Działka na sprzedaż
120 800 zł
1 208 m2




1 / 4
Szczegóły ogłoszenia
- Symbol oferty EMP-GS-10413
- Typ oferty działka na sprzedaż
- Cena 120 800 zł
- Charakterystyka mieszkania 1208 m2
- Media Woda: w ulicy; Prąd: w ulicy
- Bezpieczeństwo ogrodzenie działki: brak
- Dojazd droga utwardzona
- Działka Niezagospodarowana, płaska, prostokąt
- Otoczenie zabudowa jednorodzinna
Lokalizacja
- Adres mazowieckie, Wiązowna, Glinianka
Opis nieruchomości
Do działki dojedziesz wklejając w Google Maps: 52.124694, 21.416770
https://maps.app.goo.gl/S2FCwcR9DdZNzeeR6
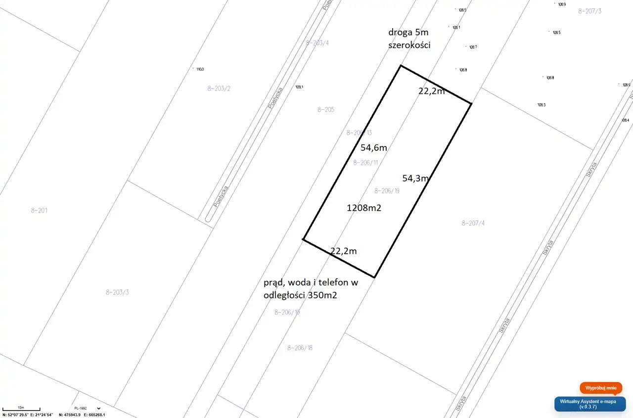
Glinianka ul. Szkolna
Numer ewidencyjny 206/11+206/19 (szósta linia zabudowy)
oraz udział w drodze 206/13 oraz 204/2
Media
Prąd, woda, telefon - w ul. Szkolnej należąca do gminy Wiązowna - ok. 350m od działki
Przybliżone wymiary
22,2m x 54,6m x 22,2m x 54,3m
Dla terenu przed podziałem zostały wydane warunki zabudowy na budowę 7 domów jednorodzinnych. Należy wystąpić z wnioskiem o wydanie nowej decyzji już na działkę po podziale.
Parametry warunków zabudowy:
- minimalna powierzchnia biologicznie czynna 70%
- powierzchnia zabudowy 0,08
- maksymalna intensywność zabudowy 0.15 z tolerancją 20% więc max 0,18
- maksymalna szerokość elewacji frontowej 13.5m z tolerancją 20% więc max 16,2m
- geometria dachu 15 do 45 stopni, dach dwu lub wielospadowy
Istnieje możliwość kupna sąsiednich działek:
REZERWACJA - pierwsza linia zabudowy - 2082m2
druga linia zabudowy - 1821m2 - 100zł/m2 tj. 182/100 zł
trzecia linia zabudowy - 2370m2 za 100zł/m2 tj. 237.000 zł
REZERWACJA czwarta linia zabudowy - 1579m2
piąta linia zabudowy - 1087m2 - 100zł/m2 tj. 108.700 zł
szósta linia zabudowy - 1204m2 - 100zł/m2tj. 120.400 zł
REZERWACJA - siódma linia zabudowy 1754m2
PKP Stara Wieś - 7,6km
Szkoła podstawowa 1900m (25 minut pieszo)
Przystanek Autobusowy 1900m (25 minuty pieszo)
Zapraszam do kontaktu:
Maciej Adamczyk
883-106-453
https://maps.app.goo.gl/S2FCwcR9DdZNzeeR6
Glinianka ul. Szkolna
Numer ewidencyjny 206/11+206/19 (szósta linia zabudowy)
oraz udział w drodze 206/13 oraz 204/2
Media
Prąd, woda, telefon - w ul. Szkolnej należąca do gminy Wiązowna - ok. 350m od działki
Przybliżone wymiary
22,2m x 54,6m x 22,2m x 54,3m
Dla terenu przed podziałem zostały wydane warunki zabudowy na budowę 7 domów jednorodzinnych. Należy wystąpić z wnioskiem o wydanie nowej decyzji już na działkę po podziale.
Parametry warunków zabudowy:
- minimalna powierzchnia biologicznie czynna 70%
- powierzchnia zabudowy 0,08
- maksymalna intensywność zabudowy 0.15 z tolerancją 20% więc max 0,18
- maksymalna szerokość elewacji frontowej 13.5m z tolerancją 20% więc max 16,2m
- geometria dachu 15 do 45 stopni, dach dwu lub wielospadowy
Istnieje możliwość kupna sąsiednich działek:
REZERWACJA - pierwsza linia zabudowy - 2082m2
druga linia zabudowy - 1821m2 - 100zł/m2 tj. 182/100 zł
trzecia linia zabudowy - 2370m2 za 100zł/m2 tj. 237.000 zł
REZERWACJA czwarta linia zabudowy - 1579m2
piąta linia zabudowy - 1087m2 - 100zł/m2 tj. 108.700 zł
szósta linia zabudowy - 1204m2 - 100zł/m2tj. 120.400 zł
REZERWACJA - siódma linia zabudowy 1754m2
PKP Stara Wieś - 7,6km
Szkoła podstawowa 1900m (25 minut pieszo)
Przystanek Autobusowy 1900m (25 minuty pieszo)
Zapraszam do kontaktu:
Maciej Adamczyk
883-106-453
Nota prawna
Opis oferty zawarty na stronie internetowej sporządzany jest na podstawie oględzin nieruchomości oraz informacji uzyskanych od właściciela, może podlegać aktualizacji i nie stanowi oferty określonej w art. 66 i następnych K.C.
Kalkulator kredytowy
Formularz kontaktowy