Działka na sprzedaż
0 zł
771 m2



1 / 3
Szczegóły ogłoszenia
- Symbol oferty PKP-GS-55
- Typ oferty działka na sprzedaż
- Cena 0 zł
- Charakterystyka mieszkania 771 m2
- Media Prąd: na działce
- Bezpieczeństwo ogrodzenie działki: brak
- Dojazd asfalt
- Działka Niezagospodarowana, nieregularny
- Otoczenie działki niezabudowane
Lokalizacja
- Adres podkarpackie, Zagórz (gw), Morochów
Opis nieruchomości
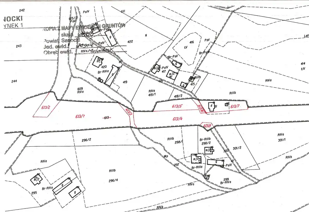
PKP S.A. Wydział Sprzedaży w Krakowie oferuje Państwu do zakupu w drodze przetargu ustnego nieograniczonego nieruchomość gruntową o nr ewidencyjnym 613/5 zlokalizowaną w miejscowości Morochów. Nieruchomość zlokalizowana przy linii kolejowej nr 107 Nowy Łupków - Zagórz, w bezpośrednim sąsiedztwie budynku stacyjnego Morochów. Działka nr 613/5 posiada nieregularny kształt, który nie wpływa jednak negatywnie na możliwość racjonalnego zagospodarowania. Działka posiada bezpośredni dostęp do drogi publicznej.
W otoczeniu nieruchomości przeważają tereny niezabudowane głównie rolnicze. Działka zabudowana studnią betonową. Na działce znajduje się sieć energetyczna.
Cena orientacyjna: 8 000,00 zł
W dniu ogłoszenia przetargu zostanie podana cena wywoławcza
W otoczeniu nieruchomości przeważają tereny niezabudowane głównie rolnicze. Działka zabudowana studnią betonową. Na działce znajduje się sieć energetyczna.
Cena orientacyjna: 8 000,00 zł
W dniu ogłoszenia przetargu zostanie podana cena wywoławcza
Kontakt w sprawie oferty:
Michał Dyduła
Specjalista
Wydział Handlowy
Oddział Gospodarowania Nieruchomościami w Krakowie
Polskie Koleje Państwowe S.A.
ul. Rondo Mogilskie 1, 31 - 516 Kraków
e-mail: michal.dydula@pkp.pl
tel. (+48) 603 991 172
Nota prawna
Opis oferty zawarty na stronie internetowej sporządzany jest na podstawie oględzin nieruchomości oraz informacji uzyskanych od właściciela, może podlegać aktualizacji i nie stanowi oferty określonej w art. 66 i następnych K.C.
Kalkulator kredytowy
Formularz kontaktowy