Działka na sprzedaż
1 395 000 zł
3 891 m2





1 / 5
Szczegóły ogłoszenia
- Symbol oferty DON-GS-4012
- Typ oferty działka na sprzedaż
- Cena 1 395 000 zł
- Charakterystyka mieszkania 3891 m2
- Media Woda: w ulicy; Kanalizacja: w ulicy; Prąd: w ulicy; Gaz: w ulicy
- Dojazd asfalt
- Działka płaska, trapez
Lokalizacja
- Adres dolnośląskie, Wrocław m., Wrocław
Opis nieruchomości
Obniżka ceny o 100 000, oferta w obniżonej cenie obowiązuje do końca roku.
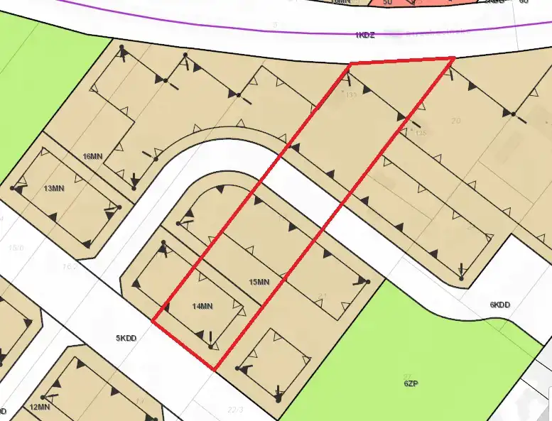
Na sprzedaż niezabudowana działka budowlana pod zabudowę jednorodzinną wolnostojącą lub bliźniaczą o powierzchni niespełna 0,4 h - tj. 3891 m2. Usytuowana przy ul. Strachocińskiej 133.
Działka została przygotowana i uporządkowana. Wycięto drzewostan – prace wykonane zgodnie ze stosownymi pozwoleniami. Właściciel posiada uzgodnienia dotyczące przyłącza wszystkich mediów do nieruchomości.
Szybki dojazd do wschodniej obwodnicy Wrocławia zapewnia połączenie zarówno z południową jak i północną częścią Wrocławia. Odległość od ronda w Łanach, czyli wjazdu na WOW, to 1km. Wschodnią obwodnicą Wrocławia dojedziemy do AOW (autostradowa obwodnica Wrocławia) i drogi szybkiego ruchu na Warszawę S8.
W pobliżu działki pełna infrastruktura usługo-handlowa. Szkoła, przedszkola, 500m Lidl i Biedronka, punkty usługowe, restauracje, banki etc.
Miejscowy Plan Zagospodarowania Przestrzennego dopuszcza: 14 MN ,15 MN, 16MN
§ 31. 1. Dla terenu oznaczonego na rysunku planu symbolem 14MN ustala się przeznaczenie:
1) zabudowa mieszkaniowa jednorodzinna;
2) usługi I;
3) obiekty do parkowania;
4) obiekty infrastruktury technicznej.
2. Na terenie, o którym mowa w ust. 1, obowiązują następujące ustalenia dotyczące ukształtowania zabudowy i zagospodarowania terenu:
1) budynki mieszkalne jednorodzinne dopuszcza się wyłącznie w zabudowie bliźniaczej lub szeregowej;
2) usługi I dopuszcza się wyłącznie jako lokale użytkowe w budynkach mieszkalnych jednorodzinnych;
3) w lokalach użytkowych w budynkach mieszkalnych jednorodzinnych dopuszcza się wyłącznie usługi I;
4) dla przeznaczeń terenu: zabudowa mieszkaniowa jednorodzinna, obiekty opieki nad dzieckiem i edukacja obowiązuje stosowanie rozwiązań technicznych w budynkach, które zapewniają w nich właściwe warunki akustyczne;
5) wymiar pionowy budynku lub budowli przekrytej dachem, mierzony od poziomu terenu przy budynku lub budowli do najwyższego punktu pokrycia dachu, nie może być większy niż 12 m;
6) liczba kondygnacji nadziemnych nie może być większa niż 3, z zastrzeżeniem pkt 7;
7) trzecią kondygnację nadziemną dopuszcza się wyłącznie w poddaszach budynków przekrytych dachami co najmniej dwuspadowymi, o nachyleniu połaci dachowych większym niż 25° i o ściankach kolankowych o wysokości nie większej niż 1,20 m;
8) połacie dachowe dopuszcza się wyłącznie o kącie nachylenia nie mniejszym niż 0° i nie większym niż 45°;
9) powierzchnia działki budowlanej przypadająca na każdy budynek mieszkalny jednorodzinny:
a) w zabudowie bliźniaczej nie może być mniejsza niż 350 m2,
b) w zabudowie szeregowej nie może być mniejsza niż 300 m2;
10) udział powierzchni zabudowy w powierzchni działki budowlanej nie może być większy niż 40%;
11) wartość wskaźnika intensywności zabudowy może być równa lub większa od 0, przy czym nie może być większa niż 1,2;
12) powierzchnia terenu biologicznie czynnego musi stanowić co najmniej 40% powierzchni działki budowlanej.
