Działka na sprzedaż
142 000 zł
1 420 m2








1 / 8
Szczegóły ogłoszenia
- Symbol oferty KNF-GS-1986
- Typ oferty działka na sprzedaż
- Cena 142 000 zł
- Charakterystyka mieszkania 1420 m2
- Media Woda: w drodze; Kanalizacja: szambo; Prąd: w trakcie prowadzenia; Gaz: brak
- Bezpieczeństwo ogrodzenie działki: brak
- Dojazd droga gruntowa
- Działka Niezagospodarowana, płaska, prostokąt
- Otoczenie działki niezabudowane
Lokalizacja
- Adres wielkopolskie, Ujście (gw), Nowa Wieś Ujska
Opis nieruchomości
Na sprzedaż atrakcyjna działka rolna z wydaną decyzją o warunkach zabudowy w Nowej Wsi Ujskiej o pow. 1420 m2.
Działka posiada aktualną decyzję o warunkach zabudowy:
CENA: 142 000 zł
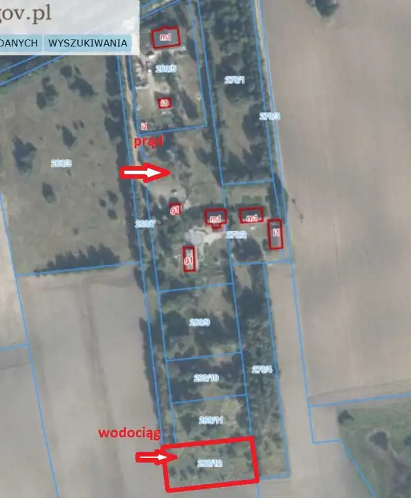
Wodociąg - na działce, prąd - projektowana sieć z działki 269/8.
Nowa Wieś Ujska to wieś położona zaledwie 14 km od Piły.
Działka zlokalizowana na uboczu, w urokliwym miejscu dla osób ceniących ciszę i spokój.
ZAPRASZAM NA PREZENTACJĘ!
Działka posiada aktualną decyzję o warunkach zabudowy:
- realizacja nowej zabudowy w nieprzekraczalnych liniach zabudowy oznaczonych w załączniku decyzji,
- nadziemna intensywność nowej zabudowy od 4% do 36%,
- udział powierzchni nowej zabudowy w powierzchni terenu inwestycji od 4% do 18% terenu inwestycji,
- szerokość elewacji frontowej nowej zabudowy od 10 do 18 m,
- wysokość nowej zabudowy od 6 do 8 m npt.,
- dach: nad główną bryłą budynku - dwuspadowy, o kącie nachylenia połaci dachowej od 25o do 45o, z kalenicą prostopadłą do frontu terenu inwestycji; nad bocznymi bryłami budynku (dobudówkami zadaszeniem tarasu) - jednospadowy, dwuspadowy lub wielospadowy płaski - tzn. o kącie nachylenia połaci nie większym niż 12o,
- minimalny udział pow. biologicznie czynnej w pow. terenu inwestycji 50%,
- realizacja i użytkowanie inwestycji bez zanieczyszczania wód zgromadzonych w złożach wód podziemnych stanowiących główne zbiorniki wód podziemnych nr 127 i nr 138,
- warunki ochrony dziedzictwa kulturowego i zabytków - teren inwestycji znajduje sie w zasięgu stref ochrony konserwatorskiej zewidencjonowanych stanowisk archeologicznych ujętych w gminnej ewidencji zabytków (zespół stanowisk archeologicznych),
- energia elektryczna z sieci elektroenergetycznej,
- woda do celów bytowych z gminnej sieci wodociągowej,
- odprowadzanie ścieków bytowych do bezodpływowego zbiornika na śmieci albo indywidualnej oczyszczalni ścieków,
- zapewnienie nie mniej niż 2 stanowisk parkingowych na jeden lokal mieszkalny - w granicach terenu inwestycji.
CENA: 142 000 zł
Wodociąg - na działce, prąd - projektowana sieć z działki 269/8.
Nowa Wieś Ujska to wieś położona zaledwie 14 km od Piły.
Działka zlokalizowana na uboczu, w urokliwym miejscu dla osób ceniących ciszę i spokój.
ZAPRASZAM NA PREZENTACJĘ!
Nota prawna
Opis oferty zawarty na stronie internetowej sporządzany jest na podstawie oględzin nieruchomości oraz informacji uzyskanych od właściciela, może podlegać aktualizacji i nie stanowi oferty określonej w art. 66 i następnych K.C.
Kalkulator kredytowy
Formularz kontaktowy