Działka na sprzedaż
2 600 000 zł
2 333 m2



1 / 3
Szczegóły ogłoszenia
- Symbol oferty HFC-GS-2207
- Typ oferty działka na sprzedaż
- Cena 2 600 000 zł
- Charakterystyka mieszkania 2333 m2
- Bezpieczeństwo ogrodzenie działki: częściowo ogrodzona
- Działka Niezagospodarowana, płaska, prostokąt
Lokalizacja
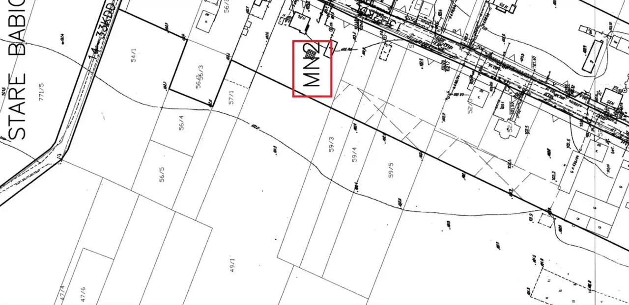
- Adres mazowieckie, warszawski zachodni, Stare Babice
Opis nieruchomości
Nieruchomość gruntowa (około 65x36m) położona w dynamicznie rozbudowującej się podwarszawskiej gminie Stare Babice, pożądanej przez przyszłych mieszkańców ze względu na swoje niezaprzeczalne walory użytkowe i estetyczne jako wymarzone miejsce do życia w cichej enklawie na obrzeżach Warszawy.
Możliwość zakupu większej działki 5 750m2 (160 x 36m) w ramach tej samej nieruchomości w cenie 5 000 000 zł
Najbliższe sąsiedztwo szkół, przedszkoli, żłobków, restauracji, sklepów (w tym min. nowo wybudowanego Parku Handlowego przy ul. Warszawskiej), domu kultury i hali sportowej, MOSiRu, kliniki medycznej, terenów rekreacyjno-sportowych (Fitness Club, LKS Naprzód Zielonki), salonów kosmetycznych, komunikacji miejskiej (719, 729, L-6, L-7) oraz autostrady i południowej obwodnicy Warszawy gwarantują wszystkie atuty mieszkania w dużym mieście, nie zakłócając przy tym spokoju i możliwości obcowania z okoliczną naturą jak choćby Kampinoskim Parkiem Narodowym, Rezerwatem Przyrody Łosiowe Błota.
Odległość do granicy Warszawy/Bemowa – 5km, do Centrum Warszawy – 11km, do Południowej Obwodnicy Warszawy/S8/S2/A2 – 4,5km
Czas dojazdu autem:
30 min - Centrum Warszawy
20 min - Lotnisko Chopina
10 min - pętla autobusowo-tramwajowa przy ul. Lazurowej/Górczewskiej, w niedalekiej przyszłości - stacja II linii Metra Lazurowa.
Nieruchomość jest w pełni uzbrojona we wszystkie miejskie media;
- wodę, kanalizację, gaz, prąd, linię telefoniczną w granicy działki przy asfaltowej drodze.
Prezentowana nieruchomość gruntowa objęta jest miejscowym planem zagospodarowania przestrzennego gminy Stare Babice.
Przeznaczenie podstawowe:
- zabudowa mieszkaniowa jednorodzinna realizowana w formie
budynków wolnostojących lub bliźniaczych
- maksymalna wysokość zabudowy – 11,5 m (2 kondygnacje nadziemne
oraz kondygnacja poddasza użytkowego)
przy zastosowaniu dachów o nachyleniu połaci 20o - 60o,
dla dachów płaskich - maksymalna wysokość zabudowy 7,5 m (2 kondygnacje nadziemne)
- maksymalna wysokość garaży – 6 m.
Proszę o kontakt tylko poważnie zainteresowane osoby!
Sprzedaż realizowana BEZPOŚREDNIO przez właściciela, współpracuję z agencjami nieruchomości.
Arkadiusz
tel. 532278733
Możliwość zakupu większej działki 5 750m2 (160 x 36m) w ramach tej samej nieruchomości w cenie 5 000 000 zł
Najbliższe sąsiedztwo szkół, przedszkoli, żłobków, restauracji, sklepów (w tym min. nowo wybudowanego Parku Handlowego przy ul. Warszawskiej), domu kultury i hali sportowej, MOSiRu, kliniki medycznej, terenów rekreacyjno-sportowych (Fitness Club, LKS Naprzód Zielonki), salonów kosmetycznych, komunikacji miejskiej (719, 729, L-6, L-7) oraz autostrady i południowej obwodnicy Warszawy gwarantują wszystkie atuty mieszkania w dużym mieście, nie zakłócając przy tym spokoju i możliwości obcowania z okoliczną naturą jak choćby Kampinoskim Parkiem Narodowym, Rezerwatem Przyrody Łosiowe Błota.
Odległość do granicy Warszawy/Bemowa – 5km, do Centrum Warszawy – 11km, do Południowej Obwodnicy Warszawy/S8/S2/A2 – 4,5km
Czas dojazdu autem:
30 min - Centrum Warszawy
20 min - Lotnisko Chopina
10 min - pętla autobusowo-tramwajowa przy ul. Lazurowej/Górczewskiej, w niedalekiej przyszłości - stacja II linii Metra Lazurowa.
Nieruchomość jest w pełni uzbrojona we wszystkie miejskie media;
- wodę, kanalizację, gaz, prąd, linię telefoniczną w granicy działki przy asfaltowej drodze.
Prezentowana nieruchomość gruntowa objęta jest miejscowym planem zagospodarowania przestrzennego gminy Stare Babice.
Przeznaczenie podstawowe:
- zabudowa mieszkaniowa jednorodzinna realizowana w formie
budynków wolnostojących lub bliźniaczych
- maksymalna wysokość zabudowy – 11,5 m (2 kondygnacje nadziemne
oraz kondygnacja poddasza użytkowego)
przy zastosowaniu dachów o nachyleniu połaci 20o - 60o,
dla dachów płaskich - maksymalna wysokość zabudowy 7,5 m (2 kondygnacje nadziemne)
- maksymalna wysokość garaży – 6 m.
Proszę o kontakt tylko poważnie zainteresowane osoby!
Sprzedaż realizowana BEZPOŚREDNIO przez właściciela, współpracuję z agencjami nieruchomości.
Arkadiusz
tel. 532278733
Nota prawna
Opis oferty zawarty na stronie internetowej sporządzany jest na podstawie oględzin nieruchomości oraz informacji uzyskanych od właściciela, może podlegać aktualizacji i nie stanowi oferty określonej w art. 66 i następnych K.C.
Kalkulator kredytowy
Formularz kontaktowy