Dla terenu oznaczonego na rysunku planu symbolem 15MN ustala się przeznaczenie:
1) zabudowa mieszkaniowa jednorodzinna;
2) usługi I;
3) obiekty do parkowania;
4) obiekty infrastruktury technicznej.
2. Na terenie, o którym mowa w ust. 1, obowiązują następujące ustalenia dotyczące ukształtowania zabudowy i zagospodarowania terenu:
1) budynki mieszkalne jednorodzinne dopuszcza się wyłącznie jako wolnostojące;
2) usługi I dopuszcza się wyłącznie jako lokale użytkowe w budynkach mieszkalnych jednorodzinnych;
3) w lokalach użytkowych w budynkach mieszkalnych jednorodzinnych dopuszcza się wyłącznie usługi I;
4) dla przeznaczeń terenu: zabudowa mieszkaniowa jednorodzinna, obiekty opieki nad dzieckiem i edukacja obowiązuje stosowanie rozwiązań technicznych w budynkach, które zapewniają w nich właściwe warunki akustyczne;
5) odległość między budynkami mieszkalnymi jednorodzinnymi nie może być mniejsza niż 6 m;
6) wymiar pionowy budynku lub budowli przekrytej dachem, mierzony od poziomu terenu przy budynku lub budowli do najwyższego punktu pokrycia dachu, nie może być większy niż 10 m;
7) liczba kondygnacji nadziemnych nie może być większa niż 3, z zastrzeżeniem pkt 8;
8) trzecią kondygnację nadziemną dopuszcza się wyłącznie w poddaszach budynków przekrytych dachami co najmniej dwuspadowymi, o nachyleniu połaci dachowych większym niż 25° i o ściankach kolankowych o wysokości nie większej niż 1,20 m;
9) połacie dachowe dopuszcza się wyłącznie o kącie nachylenia nie mniejszym niż 0° i nie większym niż 45°;
10) obowiązuje ochrona drzew do zachowania wskazanych na rysunku planu;
11) powierzchnia działki budowlanej przypadająca na każdy budynek mieszkalny jednorodzinny nie może być mniejsza niż 500 m2;
12) udział powierzchni zabudowy w powierzchni działki budowlanej nie może być większy niż 30%;
13) wartość wskaźnika intensywności zabudowy może być równa lub większa od 0, przy czym nie może być większa niż 0,9;
14) powierzchnia terenu biologicznie czynnego musi stanowić co najmniej 45% powierzchni działki budowlanej;
15) w strefie zieleni, wyznaczonej na rysunku planu, nawierzchnia ziemna urządzona w sposób zapewniający naturalną wegetację roślin i retencję wód opadowych lub woda powierzchniowa musi stanowić co najmniej 70% powierzchni tej strefy w ramach działki budowlanej.
§ 33. 1. Dla terenu oznaczonego na rysunku planu symbolem 16MN ustala się przeznaczenie:
1) zabudowa mieszkaniowa jednorodzinna;
2) usługi I;
3) usługi II;
4) obiekty do parkowania;
5) obiekty infrastruktury technicznej.
