Działka na sprzedaż
150 000 zł
1 131 m2












1 / 12
Szczegóły ogłoszenia
- Symbol oferty AJP-GS-1602
- Typ oferty działka na sprzedaż
- Cena 150 000 zł
- Charakterystyka mieszkania 1131 m2
- Media Woda: jest; Kanalizacja: miejska; Prąd: na działce; Gaz: jest
- Bezpieczeństwo ogrodzenie działki: częściowo ogrodzona
- Dojazd ASFALTOWA
- Działka częściowo zagospodarowana, płaska, prostokąt
- Otoczenie panorama
Lokalizacja
- Adres małopolskie, Wieliczka (gw), Grajów
Opis nieruchomości
Proponujemy Państwu piękną działkę położoną w centrum Grajowa blisko szkoły, zaledwie 6 km od Wieliczki z dobrym dojazdem droga asfaltową.
Działka w cichej i zielonej okolicy z pięknym widokiem na góry.
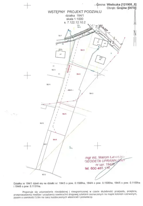
Na sprzedaż 5 działek o łącznej wielkości 5233 m2. Istnieje wstępny projekt podziału
Cena łączna za wszystkie działki 184/1 - 1 150 000 zł
Działka 184/3 o pow. 1506 m2 za 490 000zł
Działka 184/5 o pow 1074 m2 za 180 000zł
Działka 184/6 o pow 1131 m2 za 150 000zł
Dojazd drogą asfaltową gminną.
Na działkach prąd, gaz, woda , kanalizacja w drodze ( około 6m od granicy I działki )
Działka posiada dojazd z drogi głównej ( niedawno odremontowanej), drogą służebną ( do zrobienia ok 132m drogi).
Według MPZP działka oznaczona symbolem 98MN Tereny zabudowy mieszkaniowej, bliźniaczej, z możliwością usług.
Doskonała lokalizacja, obok przystanku, szkoły, sklepu spożywczego. Przy działkach droga asfaltowa z chodnikiem, oświetlona.
Odległość od Wieliczki 6km, od Krakowa 15km.
Nieruchomość bez wad prawnych, idealna pod inwestycję w całości lub pod dom/bliźniak dla siebie.
Niniejsze ogłoszenie jest informacją handlową i nie stanowi oferty w myśl art. 66 par. 1 kodeksu cywilnego.
Serdeczne zapraszam do kontaktu
AJ Partnerzy
601 060 083
500 250 280
Nota prawna
Opis oferty zawarty na stronie internetowej sporządzany jest na podstawie oględzin nieruchomości oraz informacji uzyskanych od właściciela, może podlegać aktualizacji i nie stanowi oferty określonej w art. 66 i następnych K.C.
Kalkulator kredytowy
Formularz kontaktowy