Działka na sprzedaż
610 000 zł
9 969 m2












1 / 12
Szczegóły ogłoszenia
- Symbol oferty ABC-GS-97291
- Typ oferty działka na sprzedaż
- Cena 610 000 zł
- Charakterystyka mieszkania 9969 m2
- Media Prąd: w trakcie prowadzenia
- Dojazd droga gruntowa
- Działka częściowo zalesiona, wielokąt
- Otoczenie rzeka
Lokalizacja
- Adres zachodniopomorskie, wałecki, Wałcz (gw)
Opis nieruchomości
SUPER OKAZJA !!! HIT DLA CENIĄCYCH CISZĘ, SPOKÓJ, LAS I WODĘ !!!
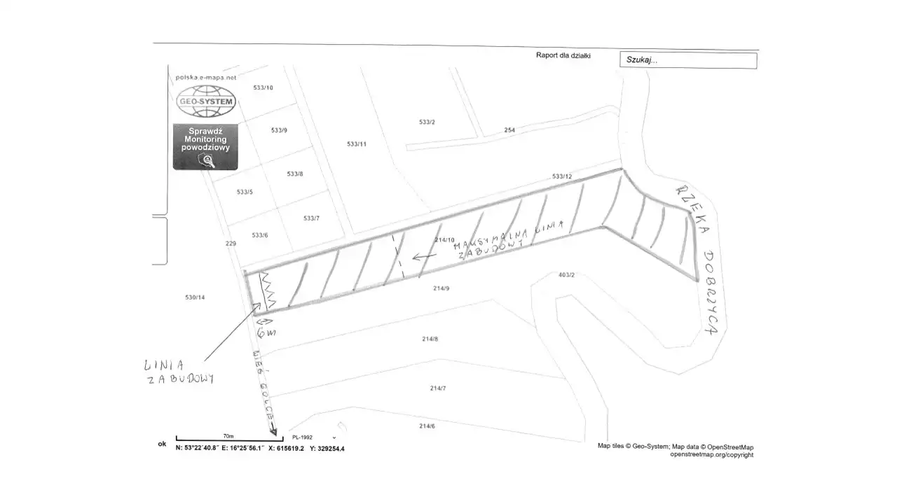
DZIAŁKA W GOLCACH GM. WAŁCZ Z MEANDRUJĄCĄ RZEKĄ DOBRZYCĄ W GRANICY DZIAŁKI, Z AKTUALNYMI WARUNKAMI ZABUDOWY MIESZKALNEJ!!!
Oferujemy piękną działkę o powierzchni 9969m2, zlokalizowaną w Golcach gm.Wałcz, bezpośrednio położoną nad Dobrzycą/rzeka meandruje w granicy działki/, z wydanymi warunkami zabudowy mieszkalnej. Warunki zabudowy obejmują możliwość posadowienia nawet dwóch, wolnostojących domów-powierzchnia zabudowy do max 320 m2 łącznie. Szerokość elewacji frontowej to wymiary 10m do 16m. Dopuszcza się dach dwuspadowy od 35º do 45º, przy maksymalnej wysokości kalenicy, do 9m.DZIAŁKA W GOLCACH GM. WAŁCZ Z MEANDRUJĄCĄ RZEKĄ DOBRZYCĄ W GRANICY DZIAŁKI, Z AKTUALNYMI WARUNKAMI ZABUDOWY MIESZKALNEJ!!!
Istnieje możliwość wykorzystania części działki jako stawu.
W celach poglądowych, na końcu galerii zdjęć zamieściliśmy mapę działki w oparciu o Geoportal, wraz z naszymi przypisami.
JEŚLI LUBISZ NATURĘ TO LOKALIZACJA IDEALNA DLA
CIEBIE !!!
DO WAŁCZA TYLKO KILKA MINUT, DO PIŁY 0,5 GODZ.!!!CIEBIE !!!
ZAPRASZAMY NA PREZENTACJĘ !!!
BEZPŁATNA POMOC W UZYSKANIU KREDYTU !!!
BEZPŁATNA POMOC W UZYSKANIU KREDYTU !!!
Dane opisu nieruchomości podane są przez zamawiającego.
Powyższy opis ma charakter informacyjny i nie stanowi oferty w rozumieniu przepisów Kodeksu Cywilnego. Wszelkie prawa zastrzeżone!
Opis oraz zdjęcia są własnością biura.
Kopiowanie, powielanie, wykorzystywanie zdjęć i opisu bez zgody autora zabronione.
Nota prawna
Opis oferty zawarty na stronie internetowej sporządzany jest na podstawie oględzin nieruchomości oraz informacji uzyskanych od właściciela, może podlegać aktualizacji i nie stanowi oferty określonej w art. 66 i następnych K.C.
Kalkulator kredytowy
Formularz kontaktowy