2. Na terenie, o którym mowa w ust. 1, obowiązują następujące ustalenia dotyczące ukształtowania zabudowy i zagospodarowania terenu:
1) budynki mieszkalne jednorodzinne dopuszcza się wyłącznie jako wolnostojące lub w zabudowie bliźniaczej;
2) usługi I oraz usługi II dopuszcza się wyłącznie jako lokale użytkowe w budynkach mieszkalnych jednorodzinnych;
3) w lokalach użytkowych w budynkach mieszkalnych jednorodzinnych dopuszcza się wyłącznie usługi I oraz usługi II;
4) dla przeznaczeń terenu: zabudowa mieszkaniowa jednorodzinna, obiekty opieki nad dzieckiem i edukacja obowiązuje stosowanie rozwiązań technicznych w budynkach, które zapewniają w nich właściwe warunki akustyczne;
5) odległość między budynkami mieszkalnymi jednorodzinnymi nie może być mniejsza niż 6 m;
6) wymiar pionowy budynku lub budowli przekrytej dachem, mierzony od poziomu terenu przy budynku lub budowli do najwyższego punktu pokrycia dachu, nie może być większy niż 12 m;
7) liczba kondygnacji nadziemnych nie może być większa niż 3;
8) dopuszcza się wyłącznie budynki przekryte dachami dwuspadowymi;
9) połacie dachowe dopuszcza się wyłącznie o kącie nachylenia nie mniejszym niż 35° i nie większym niż 45°;
10) obowiązuje ochrona drzewa do zachowania wskazanego na rysunku planu;
11) powierzchnia działki budowlanej przypadająca na każdy budynek mieszkalny jednorodzinny:
a) wolno stojący nie może być mniejsza niż 500 m2,
b) w zabudowie bliźniaczej nie może być mniejsza niż 300 m2;
12) udział powierzchni zabudowy w powierzchni działki budowlanej nie może być większy niż 30%;
13) wartość wskaźnika intensywności zabudowy może być równa lub większa od 0, przy czym nie może być większa niż 0,9;
14) powierzchnia terenu biologicznie czynnego musi stanowić co najmniej 45% powierzchni działki budowlanej;
15) w każdej strefie zieleni, wyznaczonej na rysunku planu, nawierzchnia ziemna urządzona w sposób zapewniający naturalną wegetację roślin i retencję wód opadowych lub woda powierzchniowa musi stanowić co najmniej 70% powierzchni każdej tej strefy.
Cena 1 495 000 złotych
Zapraszam do kontaktu Paweł Michalski 519 44 55 71
Oferujemy życzliwe zaangażowanie w całym procesie zakupu, ekspercką wiedzą i najwyższy poziom usług oparty o niemal 12-letnie doświadczenie pracowników naszego biura. Współpracujemy z profesjonalnymi doradcami finansowymi (dla naszych klientów usługa GRATIS), kancelariami notarialnymi (zniżka w taksie), jak również innymi biurami nieruchomości w zakresie wymiany i udostępniania ofert.
Copyright © by Dominium Nieruchomości. Wszelkie prawa zastrzeżone. Kopiowanie, rozpowszechnianie oraz korzystanie z niniejszych materiałów w jakikolwiek inny sposób wykraczający poza dozwolony użytek określony przepisami ustawy z 4 lutego 1994 r. o prawie autorskim i prawach pokrewnych (Dz. U. 1994, nr 24 poz. 83 z późn. zm.) bez pisemnej zgody Dominium Nieruchomości jest zabronione i może stanowić podstawę odpowiedzialności cywilnej oraz karnej. Ponadto niniejsze materiały stanowią tajemnicę przedsiębiorstwa Dominium Nieruchomości w rozumieniu ustawy z dnia 16 kwietnia 1993 r. o zwalczaniu nieuczciwej konkurencji (Dz. U. z 2003 r., Nr 153, poz. 1503 z późn. zm.).
Na sprzedaż niezabudowana działka budowlana pod zabudowę jednorodzinną wolnostojącą lub bliźniaczą o powierzchni niespełna 0,4 h - tj. 3891 m2. Usytuowana przy ul. Strachocińskiej 133.
Działka została przygotowana i uporządkowana. Wycięto drzewostan – prace wykonane zgodnie ze stosownymi pozwoleniami. Właściciel posiada uzgodnienia dotyczące przyłącza wszystkich mediów do nieruchomości.
Szybki dojazd do wschodniej obwodnicy Wrocławia zapewnia połączenie zarówno z południową jak i północną częścią Wrocławia. Odległość od ronda w Łanach, czyli wjazdu na WOW, to 1km. Wschodnią obwodnicą Wrocławia dojedziemy do AOW (autostradowa obwodnica Wrocławia) i drogi szybkiego ruchu na Warszawę S8.
W pobliżu działki pełna infrastruktura usługo-handlowa. Szkoła, przedszkola, 500m Lidl i Biedronka, punkty usługowe, restauracje, banki etc.
Miejscowy Plan Zagospodarowania Przestrzennego dopuszcza: 14 MN ,15 MN, 16MN
§ 31. 1. Dla terenu oznaczonego na rysunku planu symbolem 14MN ustala się przeznaczenie:
1) zabudowa mieszkaniowa jednorodzinna;
2) usługi I;
3) obiekty do parkowania;
4) obiekty infrastruktury technicznej.
