Działka na sprzedaż
430 000 zł
1 050 m2





















1 / 21
Szczegóły ogłoszenia
- Symbol oferty NGK-GS-272
- Typ oferty działka na sprzedaż
- Cena 430 000 zł
- Charakterystyka mieszkania 1050 m2
- Media Woda: jest; Kanalizacja: brak; Prąd: jest; Gaz: jest
- Bezpieczeństwo ogrodzenie działki: brak
- Dojazd asfalt
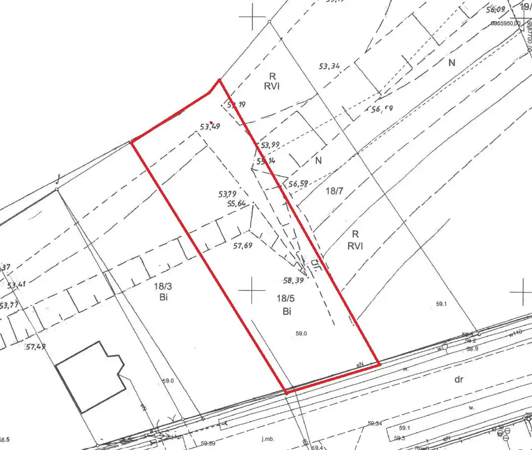
- Działka Niezagospodarowana, falista, prostokąt
- Otoczenie jezioro
Lokalizacja
- Adres wielkopolskie, Wieleń (gw), Biała
Opis nieruchomości
Działka z wydanymi warunkami zabudowy.
Do sprzedaży działka z bezpośrednim dostępem do linii brzegowej jeziora Białe, położona w miejscowości Biała, gmina Wieleń. Oznaczenie użytku Bi - inne tereny zabudowane.
Działka częściowo zadrzewiona, teren płaski, częściowo lekko opadający w dół w stronę jeziora. W najbliższej okolicy zabudowa rekreacyjna. Działka posiada warunki zabudowy:
- budowa budynku letniskowego wraz z infrastrukturą,
- wskaźnik zabudowy: nadziemna intensywność zabudowy od 0,17 do 0,27,
- udział powierzchni zabudowy do powierzchni działki od 8% do 13%,
- minimalna liczba miejsc do parkowania 2 miejsca,
- dla budynku letniskowego:
- szerokość elewacji frontowej od 7 m do 11 m,
- wysokość budynku, jedna lub dwie kondygnacje nadziemne od 6 m do 8 m n.p.t.,
- dach min. dwuspadowy o symetrycznym układzie głównych połaci dachu,
- równoległy lub prostopadły kierunek głównej kalenicy w stosunku do frontu działki,
- powierzchnia biologicznie czynna min. 50% powierzchni działki.
Działka posiada bezpośredni zjazd do drogi publicznej - drogę powiatową biegnącą przez miejscowość.
Media:
Prąd - wydane warunki przyłączenia 4 kW w układzie jednofazowym. Skrzynka ZK przy granicy działki.
Woda - doprowadzona do działki - studzienka.
Kanalizacja - brak, wymagana budowa szczelnego zbiornika bezodpływowego.
Polecam.
Do sprzedaży działka z bezpośrednim dostępem do linii brzegowej jeziora Białe, położona w miejscowości Biała, gmina Wieleń. Oznaczenie użytku Bi - inne tereny zabudowane.
Działka częściowo zadrzewiona, teren płaski, częściowo lekko opadający w dół w stronę jeziora. W najbliższej okolicy zabudowa rekreacyjna. Działka posiada warunki zabudowy:
- budowa budynku letniskowego wraz z infrastrukturą,
- wskaźnik zabudowy: nadziemna intensywność zabudowy od 0,17 do 0,27,
- udział powierzchni zabudowy do powierzchni działki od 8% do 13%,
- minimalna liczba miejsc do parkowania 2 miejsca,
- dla budynku letniskowego:
- szerokość elewacji frontowej od 7 m do 11 m,
- wysokość budynku, jedna lub dwie kondygnacje nadziemne od 6 m do 8 m n.p.t.,
- dach min. dwuspadowy o symetrycznym układzie głównych połaci dachu,
- równoległy lub prostopadły kierunek głównej kalenicy w stosunku do frontu działki,
- powierzchnia biologicznie czynna min. 50% powierzchni działki.
Działka posiada bezpośredni zjazd do drogi publicznej - drogę powiatową biegnącą przez miejscowość.
Media:
Prąd - wydane warunki przyłączenia 4 kW w układzie jednofazowym. Skrzynka ZK przy granicy działki.
Woda - doprowadzona do działki - studzienka.
Kanalizacja - brak, wymagana budowa szczelnego zbiornika bezodpływowego.
Polecam.
Nota prawna
Opis oferty zawarty na stronie internetowej sporządzany jest na podstawie oględzin nieruchomości oraz informacji uzyskanych od właściciela, może podlegać aktualizacji i nie stanowi oferty określonej w art. 66 i następnych K.C.
Kalkulator kredytowy
Formularz kontaktowy