Działka na sprzedaż






Szczegóły ogłoszenia
- Symbol oferty SED-GS-1470
- Typ oferty działka na sprzedaż
- Cena 770 000 zł
- Charakterystyka mieszkania 706 m2
- Media Woda: w ulicy; Kanalizacja: tak; Prąd: jest; Gaz: tak - miejski
- Bezpieczeństwo ogrodzenie działki: siatka
- Otoczenie centrum miasta
Lokalizacja
- Adres kujawsko-pomorskie, Toruń, Mokre
Opis nieruchomości
* Oferta na wyłączność - nie szukaj dalej *
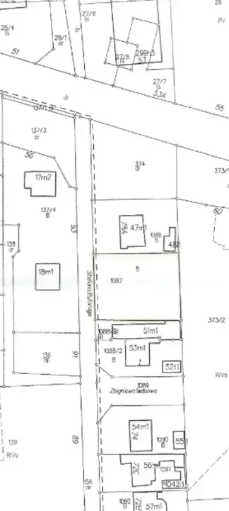
Działka położona jest na osiedlu zabudowanym domkami jednorodzinnymi ( od strony ul. Polnej oraz ul. Mazowieckiej liczne firmy ).
Zgodnie z przeznaczeniem w miejscowym planie zagospodarowania przestrzennego dla terenu przy ul. Polnej, Batorego, Mazowieckiej i Iwanowa, zatwierdzonym uchwałą nr 363/08 Rady Miasta Torunia z dnia 24 lipca 2008 r.( Dz. Urz. Woj. Kuj-Pom z 2008 roku, Nr 118, poz. 1904 ), ww działka częściowo znajduję się w granicach obszaru oznaczonego symbolem 14.09-MN/U2, dla którego ustalono przeznaczenie podstawowe - zabudowa mieszkaniowa jednorodzinna, usługi oraz przeznaczenie dopuszczalne zieleń urządzona, drogi wewnętrzne, infrastruktura techniczna.
Działka nie jest objęta uproszczonym planem urządzania lasu, ani decyzją o której mowa w art.19 ust.3 ustawy o lasach. Działka ma bezpośredni dostęp do drogi publicznej o nawierzchni betonowej.
Nieruchomość o powierzchni 706 m2 z dostępem do wszystkich mediów - wody, gazu, kanalizacji oraz prądu - przebiegają bezpośrednio przy działce wzdłuż ulicy Stefana Batorego.
Niewątpliwym atutem nieruchomości jest dobra lokalizacja - w pobliżu nieruchomości przy ul. Polnej znajduję się przystanek autobusowy.
Sklepy osiedlowe, galeria, szkoła, przedszkole, przystanki MZK są w bliskiej odległości. Odległość od Starówki to zaledwie 3 km.
CENA 770.000,00 - DO ROZSĄDNEJ NEGOCJACJI
Zainteresowała Cię ta oferta zadzwoń! Zapraszamy do kontaktu i na prezentację. Przeprowadzimy Państwa przez cały proces zakupu oraz zagwarantujemy bezpieczeństwo transakcji.
Izabella Karlińska
Doradca ds. Nieruchomości
tel: 790 208 910
mail: iza.karlinska@sednonieruchomosci.pl
www.sednonieruchomosci.pl
https://www.instagram.com/sednonieruchomosci/
https://www.tiktok.com/@sedno_nieruchomosci
https://www.facebook.com/profile.php?id=10008913796282
Sedno Nieruchomości współpracuje z najlepszymi firmami w zakresie usług finansowych, znajdując dla Państwa najlepsze indywidualne rozwiązania finansowania zakupu nieruchomości oraz zapewnia niezawodną, bezpośrednią i priorytetową obsługę Państwa w renomowanej kancelarii notarialnej oraz prawnej a także do Państwa usług są nasi specjaliści ds. podatkowych, geodezyjnych oraz budowlanych.
Dokładamy wszelkich starań aby informacje dotyczące nieruchomości były możliwie rzetelne, aktualne i kompletne natomiast w związku z tym że pochodzą one od osób trzecich firma Sedno Nieruchomości nie ponosi odpowiedzialności za ich dokładność.
Niniejsza informacja nie stanowi oferty w rozumieniu Kodeksu Cywilnego.