2. Na terenie, o którym mowa w ust. 1, obowiązują następujące ustalenia dotyczące ukształtowania zabudowy i zagospodarowania terenu:
1) budynki mieszkalne jednorodzinne dopuszcza się wyłącznie w zabudowie bliźniaczej lub szeregowej;
2) usługi I dopuszcza się wyłącznie jako lokale użytkowe w budynkach mieszkalnych jednorodzinnych;
3) w lokalach użytkowych w budynkach mieszkalnych jednorodzinnych dopuszcza się wyłącznie usługi I;
4) dla przeznaczeń terenu: zabudowa mieszkaniowa jednorodzinna, obiekty opieki nad dzieckiem i edukacja obowiązuje stosowanie rozwiązań technicznych w budynkach, które zapewniają w nich właściwe warunki akustyczne;
5) wymiar pionowy budynku lub budowli przekrytej dachem, mierzony od poziomu terenu przy budynku lub budowli do najwyższego punktu pokrycia dachu, nie może być większy niż 12 m;
6) liczba kondygnacji nadziemnych nie może być większa niż 3, z zastrzeżeniem pkt 7;
7) trzecią kondygnację nadziemną dopuszcza się wyłącznie w poddaszach budynków przekrytych dachami co najmniej dwuspadowymi, o nachyleniu połaci dachowych większym niż 25° i o ściankach kolankowych o wysokości nie większej niż 1,20 m;
8) połacie dachowe dopuszcza się wyłącznie o kącie nachylenia nie mniejszym niż 0° i nie większym niż 45°;
9) powierzchnia działki budowlanej przypadająca na każdy budynek mieszkalny jednorodzinny:
a) w zabudowie bliźniaczej nie może być mniejsza niż 350 m2,
b) w zabudowie szeregowej nie może być mniejsza niż 300 m2;
10) udział powierzchni zabudowy w powierzchni działki budowlanej nie może być większy niż 40%;
11) wartość wskaźnika intensywności zabudowy może być równa lub większa od 0, przy czym nie może być większa niż 1,2;
12) powierzchnia terenu biologicznie czynnego musi stanowić co najmniej 40% powierzchni działki budowlanej.
Dla terenu oznaczonego na rysunku planu symbolem 15MN ustala się przeznaczenie:
1) zabudowa mieszkaniowa jednorodzinna;
2) usługi I;
3) obiekty do parkowania;
4) obiekty infrastruktury technicznej.
2. Na terenie, o którym mowa w ust. 1, obowiązują następujące ustalenia dotyczące ukształtowania zabudowy i zagospodarowania terenu:
1) budynki mieszkalne jednorodzinne dopuszcza się wyłącznie jako wolnostojące;
2) usługi I dopuszcza się wyłącznie jako lokale użytkowe w budynkach mieszkalnych jednorodzinnych;
3) w lokalach użytkowych w budynkach mieszkalnych jednorodzinnych dopuszcza się wyłącznie usługi I;
4) dla przeznaczeń terenu: zabudowa mieszkaniowa jednorodzinna, obiekty opieki nad dzieckiem i edukacja obowiązuje stosowanie rozwiązań technicznych w budynkach, które zapewniają w nich właściwe warunki akustyczne;
5) odległość między budynkami mieszkalnymi jednorodzinnymi nie może być mniejsza niż 6 m;
6) wymiar pionowy budynku lub budowli przekrytej dachem, mierzony od poziomu terenu przy budynku lub budowli do najwyższego punktu pokrycia dachu, nie może być większy niż 10 m;
7) liczba kondygnacji nadziemnych nie może być większa niż 3, z zastrzeżeniem pkt 8;
8) trzecią kondygnację nadziemną dopuszcza się wyłącznie w poddaszach budynków przekrytych dachami co najmniej dwuspadowymi, o nachyleniu połaci dachowych większym niż 25° i o ściankach kolankowych o wysokości nie większej niż 1,20 m;
9) połacie dachowe dopuszcza się wyłącznie o kącie nachylenia nie mniejszym niż 0° i nie większym niż 45°;
10) obowiązuje ochrona drzew do zachowania wskazanych na rysunku planu;
11) powierzchnia działki budowlanej przypadająca na każdy budynek mieszkalny jednorodzinny nie może być mniejsza niż 500 m2;
12) udział powierzchni zabudowy w powierzchni działki budowlanej nie może być większy niż 30%;
13) wartość wskaźnika intensywności zabudowy może być równa lub większa od 0, przy czym nie może być większa niż 0,9;
14) powierzchnia terenu biologicznie czynnego musi stanowić co najmniej 45% powierzchni działki budowlanej;
15) w strefie zieleni, wyznaczonej na rysunku planu, nawierzchnia ziemna urządzona w sposób zapewniający naturalną wegetację roślin i retencję wód opadowych lub woda powierzchniowa musi stanowić co najmniej 70% powierzchni tej strefy w ramach działki budowlanej.
