Działka na sprzedaż







Szczegóły ogłoszenia
- Symbol oferty PFN-GS-1196
- Typ oferty działka na sprzedaż
- Cena 295 308 zł
- Charakterystyka mieszkania 16406 m2
- Media Kanalizacja: brak; Gaz: brak
- Bezpieczeństwo ogrodzenie działki: brak
- Dojazd droga gruntowa
- Działka Niezagospodarowana, płaska, wielokąt
- Otoczenie działki niezabudowane
Lokalizacja
- Adres pomorskie, Wicko, Wrzeście
Opis nieruchomości
O% - NABYWCA NIE PŁACI PROWIZJI, PROWIZJĘ BIURA POKRYWA SPRZEDAJĄCY!
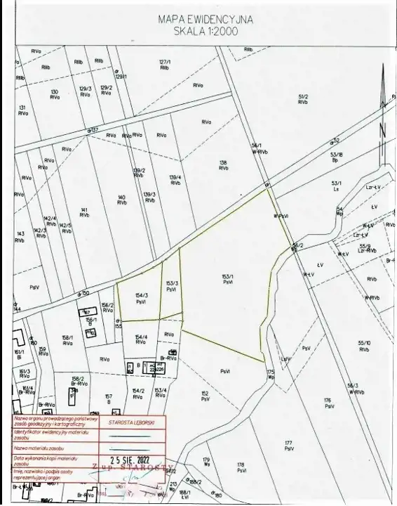
Atrakcyjna działka budowlana położona w miejscowości Wrzeście o powierzchni 16406m2(nr dz.153/1 153/3 154/3). Opodal granicy niezabudowanej działki znajdują się przyłącza energii i wody. Położona 12km od centrum nadmorskiej miejscowości Łeba, 3km od Wicka. W niedalekiej odległości znajduje się sklep, kościół, stacja kolejowa i przystanek autobusowy. Ze względu na super lokalizację - w enklawie ciszy i spokoju, jednocześnie blisko większych miejscowości, tj. Łeba, Wicko, Lębork, oferta jest godna polecenia.Cena działek:
153/3 oraz 154/3 wynosi 30 zł/m², działka 153/1 – 18 zł/m²; przy zakupie całości cena wynosi 18 zł/m².
Zdjęcia nie odzwierciedlają całego uroku nieruchomości.
Zapraszamy na bezpłatną prezentację oferty. Szczegółowych informacji, więcej ofert i zdjęć uzyskacie Państwo w biurze lub na stronie internetowej.
ZACHĘCAMY RÓWNIEŻ DO SKORZYSTANIA Z NASZEGO DORADZTWA KREDYTOWEGO.
W jednym miejscu, bezpłatnie porównamy i dobierzemy najbardziej korzystną ofertę kredytu hipotecznego spośród kilkunastu banków.
Uwaga!!!
Korzystając z naszych usług zapewniamy:
-
przygotowanie niezbędnych dokumentów potrzebnych do finalizacji transakcji,
-
otrzymanie 10% rabatu na materiały budowlane do wykończenia nieruchomości,
-
usługi sprawdzonych prawników, projektantów oraz ekip budowlanych.
Dzięki długoletniemu doświadczeniu i ważnej polisy OC, gwarantujemy bezpieczeństwo transakcji oraz że do podanej ceny nie zostanie doliczony żaden koszt.
Oferta ma charakter informacyjny i nie stanowi oferty handlowej w rozumieniu przepisów Kodeksu Cywilnego. Dane zawarte w ofercie zostały opracowane w oparciu o informacje właściciela i mogą ulec nowelizacji.
Wszelkie prawa zastrzeżone. Kopiowanie i publikacja treści i zdjęć bez zgody autora zabronione.