Działka na sprzedaż





Szczegóły ogłoszenia
- Symbol oferty HMX-GS-1603
- Typ oferty działka na sprzedaż
- Cena 450 000 zł
- Charakterystyka mieszkania 5600 m2
- Media Woda: w drodze; Prąd: w ulicy
- Dojazd droga gruntowa
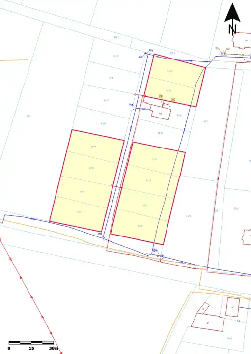
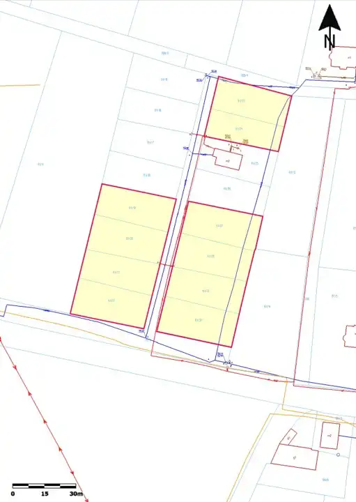
- Działka prostokąt
- Otoczenie działki niezabudowane
Lokalizacja
- Adres dolnośląskie, jaworski, Wądroże Wielkie
Opis nieruchomości
SPRZEDAŻ NA WYŁĄCZNOŚĆ
Kategoria: działki budowlane
Lokalizacja: Kępy, gm Wądroże Wielkie
Powierzchnia: ok. 56a
NAJWIĘKSZE ZALETY:
- 2 działki z aktualnym pozwoleniem na budowę;
- piękne, zielone otoczenie,
- dogodny dojazd do A4.
Oferujemy na sprzedaż kompleks 10 działek budowlanych o powierzchni ponad 50 arów w miejscowości Kępy. Miejscowość oddalona od Legnicy i Jawora o 20 km, od Środy Śląskiej o 19 km, jednak z bardzo wygodnym i szybkim dojazdem do tych miast, oraz Wrocławia.
Jest to mała i cicha, położona wśród pól miejscowość. Jeżeli więc szukasz lokalizacji idealnej do budowy kameralnego osiedla domków jednorodzinnych ta oferta jest idealna. Zaledwie 8 minut od działek znajdują się szkoła, przedszkole, miejsca rozrywki i rekreacji, market Dino, przychodnia, Urząd Gminy oraz tereny leśne ze ścieżkami zdrowia.
Działki są usytuowane pomiędzy asfaltową drogą główną, a utwardzoną i gruntową drogą dojazdową. 2 działki mają wydane pozwolenia na budowę oraz projekt domu parterowego z użytkowym poddaszem. W granicach drogi rozdzielającej działki budowlane dostępne media: wodociąg i sieć elektroenergetyczna. Na działkach planowane są przydomowe oczyszczalnie ścieków.
Cena: 450 000 zł + VAT 23%
Kontakt:
HomeMax
Ul. Skarbowa 1
Legnica 59-220
Tel: 530 480 455
Przedstawiona oferta ma charakter informacyjny i jest sporządzona w oparciu o informacje podane przez właściciela. Nie stanowi oferty handlowej w rozumieniu Art.66 par.1 Kodeksu Cywilnego. Informujemy, że zgodnie z obowiązującymi przepisami prezentacja nieruchomości przy udziale pośrednika wiąże się z obowiązkiem podania swoich danych osobowych i podpisania zlecenia pośrednictwa w zakupie lub najmie nieruchomości.