Woda: w drodze
- Bezpieczeństwo ogrodzenie działki: brak
- Działka Niezagospodarowana, płaska, prostokąt
Lokalizacja
- Adres kujawsko-pomorskie, lipnowski, Skępe
Opis nieruchomości
Zapraszam do zapoznania się z ofertą sprzedaży urokliwej działki rolnej położonej we wsi Wioska gmina Skępe
Powierzchnia działki : 3143 m2
Klasa działki: V i VI
- dojazd od ulicy Rynek;
- działka znajduje się w bliskiej odległości od jeziora i nowej zabudowy jednorodzinnej;
- 1km do miasta Skępe
- 10 km do miasta Lipno
- w pobliżu potrzebna infrastruktura handlowo-usługowa, szkoła podstawa i średnia (Technikum i Liceum Ogólnokształcące), dworzec PKS i PKP
Dostępne media :
- prąd - w drodze,
- woda - w drodze przy działce.
Według studium działka znajduje się na terenach kontynuacji i uzupełnień istniejącej zabudowy mieszkaniowej jednorodzinnej i wielorodzinnej oraz zagrodowej z dopuszczeniem usług.
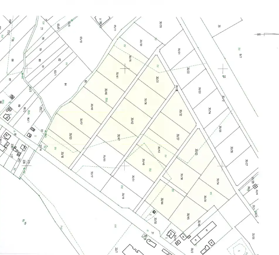
Istnieje również możliwość zakupu działek sąsiadujących
Na zdjęciu kolorem żółtym zaznaczone są dostępne działki
Polecam i zapraszam na prezentację,
Anna Siemińska, tel. 530 890 355
Usługa pośrednictwa jest usługą płatną w momencie wynajmu nieruchomości. Prezentacje są bezpłatne.
Oferujemy kompleksową pomoc w zakresie kredytowania nieruchomości. Opis oferty sporządzony jest na podstawie oględzin nieruchomości oraz informacji uzyskanych od właściciela. Może podlegać aktualizacji i nie stanowi oferty handlowej w rozumieniu Kodeksu Cywilnego. Usługa pośrednictwa jest usługą płatną w momencie zakupu nieruchomości. Prezentacje są bezpłatne.
Powierzchnia działki : 3143 m2
Klasa działki: V i VI
- dojazd od ulicy Rynek;
- działka znajduje się w bliskiej odległości od jeziora i nowej zabudowy jednorodzinnej;
- 1km do miasta Skępe
- 10 km do miasta Lipno
- w pobliżu potrzebna infrastruktura handlowo-usługowa, szkoła podstawa i średnia (Technikum i Liceum Ogólnokształcące), dworzec PKS i PKP
Dostępne media :
- prąd - w drodze,
- woda - w drodze przy działce.
Według studium działka znajduje się na terenach kontynuacji i uzupełnień istniejącej zabudowy mieszkaniowej jednorodzinnej i wielorodzinnej oraz zagrodowej z dopuszczeniem usług.
Istnieje również możliwość zakupu działek sąsiadujących
Na zdjęciu kolorem żółtym zaznaczone są dostępne działki
Polecam i zapraszam na prezentację,
Anna Siemińska, tel. 530 890 355
Usługa pośrednictwa jest usługą płatną w momencie wynajmu nieruchomości. Prezentacje są bezpłatne.
Oferujemy kompleksową pomoc w zakresie kredytowania nieruchomości. Opis oferty sporządzony jest na podstawie oględzin nieruchomości oraz informacji uzyskanych od właściciela. Może podlegać aktualizacji i nie stanowi oferty handlowej w rozumieniu Kodeksu Cywilnego. Usługa pośrednictwa jest usługą płatną w momencie zakupu nieruchomości. Prezentacje są bezpłatne.
Nota prawna
Opis oferty zawarty na stronie internetowej sporządzany jest na podstawie oględzin nieruchomości oraz informacji uzyskanych od właściciela, może podlegać aktualizacji i nie stanowi oferty określonej w art. 66 i następnych K.C.
Kalkulator kredytowy
Formularz kontaktowy