§ 33. 1. Dla terenu oznaczonego na rysunku planu symbolem 16MN ustala się przeznaczenie:
1) zabudowa mieszkaniowa jednorodzinna;
2) usługi I;
3) usługi II;
4) obiekty do parkowania;
5) obiekty infrastruktury technicznej.
2. Na terenie, o którym mowa w ust. 1, obowiązują następujące ustalenia dotyczące ukształtowania zabudowy i zagospodarowania terenu:
1) budynki mieszkalne jednorodzinne dopuszcza się wyłącznie jako wolnostojące lub w zabudowie bliźniaczej;
2) usługi I oraz usługi II dopuszcza się wyłącznie jako lokale użytkowe w budynkach mieszkalnych jednorodzinnych;
3) w lokalach użytkowych w budynkach mieszkalnych jednorodzinnych dopuszcza się wyłącznie usługi I oraz usługi II;
4) dla przeznaczeń terenu: zabudowa mieszkaniowa jednorodzinna, obiekty opieki nad dzieckiem i edukacja obowiązuje stosowanie rozwiązań technicznych w budynkach, które zapewniają w nich właściwe warunki akustyczne;
5) odległość między budynkami mieszkalnymi jednorodzinnymi nie może być mniejsza niż 6 m;
6) wymiar pionowy budynku lub budowli przekrytej dachem, mierzony od poziomu terenu przy budynku lub budowli do najwyższego punktu pokrycia dachu, nie może być większy niż 12 m;
7) liczba kondygnacji nadziemnych nie może być większa niż 3;
8) dopuszcza się wyłącznie budynki przekryte dachami dwuspadowymi;
9) połacie dachowe dopuszcza się wyłącznie o kącie nachylenia nie mniejszym niż 35° i nie większym niż 45°;
10) obowiązuje ochrona drzewa do zachowania wskazanego na rysunku planu;
11) powierzchnia działki budowlanej przypadająca na każdy budynek mieszkalny jednorodzinny:
a) wolno stojący nie może być mniejsza niż 500 m2,
b) w zabudowie bliźniaczej nie może być mniejsza niż 300 m2;
12) udział powierzchni zabudowy w powierzchni działki budowlanej nie może być większy niż 30%;
13) wartość wskaźnika intensywności zabudowy może być równa lub większa od 0, przy czym nie może być większa niż 0,9;
14) powierzchnia terenu biologicznie czynnego musi stanowić co najmniej 45% powierzchni działki budowlanej;
15) w każdej strefie zieleni, wyznaczonej na rysunku planu, nawierzchnia ziemna urządzona w sposób zapewniający naturalną wegetację roślin i retencję wód opadowych lub woda powierzchniowa musi stanowić co najmniej 70% powierzchni każdej tej strefy.
Cena 1 495 000 złotych
Zapraszam do kontaktu Paweł Michalski 519 44 55 71
Oferujemy życzliwe zaangażowanie w całym procesie zakupu, ekspercką wiedzą i najwyższy poziom usług oparty o niemal 12-letnie doświadczenie pracowników naszego biura. Współpracujemy z profesjonalnymi doradcami finansowymi (dla naszych klientów usługa GRATIS), kancelariami notarialnymi (zniżka w taksie), jak również innymi biurami nieruchomości w zakresie wymiany i udostępniania ofert.
Copyright © by Dominium Nieruchomości. Wszelkie prawa zastrzeżone. Kopiowanie, rozpowszechnianie oraz korzystanie z niniejszych materiałów w jakikolwiek inny sposób wykraczający poza dozwolony użytek określony przepisami ustawy z 4 lutego 1994 r. o prawie autorskim i prawach pokrewnych (Dz. U. 1994, nr 24 poz. 83 z późn. zm.) bez pisemnej zgody Dominium Nieruchomości jest zabronione i może stanowić podstawę odpowiedzialności cywilnej oraz karnej. Ponadto niniejsze materiały stanowią tajemnicę przedsiębiorstwa Dominium Nieruchomości w rozumieniu ustawy z dnia 16 kwietnia 1993 r. o zwalczaniu nieuczciwej konkurencji (Dz. U. z 2003 r., Nr 153, poz. 1503 z późn. zm.).
Nota prawna
Opis oferty zawarty na stronie internetowej sporządzany jest na podstawie oględzin nieruchomości oraz informacji uzyskanych od właściciela, może podlegać aktualizacji i nie stanowi oferty określonej w art. 66 i następnych K.C.
Kalkulator kredytowy
Formularz kontaktowy