Działka na sprzedaż











Szczegóły ogłoszenia
- Symbol oferty CNG-GS-3037
- Typ oferty działka na sprzedaż
- Cena 102 700 zł
- Charakterystyka mieszkania 1037 m2
- Media Woda: studnia; Kanalizacja: brak; Prąd: brak; Gaz: brak
- Bezpieczeństwo ogrodzenie działki: brak
- Dojazd GRUNTOWA
- Działka Niezagospodarowana, lekko nachylona, prostokąt
- Otoczenie zabudowa jednorodzinna
Lokalizacja
- Adres wielkopolskie, Szydłowo (gw), Jaraczewo
Opis nieruchomości
Na Sprzedaż! Kompleks 4 działek budowlanych! Pierwsza działka w promocyjnej cenie 99zł/m2!
Jaraczewo, gmina Szydłowo!
Przedmiotem oferty są 4 atrakcyjnie położone działki budowlane w miejscowości Jaraczewo, w gminie Szydłowo. To doskonała propozycja dla osób poszukujących spokojnego miejsca pod budowę domu jednorodzinnego, z jednoczesnym szybkim dojazdem do miasta.
Każda z oferowanych działek posiada wydaną decyzję o warunkach zabudowy umożliwiające realizację budynku mieszkalnego jednorodzinnego. Nieruchomości położone są w spokojnej, zielonej okolicy, w sąsiedztwie zabudowy jednorodzinnej.
Cena: 102 700 zł za/ promocyjna cena za pierwszą działkę! Pozostałe działki w cenie 130zł/ m2
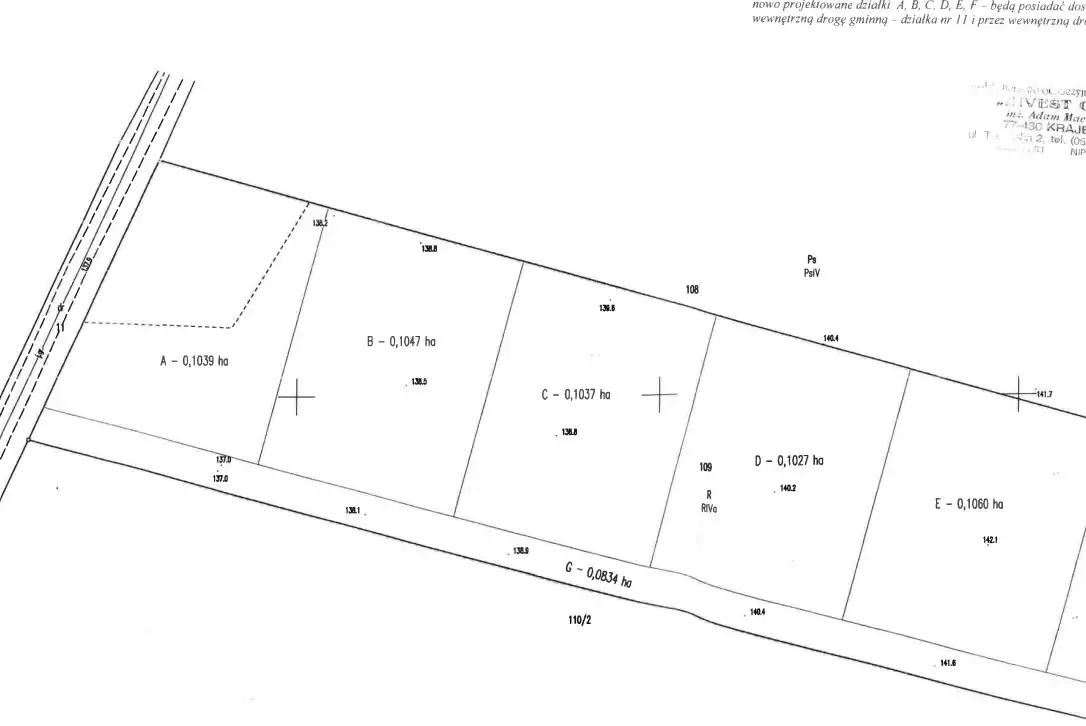
Powierzchnie działek:
-
działka nr 109/1 (A) – 0,1039 ha
-
działka nr 109/2 (B) – 0,1047 ha
-
działka nr 109/3 (C) – 0,1037 ha
-
działka nr 109/4 (D) – 0,1027 ha
Najważniejsze założenia decyzji o warunkach zabudowy:
-
powierzchnia zabudowy pojedynczego budynku: od 90 m² do 200 m²,
-
maksymalna intensywność zabudowy: 0,34,
-
szerokość elewacji frontowej: od 8 m do 17 m,
-
liczba kondygnacji nadziemnych: do 2,
-
dach dwuspadowy o kącie nachylenia połaci 35°–40°, z kalenicą na wysokości 7–8 m n.p.t., równoległą do frontowej obowiązującej linii zabudowy.
Media i infrastruktura:
-
odprowadzenie ścieków– zbiornik bezodpływowy (szambo),
-
zaopatrzenie w wodę– studnia o głębokości do 30 m (pobór wody do 5 m³).
Lokalizacja
Jaraczewo to miejscowość zapewniająca wygodne warunki do życia. W pobliżu znajdują się m.in. szkoła, przychodnia, urząd gminy oraz punkty handlowo-usługowe, w tym sklep sieci Dino. Dodatkowym atutem jest dogodny dojazd do Piły– 12 min, co pozwala połączyć spokojne życie poza miastem z dostępem do pełnej infrastruktury miejskiej.
Jeżeli poszukujesz miejsca na budowę domu w cichej i przyjaznej okolicy, ta oferta może być idealną propozycją.
Zapraszamy do kontaktu oraz na prezentację nieruchomości.