Działka na sprzedaż






Szczegóły ogłoszenia
- Symbol oferty MAG-GS-22645
- Typ oferty działka na sprzedaż
- Cena 60 000 zł
- Charakterystyka mieszkania 1000 m2
Lokalizacja
- Adres kujawsko-pomorskie, Skępe, Wioska
Opis nieruchomości
NAJWIĘKSZY ATUT to prywatny widok na jezioro
To właśnie lokalizacja czyni tę ofertę wyjątkową. Działka znajduje się w bardzo bliskiej odległości od brzegu, a z ich terenu rozpościera się malownicza panorama na wodę.
To idealne miejsce dla osób szukających ucieczki od miejskiego zgiełku, pragnących żyć w harmonii z naturą, nie rezygnując jednocześnie z wygody. Luźna zabudowa jednorodzinna w sąsiedztwie gwarantuje prywatność i kameralną atmosferę.
Powierzchnia 1000 m²
Cena: 60 000 zł
LOKALIZACJA:
Wioska to miejsce z duszą (znajduje się tu m.in. zabytkowy dworek Gustawa Zielińskiego), które łączy walory letniska z doskonałą infrastrukturą miejską:
- Dojazd: Wygodny dojazd od ulicy Rynek.
- Skępe: Zaledwie 1 km do centrum miasta.
- Lipno: Tylko 10 km.
- Infrastruktura: W zasięgu ręki pełne zaplecze: sklepy, punkty usługowe, szkoła podstawowa, szkoły średnie (Technikum i Liceum), a także dworzec PKS i PKP.
Dostępne media :
- Prąd, woda, kanalizacja, światłowód w drodze,
Dodatkowe informacje:
- Klasa działki od IV do VI
- Według studium działka znajduje się na terenach kontynuacji i uzupełnień istniejącej zabudowy mieszkaniowej jednorodzinnej i wielorodzinnej oraz zagrodowej z dopuszczeniem usług.
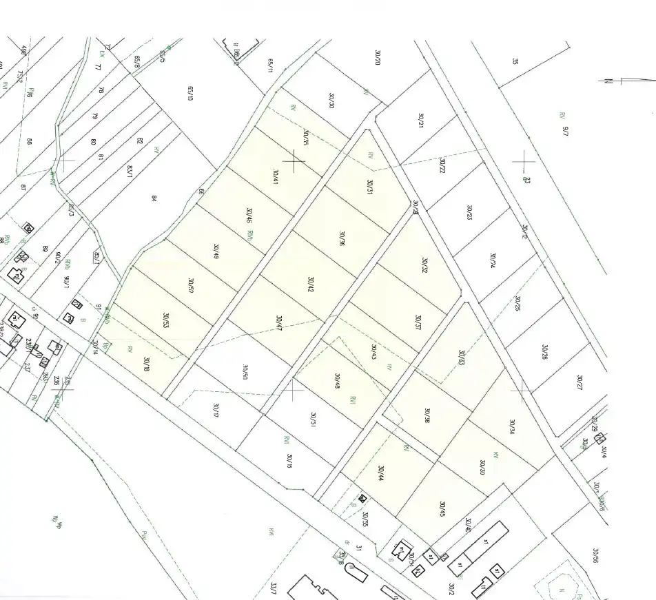
- Na zdjęciu kolorem żółtym zaznaczone są dostępne działki
Działka z takimi walorami widokowymi i pełnym dostępem do mediów znikają z rynku błyskawicznie. To doskonała propozycja zarówno dla rodzin szukających swojego miejsca na ziemi, jak i dla inwestorów.
Polecam i zapraszam na prezentację,
Anna Siemińska, tel. 530 890 355
Usługa pośrednictwa jest usługą płatną w momencie wynajmu nieruchomości. Prezentacje są bezpłatne.
Oferujemy kompleksową pomoc w zakresie kredytowania nieruchomości. Opis oferty sporządzony jest na podstawie oględzin nieruchomości oraz informacji uzyskanych od właściciela. Może podlegać aktualizacji i nie stanowi oferty handlowej w rozumieniu Kodeksu Cywilnego. Usługa pośrednictwa jest usługą płatną w momencie zakupu nieruchomości. Prezentacje są bezpłatne.