Działka na sprzedaż
1 543 121 zł
66 030 m2










1 / 10
Szczegóły ogłoszenia
- Symbol oferty MAG-GS-20362
- Typ oferty działka na sprzedaż
- Cena 1 543 121 zł
- Charakterystyka mieszkania 66030 m2
- Media Woda: w drodze; Gaz: brak
- Bezpieczeństwo ogrodzenie działki: brak
- Działka Niezagospodarowana, płaska, prostokąt
Lokalizacja
- Adres kujawsko-pomorskie, lipnowski, Skępe
Opis nieruchomości
Zapraszam do zapoznania się z ofertą sprzedaży urokliwych działek położonych we wsi Wioska, gmina Skępe
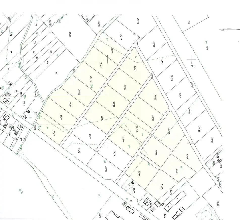
W ofercie mamy 21 działek
Łączna powierzchnia działek 6,6030 ha
Powierzchnia pojedynczej działki to około 3000 m2
Klasa działek od IV do VI
- dojazd od ulicy Rynek;
- działka znajduje się w bliskiej odległości od jeziora. Z działek rozpościera się malowniczy widok na jezioro
- w najbliższej okolicy znajduje się luźna zabudowa domów wolnostojących jednorodzinnych;
- 1km do miasta Skępe
- 10 km do miasta Lipno
- w pobliżu potrzebna infrastruktura handlowo-usługowa, szkoła podstawa i średnia (Technikum i Liceum Ogólnokształcące), dworzec PKS i PKP
- We Wiosce znajduje się atrakcja turystyczna dworek Gustawa Zieliński, który został wzniesiony na początku XIX wieku.
Dostępne media :
- Prąd, woda, światłowód w drodze,
Według studium działki znajduje się na terenach kontynuacji i uzupełnień istniejącej zabudowy mieszkaniowej jednorodzinnej i wielorodzinnej oraz zagrodowej z dopuszczeniem usług.
Na zdjęciu kolorem żółtym zaznaczone są dostępne działki
Na ten moment istnieje możliwość podziału działek nr: 30/45, 30/44, 30/18, 30/53
Polecam i zapraszam na prezentację,
Anna Siemińska, tel. 530 890 355
Usługa pośrednictwa jest usługą płatną w momencie wynajmu nieruchomości. Prezentacje są bezpłatne.
Oferujemy kompleksową pomoc w zakresie kredytowania nieruchomości. Opis oferty sporządzony jest na podstawie oględzin nieruchomości oraz informacji uzyskanych od właściciela. Może podlegać aktualizacji i nie stanowi oferty handlowej w rozumieniu Kodeksu Cywilnego. Usługa pośrednictwa jest usługą płatną w momencie zakupu nieruchomości. Prezentacje są bezpłatne.
W ofercie mamy 21 działek
Łączna powierzchnia działek 6,6030 ha
Powierzchnia pojedynczej działki to około 3000 m2
Klasa działek od IV do VI
- dojazd od ulicy Rynek;
- działka znajduje się w bliskiej odległości od jeziora. Z działek rozpościera się malowniczy widok na jezioro
- w najbliższej okolicy znajduje się luźna zabudowa domów wolnostojących jednorodzinnych;
- 1km do miasta Skępe
- 10 km do miasta Lipno
- w pobliżu potrzebna infrastruktura handlowo-usługowa, szkoła podstawa i średnia (Technikum i Liceum Ogólnokształcące), dworzec PKS i PKP
- We Wiosce znajduje się atrakcja turystyczna dworek Gustawa Zieliński, który został wzniesiony na początku XIX wieku.
Dostępne media :
- Prąd, woda, światłowód w drodze,
Według studium działki znajduje się na terenach kontynuacji i uzupełnień istniejącej zabudowy mieszkaniowej jednorodzinnej i wielorodzinnej oraz zagrodowej z dopuszczeniem usług.
Na zdjęciu kolorem żółtym zaznaczone są dostępne działki
Na ten moment istnieje możliwość podziału działek nr: 30/45, 30/44, 30/18, 30/53
Polecam i zapraszam na prezentację,
Anna Siemińska, tel. 530 890 355
Usługa pośrednictwa jest usługą płatną w momencie wynajmu nieruchomości. Prezentacje są bezpłatne.
Oferujemy kompleksową pomoc w zakresie kredytowania nieruchomości. Opis oferty sporządzony jest na podstawie oględzin nieruchomości oraz informacji uzyskanych od właściciela. Może podlegać aktualizacji i nie stanowi oferty handlowej w rozumieniu Kodeksu Cywilnego. Usługa pośrednictwa jest usługą płatną w momencie zakupu nieruchomości. Prezentacje są bezpłatne.
Nota prawna
Opis oferty zawarty na stronie internetowej sporządzany jest na podstawie oględzin nieruchomości oraz informacji uzyskanych od właściciela, może podlegać aktualizacji i nie stanowi oferty określonej w art. 66 i następnych K.C.
Kalkulator kredytowy
Formularz kontaktowy