Działka na sprzedaż









Szczegóły ogłoszenia
- Symbol oferty MAG-GS-22378
- Typ oferty działka na sprzedaż
- Cena 60 500 zł
- Charakterystyka mieszkania 1100 m2
Lokalizacja
- Adres kujawsko-pomorskie, Skępe, Wioska
Opis nieruchomości
Działka znajdują się w bliskiej odległości od jeziora, a z terenu rozpościera się malowniczy widok na wodę
Powierzchnia działki: 1100 m2
Klasa działki od IV do VI
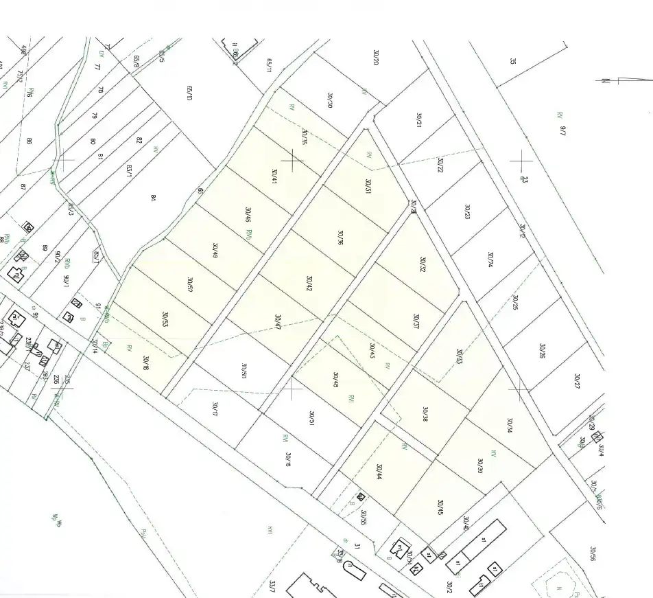
W ofercie mamy 21 działek
Powierzchnie pozostałych działek to około 3000 m2
Klasa działek od IV do VI
Lokalizacja:
- dojazd od ulicy Rynek;
- działka znajduje się w bliskiej odległości od jeziora. Z działek rozpościera się malowniczy widok na jezioro
- w najbliższej okolicy znajduje się luźna zabudowa domów wolnostojących jednorodzinnych;
- 1km do miasta Skępe
- 10 km do miasta Lipno
- w pobliżu potrzebna infrastruktura handlowo-usługowa, szkoła podstawa i średnia (Technikum i Liceum Ogólnokształcące), dworzec PKS i PKP
- We Wiosce znajduje się atrakcja turystyczna dworek Gustawa Zieliński, który został wzniesiony na początku XIX wieku.
Lokalizacja:
- dojazd od ulicy Rynek,
- działka znajdują się w blisko jeziora,
- w okolicy luźna zabudowa domów jednorodzinnych,
- 1 km do miasta Skępe,
- 10 km do Lipna,
- w pobliżu pełna infrastruktura: sklepy, punkty usługowe, szkoła podstawowa, szkoły średnie (Technikum i Liceum Ogólnokształcące), dworzec PKS i PKP,
- we wsi Wioska znajduje się dworek Gustawa Zielińskiego – zabytkowa atrakcja turystyczna z początku XIX wieku.
Dostępne media :
- Prąd, woda, światłowód w drodze,
Według studium działki znajduje się na terenach kontynuacji i uzupełnień istniejącej zabudowy mieszkaniowej jednorodzinnej i wielorodzinnej oraz zagrodowej z dopuszczeniem usług.
Na zdjęciu kolorem żółtym zaznaczone są dostępne działki
Polecam i zapraszam na prezentację,
Anna Siemińska, tel. 530 890 355
Usługa pośrednictwa jest usługą płatną w momencie wynajmu nieruchomości. Prezentacje są bezpłatne.
Oferujemy kompleksową pomoc w zakresie kredytowania nieruchomości. Opis oferty sporządzony jest na podstawie oględzin nieruchomości oraz informacji uzyskanych od właściciela. Może podlegać aktualizacji i nie stanowi oferty handlowej w rozumieniu Kodeksu Cywilnego. Usługa pośrednictwa jest usługą płatną w momencie zakupu nieruchomości. Prezentacje są bezpłatne.