Działka na sprzedaż
1 500 000 zł
1 015 m2





1 / 5
Szczegóły ogłoszenia
- Symbol oferty EMP-GS-10070
- Typ oferty działka na sprzedaż
- Cena 1 500 000 zł
- Charakterystyka mieszkania 1015 m2
- Media Woda: na działce; Kanalizacja: na działce; Prąd: w ulicy; Gaz: w ulicy
- Bezpieczeństwo ogrodzenie działki: ogrodzona
- Dojazd asfalt
- Działka Zagospodarowana, płaska, prostokąt
- Otoczenie działki zabudowane
Lokalizacja
- Adres mazowieckie, wołomiński, Ząbki
Opis nieruchomości
Do działki dojedziesz wklejając w Google Maps: 52.294778, 21.124722
https://maps.app.goo.gl/z6trzCHPxSPFXwrh9
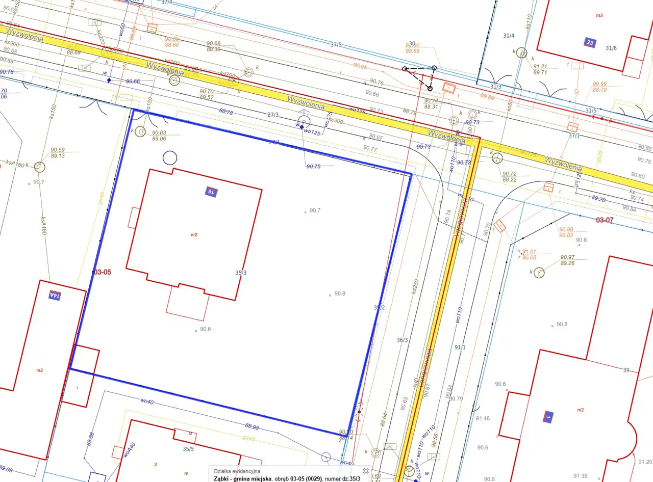
Ząbki, ul. Wyzwolenia
Numer ewidencyjny 35/3, obręb 03-05
Media
Woda i kanalizacja - na działce
Prąd i gaz - w ulicy przy granicy działki
Wymiary
33m x 31m
Działka jest objęta miejscowym planem zagospodarowania przestrzennego pod tereny zabudowy mieszkaniowej jednorodzinnej:
Ustalenia planu (symbol MN):
1. Na terenach zabudowy mieszkaniowej jednorodzinnej dopuszcza się lokalizację:
- usług nieuciążliwych;
- sieci i urządzeń infrastruktury technicznej;
- dróg dojazdowych, parkingów i garaży niezbędnych do obsługi terenu.
2. Istniejąca zabudowa może podlegać wymianie, rozbudowie i przebudowie wyłącznie według zasad ustalonych w planie;
3. Ustala się typ zabudowy jednorodzinnej we wszystkich formach;
4. Minimalna powierzchnia działki wynosi:
- 200 m² dla zabudowy szeregowej,
- 300 m² dla zabudowy wolnostojącej,
5. Powierzchnia biologicznie czynna nie może być mniejsza niż 50 % powierzchni całkowitej działki
Na działce znajduje się budynek objęty ochroną konserwatorską.
Zapraszam do kontaktu:
Maciej Adamczyk
883-106-453
https://maps.app.goo.gl/z6trzCHPxSPFXwrh9
Ząbki, ul. Wyzwolenia
Numer ewidencyjny 35/3, obręb 03-05
Media
Woda i kanalizacja - na działce
Prąd i gaz - w ulicy przy granicy działki
Wymiary
33m x 31m
Działka jest objęta miejscowym planem zagospodarowania przestrzennego pod tereny zabudowy mieszkaniowej jednorodzinnej:
Ustalenia planu (symbol MN):
1. Na terenach zabudowy mieszkaniowej jednorodzinnej dopuszcza się lokalizację:
- usług nieuciążliwych;
- sieci i urządzeń infrastruktury technicznej;
- dróg dojazdowych, parkingów i garaży niezbędnych do obsługi terenu.
2. Istniejąca zabudowa może podlegać wymianie, rozbudowie i przebudowie wyłącznie według zasad ustalonych w planie;
3. Ustala się typ zabudowy jednorodzinnej we wszystkich formach;
4. Minimalna powierzchnia działki wynosi:
- 200 m² dla zabudowy szeregowej,
- 300 m² dla zabudowy wolnostojącej,
5. Powierzchnia biologicznie czynna nie może być mniejsza niż 50 % powierzchni całkowitej działki
Na działce znajduje się budynek objęty ochroną konserwatorską.
Zapraszam do kontaktu:
Maciej Adamczyk
883-106-453
Nota prawna
Opis oferty zawarty na stronie internetowej sporządzany jest na podstawie oględzin nieruchomości oraz informacji uzyskanych od właściciela, może podlegać aktualizacji i nie stanowi oferty określonej w art. 66 i następnych K.C.
Kalkulator kredytowy
Formularz kontaktowy